Titel Logo
Amtsblatt VG Sprendlingen-Gensingen
Ausgabe 29/2022
Bekanntmachungen und Mitteilungen der Ortsgemeinden
Zurück zur vorigen Seite
Zurück zur ersten Seite der aktuellen Ausgabe

Bebauungsplan der Ortsgemeinde Sprendlingen für das Gebiet „Industriegebiet 16. Änderung“

Bekanntmachung der öffentlichen Auslegung gemäß § 3 Abs. 2 BauGB.

Der Ortsgemeinderat Sprendlingen hat in seiner Sitzung am 03.11.2021 die Aufstellung eines Bebauungsplanes für das Gebiet „Industriegebiet 16. Änderung“ gem. §13a BauGB beschlossen.

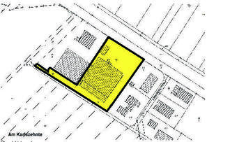
Das Plangebiet erstreckt sich über folgende Grundstücke: Flur 2 Nr. 27/6 und 27/4.

Übersichtslageplan:

Die vorstehende Planskizze erhebt keinen Anspruch auf Rechtsverbindlichkeit, sie dient dem besseren Verständnis der Bekanntmachung.

Der Entwurf des Bebauungsplanes mit den textlichen Festsetzungen sowie dessen Begründung wurde am 04.05.2022 gebilligt und die öffentliche Auslegung bei gleichzeitiger Beteiligung der Träger öffentlicher Belange beschlossen.

Der Entwurf des Bebauungsplanes, bestehend aus Plan, Textfestsetzungen, Begründungen liegt gemäß § 3 Abs.2 BauGB in der Zeit vom

Freitag, den 29. Juli 2022 bis einschließlich

Mittwoch, den 31. August 2022

bei der Verbandsgemeindeverwaltung Sprendlingen-Gensingen, Elisabethenstraße 1, 55576 Sprendlingen, Zimmer A 008, während der Dienststunden zu jedermanns Einsicht und Stellungnahme öffentlich aus.

Der Entwurf kann auch auf der Internetseite der Verbandsgemeinde Sprendlingen-Gensingen www.sprendlingen-gensingen.de/rathaus/verbandsgemeinde/aktuelles/offenlegungen/ eingesehen werden.

Den Eigentümern, Mietern, Pächtern und anderen Nutzungsberechtigten sowie der gesamten Öffentlichkeit wird in dem vorgenannten Zeitraum Gelegenheit zur Äußerung, Erörterung und Unterrichtung gegeben. Stellungnahmen können während der vorgenannten Frist schriftlich, zur Niederschrift bei der Verbandsgemeindeverwaltung Sprendlingen-Gensingen, Elisabethenstraße 1, 55576 Sprendlingen oder per E-Mail an info@vg-sg.de vorgebracht werden.

Die fristgerecht vorgebrachten Anregungen werden geprüft. Auf Berücksichtigung seiner Anregungen, auch wenn sie innerhalb der Auslegungsfrist vorgebracht wurden, hat niemand einen klagbaren Anspruch. Das Ergebnis wird mitgeteilt. Nicht fristgerecht abgegebene Stellungnahmen können bei der Beschlussfassung über den Bauleitplan unberücksichtigt bleiben.

Hinweis Datenschutz:

Die Verarbeitung personenbezogener Daten erfolgt auf der Grundlage des § 3 Baugesetzbuch (BauGB) in Verbindung mit Art. 6 Abs. 1 Buchst. e Datenschutz-Grundverordnung (DS-GVO) und dem Landesdatenschutzgesetz Rheinland-Pfalz (LDSG). Sofern Sie Ihre Stellungnahme ohne Absenderangaben abgeben, erhalten Sie keine Mitteilung über das Ergebnis der Prüfung. Weitere Informationen entnehmen Sie bitte dem Formblatt: Informationspflichten bei der Erhebung von Daten im Rahmen der Öffentlichkeitsbeteiligung nach dem BauGB (Art. 13 DSGVO), welches mit ausliegt und auf der Homepage der Verbandsgemeinde Sprendlingen-Gensingen www.sprendlingen-gensingen.de/footer/datenschutzerklaerung/ abrufbar ist.

Ortsgemeinde Sprendlingen
Manfred Bucher, Ortsbürgermeister