Titel Logo
Asslar - Die Woche
Ausgabe 3/2024
Amtliche Bekanntmachungen
Zurück zur vorigen Seite
Zurück zur ersten Seite der aktuellen Ausgabe

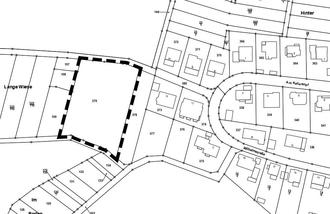
Bebauungsplan Nr. 1.48 „Festplatz Klein-Altenstädten“, Klein-Altenstädten

Übersichtskarte maßstabslos

Die Stadtverordnetenversammlung der Stadt Aßlar hat in ihrer Sitzung am 11.12.2023 die den Bebauungsplan Nr. 1.48 „Festplatz Klein-Altenstädten“, Gemarkung Klein-Altenstädten, gemäß § 10 Abs. 1 BauGB als Satzung beschlossen und die Begründung gebilligt.

Der Geltungsbereich des Bebauungsplanes Nr. 1.48 „Festplatz Klein-Altenstädten“ befindet sich im Südwesten des Siedlungsbereiches Klein-Altenstädten und schließt dort in der Verlängerung der Wilhelmstraße an ein bestehendes Wohngebiet an. Der Geltungsbereich umfasst in der Gemarkung Klein-Altenstädten, Flur 2, das Flurstück 379 mit einer Größe von 3.644 m².

Der Bebauungsplan, die Begründung incl. Umweltbericht und die zusammenfassende Erklärung können bei der Stadtverwaltung der Stadt Aßlar, Fachdienst Bauen, Forst & Umwelt, Verwaltungsgebäude II, Mühlgrabenstraße 1, 35614 Aßlar, Zimmer OG-03, während der Dienststunden (montags bis freitags von 8:00 bis 12:00 Uhr, sowie montags, dienstags und donnerstags von 13:30 bis 16:00 Uhr) von jedermann eingesehen werden. Über deren Inhalt wird auf Verlangen Auskunft erteilt.

Mit dieser Bekanntmachung tritt der Bebauungsplan gemäß § 10 Abs. 3 BauGB in Kraft.

Es wird gemäß § 215 BauGB darauf hingewiesen, dass eine nach § 214 Abs. 1 Satz 1 Nr. 1 bis 3 BauGB beachtliche Verletzung der dort bezeichneten Verfahrens- und Formvorschriften,

-

eine unter Berücksichtigung des § 214 Abs. 2 BauGB beachtliche Verletzung der Vorschriften über das Verhältnis des Bebauungsplans und des Flächennutzungsplans und

-

nach § 214 Abs. 3 Satz 2 BauGB beachtliche Mängel des Abwägungsvorgangs unbeachtlich werden, wenn sie nicht innerhalb eines Jahres seit dieser Bekanntmachung schriftlich gegenüber der Gemeinde geltend gemacht worden sind. Der Sachverhalt, der die Verletzung der o.g. Vorschriften begründen soll, ist darzulegen.

Auf die Vorschriften des § 44 Abs. 3 Satz 1 u. 2 sowie Abs. 4 BauGB über die Entschädigung von durch den Bebauungsplan eintretenden Vermögensnachteilen sowie über die Fälligkeit und das Erlöschen entsprechender Entschädigungsansprüche wird hingewiesen.

Aßlar, den 17. Januar 2024

Der Magistrat der Stadt Aßlar
Christian Schwarz, Bürgermeister