Titel Logo
Asslar - Die Woche
Ausgabe 43/2022
Amtliche Bekanntmachungen
Zurück zur vorigen Seite
Zurück zur ersten Seite der aktuellen Ausgabe

Bebauungsplan Nr. 1.48 „Festplatz Klein-Altenstädten“, Klein-Altenstädten

Die Stadtverordnetenversammlung Stadt Aßlar in ihrer Sitzung am 26.09.2022 die Aufstellung des Bebauungsplanes Nr. 1.48 „Festplatz Klein-Altenstädten“, im Siedlungsbereich von Klein-Altenstädten, beschlossen.

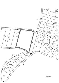
Der Geltungsbereich des Bebauungsplanes Nr. 1.48 „Festplatz Klein-Altenstädten“ befindet sich im Südwesten des Siedlungsbereiches Klein-Altenstädten und schließt dort in der Verlängerung der Wilhelmstraße an ein bestehendes Wohngebiet an. Der Geltungsbereich umfasst in der Gemarkung Klein-Altenstädten, Flur 2, das Flurstück 379 mit einer Größe von 3.644 m².

Übersichtskarte maßstabslos

Gegenstand der Aufstellung ist die bauleitplanerische Sicherung der Fläche zur Nutzung eines Festplatzes sowie für einen Bereich für Stellplätze.

Zur Beteiligung der Öffentlichkeit gemäß § 3 (1) BauGB wird der Vorentwurf zur Aufstellung des Bebauungsplanes mit Begründung in der Zeit vom 31.10.2022 bis 08.11.2022 bei der Stadtverwaltung der Stadt Aßlar, Mühlgrabenstr. 1, 35614 Aßlar, Fachdienst Bauen, Forst & Umwelt, Zimmer OG03 nach vorheriger Terminabstimmung unter 06441 803-412 (Frau Klotschkov) oder 06441 803-400 (Herr Krämer) während der Dienststunden (Montag, Mittwoch, Donnerstag und Freitag von 8:00 bis 12:00 Uhr, Dienstag von 7:00 bis 12:00 Uhr sowie Montag und Dienstag von 13:30 bis 16:00 Uhr und Donnerstag vom 13:30 bis 18:00 Uhr) von jedermann eingesehen werden. Dabei werden die allgemeinen Ziele und Zwecke sowie die wesentlichen Auswirkungen der Planung öffentlich dargelegt. Der Öffentlichkeit wird Gelegenheit zur Äußerung und Erörterung gegeben.

Während der Auslegungsfrist können Stellungnahmen zu dem Vorentwurf von jedermann schriftlich oder zur Niederschrift bei der Stadtverwaltung abgegeben werden. Nicht fristgerecht abgegebene Stellungnahmen können gemäß § 4 a Abs. 6 BauGB bei der Beschlussfassung über den Bebauungsplan unberücksichtigt bleiben. Die zum Bebauungsplan abgegebenen Stellungnahmen werden in öffentlichen Sitzungen beraten und somit personenbezogene Daten, soweit sie für das Verfahren des Bebauungsplans erforderlich sind, der Stadtverordnetenversammlung und mithin der Öffentlichkeit zur Verfügung gestellt. Die einschlägigen personenbezogenen Daten werden gesondert verarbeitet. Die Verarbeitung erfolgt von der übrigen Verwaltung der Stadt Aßlar personell und organisatorisch getrennt. Es erfolgt keine Nutzung dieser personenbezogenen Daten durch eine andere Stelle für andere Verwaltungszwecke oder eine Übermittlung an eine andere Stelle bis auf das beauftragte Planungsbüro.

Die Stadt Aßlar hat gemäß § 4b BauGB für die Vorbereitung und Durchführung von Verfahrensschritten nach den §§ 2a bis 4a BauGB das Planungsbüro Koch aus Aßlar beauftragt.

Aßlar, den 26.10.2022

Der Magistrat der Stadt Aßlar
Christian Schwarz, Bürgermeister