Titel Logo
Ottweiler Zeitung
Ausgabe 50/2024
Amtliche Bekanntmachungen
Zurück zur vorigen Seite
Zurück zur ersten Seite der aktuellen Ausgabe

Bekanntmachung über den Bebauungsplan „Wohnbebauung Ende Ottweilerstraße“ in der Stadt Ottweiler im Ortsteil Steinbach

Bekanntmachung des Satzungsbeschlusses

Der Stadtrat Ottweiler hat in seiner öffentlichen Sitzung am 19.11.2024 den Bebauungsplan „Wohnbebauung Ende Ottweilerstraße“ in der Gemarkung Steinbach, bestehend aus der Planzeichnung (Teil A) und dem Textteil / textliche Festsetzungen (Teil B), gemäß § 10 Abs. 1 des Baugesetzbuchs (BauGB) als Satzung beschlossen. Die Begründung wurde gebilligt. Dieser Beschluss wird hiermit gem. § 10 Abs. 3 BauGB ortsüblich bekannt gemacht. Mit dieser Bekanntmachung tritt der Bebauungsplan „Wohnbebauung Ende Ottweilerstraße“ in der Gemarkung Steinbach in Kraft.

Jedermann kann den Bebauungsplan „Wohnbebauung Ende Ottweilerstraße“ in der Gemarkung Steinbach und die Begründung sowie die Vorprüfungsergebnissen, gemäß § 215a Abs. 3 BauGB bei der Stadt Ottweiler während der Dienststunden im Amt für Stadtentwicklung und Umwelt der Stadt Ottweiler, Gebäude Goethestraße 13a, Zimmer 20, einsehen und über den Inhalt Auskunft verlangen. Gleichzeitig können auf Verlangen die Abwägungsergebnisse eingesehen werden. Abwägungsergebnisse werden an Behörden und sonstige Träger öffentlicher Belange mitgeteilt, deren Stellungnahmen zu Anpassungen innerhalb der Planzeichnung und des Textteiles geführt haben.

Die Stadtverwaltung ermöglicht auch, gem. § 4a Abs. 4 BauGB, die Unterlagen in digitaler Form einzusehen. Hierfür werden die Planunterlagen über das Internet auf der Homepage der Stadt Ottweiler in der Rubrik Bauleitplanung eingestellt.

Die Durchführung des Bebauungsplanverfahrens erfolgte im beschleunigten Verfahren gem. § 215a BauGB i.V.m. § 13b BauGB und § 13a BauGB. Gemäß § 215a Abs. 3 BauGB wurde im Zuge der Planung eine Vorprüfung des Einzelfalls im Sinne des § 13a Abs. 1 S.2 Nr. 2 BauGB durchgeführt. Diese Vorprüfung kam zu dem Ergebnis, dass von der Planung voraussichtlich keine erheblichen Umweltauswirkungen ausgehen. Das Verfahren konnte somit gemäß § 215a BauGB fortgeführt werden.

Nach § 13b BauGB gilt bis zum 31. Dezember 2022 der § 13a BauGB entsprechend „für Bebauungspläne mit einer Grundfläche im Sinne des § 13a Absatz 1 Satz 2 von weniger als 10.000 Quadratmetern, durch die die Zulässigkeit von Wohnnutzungen auf Flächen begründet wird, die sich an im Zusammenhang bebaute Ortsteile anschließen.“ Die Flächen wurden in das beschleunigte Verfahren nach § 13b BauGB einbezogen, da Wohnnutzung geplant ist und sich die Fläche an den im Zusammenhang bebauten Ortsteil anschließt (Arrondierungsfläche).

Der Bebauungsplan erfüllte die Vorgaben, um gemäß § 215a BauGB i.V.m. § 13b BauGB (Einbeziehung von Außenbereichsflächen in das beschleunigte Verfahren) i.V.m. § 13a und 13 BauGB im beschleunigten Verfahren aufgestellt zu werden. § 13 Abs. 2 und 3 BauGB gilt entsprechend. Es wird darauf hingewiesen, dass im beschleunigten Verfahren von einer Umweltprüfung nach § 2 Abs. 4 BauGB abgesehen wurde. Gemäß § 13 Abs. 3 wurde auch von dem Umweltbericht nach § 2a BauGB, von der Angabe nach § 3 Abs. 2 Satz 2 BauGB, welche Arten umweltbezogener Informationen verfügbar sind, der zusammenfassenden Erklärung nach § 10a Abs. 1 BauGB und gem. § 13 Abs. 2 BauGB und § 13a Abs. 3 BauGB von der frühzeitigen Unterrichtung und Erörterung nach §§ 3 Abs. 1 und 4 Abs. 1 BauGB abgesehen.

Auf die Voraussetzungen für die Geltendmachung der Verletzung von Verfahrens- und Formvorschriften und von Mängeln der Abwägung sowie die Rechtsfolgen des § 215 Abs. 1 BauGB wird hingewiesen.

Unbeachtlich werden demnach

1.

eine nach § 214 Abs. 1 Satz 1 Nr. 1 bis 3 BauGB beachtliche Verletzung der dort bezeichneten Verfahrens- und Formvorschriften

2.

eine unter Berücksichtigung des § 214 Abs. 2 BauGB beachtliche Verletzung der Vorschriften über das Verhältnis des Bebauungsplans und des Flächennutzungsplans und

3.

nach § 214 Abs. 3 Satz 2 BauGB beachtliche Mängel des Abwägungsvorgangs,

wenn sie nicht innerhalb eines Jahres seit Bekanntmachung der Satzung schriftlich gegenüber der Stadt unter Darlegung des die Verletzung begründeten Sachverhalts geltend gemacht worden sind. Satz 1 gilt entsprechend, wenn Fehler nach § 214 Abs. 2a beachtlich sind.

Außerdem wird auf die Vorschriften des § 44 Abs. 3 Satz 1 und 2 sowie Abs. 4 BauGB hingewiesen. Danach erlöschen Entschädigungsansprüche für nach den §§ 39 bis 42 BauGB eingetretene Vermögensnachteile, wenn nicht innerhalb von 3 Jahren nach Ablauf des Kalenderjahres, in dem die Vermögensnachteile eingetreten sind, die Fälligkeit des Anspruches herbeigeführt wird.

Hingewiesen wird weiterhin auf § 12 Abs. 6 KSVG. Hiernach gelten Satzungen, die unter Verletzung von Verfahrens- oder Formvorschriften des KSVG oder auf Grund des KSVG zustande gekommen sind, ein Jahr nach der öffentlichen Bekanntmachung als von Anfang an gültig zustande gekommen. Dies gilt nicht, wenn

1.

die Vorschriften über die Genehmigung oder die öffentliche Bekanntmachung der Satzung verletzt worden sind,

2.

vor Ablauf der in Satz 1 genannten Frist die Bürgermeisterin oder der Bürgermeister dem Beschluss widersprochen oder die Kommunalaufsichtsbehörde den Beschluss beanstandet hat oder der Verfahrens- oder Formmangel gegenüber der Stadt unter Bezeichnung der Tatsache, die den Mangel ergibt, schriftlich gerügt worden ist.

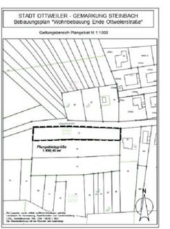
Die genauen Grenzen des Geltungsbereiches des Bebauungsplanes sind dem nachstehend wiedergegebenen Lageplan zu entnehmen.

Ottweiler, 10.12.2024
(Holger Schäfer)
Bürgermeister