Titel Logo
Asslar - Die Woche
Ausgabe 31/2023
Amtliche Bekanntmachungen
Zurück zur vorigen Seite
Zurück zur ersten Seite der aktuellen Ausgabe

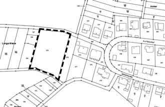
Bebauungsplan Nr. 1.48 „Festplatz Klein-Altenstädten“, Klein-Altenstädten

Übersichtskarte maßstabslos

Die Stadtverordnetenversammlung hat in ihrer Sitzung am 05.06.2023 dem Entwurf des Bebauungsplanes Nr. 1.48 „Festplatz Klein-Altenstädten“ sowie der Begründung zugestimmt und die öffentliche Auslegung gemäß § 3 (2) BauGB beschlossen.

Der Geltungsbereich des Bebauungsplanes Nr. 1.48 „Festplatz Klein-Altenstädten“ befindet sich im Südwesten des Siedlungsbereiches Klein-Altenstädten und schließt dort in der Verlängerung der Wilhelmstraße an ein bestehendes Wohngebiet an. Der Geltungsbereich umfasst in der Gemarkung Klein-Altenstädten, Flur 2, das Flurstück 379 mit einer Größe von 3.644 m².

Gegenstand der Aufstellung ist die bauleitplanerische Sicherung der Fläche zur Nutzung eines Festplatzes sowie für einen Bereich für Stellplätze.

Der Entwurf des Bebauungsplanes liegt mit Begründung gemäß § 3 (2) BauGB in der Zeit vom 10.08.2023 bis 11.09.2023 bei der Stadtverwaltung der Stadt Aßlar, Fachdienst Bauen, Forst & Umwelt, Verwaltungsgebäude II, Mühlgrabenstraße 1, 35614 Aßlar, Zimmer OG-03, öffentlich aus und kann, nach Vereinbarung, während der Dienststunden (montags bis freitags von 8:00 bis 12:00 Uhr, sowie montags, dienstags und donnerstags von 13:30 bis 16 Uhr) von jedermann eingesehen werden.

Gemäß § 4a (4) BauGB werden die Planunterlagen zusätzlich in das Internet eingestellt und können auf der Homepage www.asslar.de unter der Rubrik Rathaus Amtliche Bekanntmachungen eingesehen und heruntergeladen werden. Es liegen folgende umweltbezogene Informationen vor:

1)

Fachplanung in Form einer Faunistischen Betrachtung

(Vögel, Haselmaus, Reptilien);

2)

Fachplanung in Form des Umweltberichts mit Informationen und Aussagen zu den Schutzgütern Mensch, Boden und Wasser, Klima und Luft, Fläche, Kultur- und Sachgüter, Pflanzen, Tiere und biologische Vielfalt sowie Landschaftsbild und deren Wechselwirkungen untereinander – gegliedert nach den Punkten Beschreibung und Bewertung;

a.

Pflanzen

Beschreibung und Bewertung der Biotop- und Nutzungstypen mit der Feststellung, dass der zukünftige Pflanzenbestand dem derzeitigen Artenspektrum entsprechen wird.

b.

Tiere und biologische Vielfalt

Der Planungsraum übernimmt für die Tierwelt insgesamt keine Beeinträchtigung.

c.

Boden und Wasser, Fläche

Beschreibung der Geologie, natürlichen Funktion, Archivfunktion, Empfindlichkeiten und Vorbelastungen. Daraus resultiert für den Boden eine mittlerer bis tlw. hohe Bedeutung. Beeinträchtigungen für das Schutzgut Fläche und Wasser können ausgeschlossen werden bzw. sind nicht zu erwarten.

d.

Klima und Luft

Beschreibung und Bewertung der klimatischen Funktionen des Plangebietes, mit dem Ergebnis, dass keine erheblichen Auswirkungen sind nicht zu erwarten.

e.

Schutzgut Mensch

Auf den Menschen haben sowohl wohnumfeldabhängige Faktoren wie die Wohn-, Erholungs- und Freizeitfunktionen sowie Aspekte des Immissionsschutzes als auch wirtschaftliche Funktionen wie z.B. die Land- und Forstwirtschaft Auswirkungen. Im Ergebnis weist das Plangebiet eine hohe Bedeutung auf.

f.

Kultur- und Sachgüter

Beschreibung, dass Kultur- und Sachgüter im Plangebiet untergeordneten Bedeutung sind.

3)

naturschutzfachliche Eingriffs-Ausgleichs-Bilanzierung und Maßnahmenbeschreibung;

4)

Umweltbezogene Stellungnahmen von Behörden und sonstigen Trägern öffentlicher Belange sowie von Privatpersonen zu folgenden Themenkomplexen:

a.

Hinweis, dass für den Schutz des Waldes Auflagen und Hinweise einzuhalten sind.

b.

Hinweis, dass bei Eingriffsberechnung der Ursprungszustand der Fläche angenommen werden muss.

c.

Hinweis, dass die Arbeitshilfe zur Berücksichtigung von Bodenschutzbelangen zu beachten ist.

d.

Hinweis, dass grundsätzlich auf Bodenveränderungen bei Bodenaushubarbeiten zu achten ist.

e.

Hinweis zum Thema Starkregen.

f.

Hinweis, dass eine Versickerung des Niederschlagswasser nachzuweisen ist.

g.

Hinweis, dass die zusätzliche Inanspruchnahme von landwirtschaftlich genutzter Fläche für Kompensationsmaßnahmen zu vermeiden ist.

Die Unterlagen können während der Offenlegung eingesehen werden.

Während der Auslegungsfrist können Stellungnahmen zu dem Entwurf von jedermann schriftlich oder zur Niederschrift bei der Stadtverwaltung der Stadt Aßlar abgegeben werden. Nicht fristgerecht abgegebene Stellungnahmen können gemäß § 4 a Abs. 6 BauGB bei der Beschlussfassung über den Bebauungsplan unberücksichtigt

bleiben. Die zur Bebauungsplanaufstellung abgegebenen Stellungnahmen werden in öffentlichen Sitzungen beraten und somit personenbezogene Daten, soweit sie für das Verfahren der Bebauungsplanaufstellung erforderlich sind, der Stadtverordnetenversammlung und mithin der Öffentlichkeit zur Verfügung gestellt.

Die einschlägigen personenbezogenen Daten werden gesondert verarbeitet. Die Verarbeitung erfolgt von der übrigen Verwaltung der Stadt Aßlar personell und organisatorisch getrennt. Es erfolgt keine Nutzung dieser personenbezogenen Daten durch eine andere Stelle für andere Verwaltungszwecke oder eine Übermittlung an eine andere Stelle bis auf das beauftragte Planungsbüro.

Die Stadt Aßlar hat gemäß § 4b BauGB für die Vorbereitung und Durchführung von Verfahrensschritten nach den §§ 2a bis 4a BauGB das Planungsbüro Koch aus Aßlar beauftragt.

Der Magistrat der Stadt Aßlar
Christian Schwarz, Bürgermeister