Titel Logo
Amtliches Bekanntmachungsorgan der Gemeinde Bad Salzschlirf
Ausgabe 47/2023
Amtliche Bekanntmachungen
Zurück zur vorigen Seite
Zurück zur ersten Seite der aktuellen Ausgabe

Amtliche Bekanntmachung Bad Salzschlirf

Bauleitplanung der Gemeinde Bad Salzschlirf

vorhabenbezogenen Bebauungsplanes Nr. 25 „Sondergebiet Freiflächen-PV-Anlage zur Kuppe“ in Bad Salzschlirf.

Bekanntgabe des Satzungsbeschlusses des Bebauungsplans nach § 10 Abs. 3 BauGB

Die Gemeindevertretung der Gemeinde Bad Salzschlirf hat in Ihrer öffentlichen am 15.11.2023 den vorhabenbezogenen Bebauungsplan „Sondergebiet Freiflächen-PV-Anlage zur Kuppe“ gemäß § 10 Abs. 1 BauGB und die örtlichen Bauvorschriften zu diesem Bebauungsplan Satzung beschlossen.

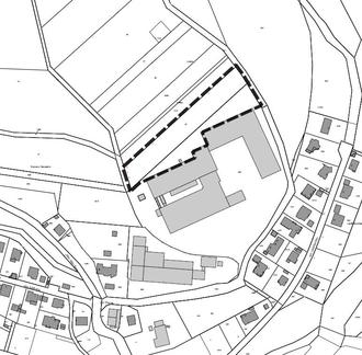
Der räumliche Geltungsbereich des vorhabenbezogenen Bebauungsplans ergibt sich aus dem nachstehend abgedruckten Lageplan:

(unmaßstäbliche Abbildung)

Er wird im Norden durch das Flurstück Nr. 64/1, im Osten durch den bestehenden Weg Flurstück Nr. 84/1, im Süden durch das bestehende Betriebsgelände, Flurstück Nr. 80/3 und im Westen durch den bestehenden Weg Flurstück Nr. 117 begrenzt.

Der vorhabenbezogene Bebauungsplan Nr. 25 „Sondergebiet Freiflächen-PV-Anlage zur Kuppe“ in Bad Salzschlirf und die Örtlichen Bauvorschriften zu diesem Bebauungsplan treten mit dieser Bekanntmachung in Kraft.

Der vorhabenbezogene Bebauungsplan kann, einschließlich der Vorhabenpläne und der Begründung, bei der Gemeindeverwaltung Bad Salzschlirf, Fuldaer Straße 2,36364 Bad Salzschlirf, während der Dienststunden: (Montag bis Freitag von 8 bis 12 Uhr, Dienstag von 14 bis 16 Uhr und Donnerstag von 14 bis 18 Uhr) von jedermann eingesehen und über seinen Inhalt Auskunft verlangt werden.

Gleichzeitig kann der vorhabenbezogene Bebauungsplan mit der Begründung im Internet unter (https://www.badsalzschlirf.de/aktuelles/amtl-bekanntmachungen/) eingesehen werden.

Gemäß § 215 Abs. 1 BauGB wird darauf hingewiesen, dass die Verletzung der in § 214 Abs. 1 Satz 1 Nr. 1 bis 3 BauGB bezeichneten Verfahrens- und Formvorschriften, eine unter Berücksichtigung des § 214 Abs. 2 BauGB beachtliche Verletzung der Vorschriften über das Verhältnis des Bebauungsplans und nach § 214 Abs. 3 Satz 2 BauGB beachtliche Mängel des Abwägungsvorgangs nur beachtlich sind, wenn sie innerhalb eines Jahres seit dieser Bekanntmachung schriftlich gegenüber der Gemeinde Bad Salzschlirf geltend gemacht worden sind. Der Sachverhalt, der die Verletzung begründet ist darzulegen.

Gemäß § 44 Abs. 5 BauGB wird darauf hingewiesen, dass der Entschädigungsberechtigte nach § 44 Abs. 3 BauGB Entschädigung verlangen kann, wenn die in den §§ 39 bis 42 BauGB bezeichneten Vermögensnachteile eingetreten sind. Er kann die Fälligkeit des Anspruchs dadurch herbeiführen, dass er die Leistung der Entschädigung schriftlich bei dem Entschädigungspflichtigen beantragt. Nach § 44 Abs. 4 BauGB erlischt der Entschädigungsanspruch, wenn nicht innerhalb von drei Jahren nach Ablauf des Kalenderjahres in dem die v. g. Vermögensnachteile eingetreten sind, die Fälligkeit des Anspruchs herbeigeführt wird.

Bad Salzschlirf, 22.11.2023

Der Gemeindevorstand der Gemeinde Bad Salzschlirf
gez. Kübel, Bürgermeister