Titel Logo
Südpfalz Kurier - VG Bad Bergzabern
Ausgabe 1/2024
Amtlicher Teil
Zurück zur vorigen Seite
Zurück zur ersten Seite der aktuellen Ausgabe

Öffentliche Bekanntmachung

Bebauungsplan „Kübelwiese“ der Ortsgemeinde Schweigen-Rechtenbach

I. Bekanntmachung des Aufstellungsbeschlusses gemäß § 2 Abs. 1 Baugesetzbuch (BauGB)

Der Gemeinderat der Ortsgemeinde Schweigen-Rechtenbach fasste in seiner Sitzung am 07.07.2021 den Beschluss zur Aufstellung des Bebauungsplans „Kübelwiese“ gemäß § 2 Abs. 1 BauGB. Dieser wurde anschließend durch Gemeinderatsbeschluss in der Sitzung am 12.10.2022 um vier zusätzliche Grundstücke erweitert.

Die Aufstellung dieses Bebauungsplanes ist erforderlich, um den zukünftigen Bedarf an Wohnbauflächen in der Grenzgemeinde decken zu können und ggf. eine Baufläche für eine noch zu errichtende gemeindl. Einrichtung zu schaffen. Die Gemeinde verfolgt das bevölkerungspolitische Ziel, das neue Baugebiet zur Errichtung von Eigenheimen für junge Familien und Mehrfamilienhäusern für alle Generationen zu entwickeln, um im Rahmen einer geordneten Siedlungsentwicklung möglichst preisgünstiges und den zukünftigen Anforderungen gerecht werdendes Bauland auszuweisen. Die Gemeinde verfügt bereits seit längerem über keine eigenen Bauplätze, zusätzlich sind die Entwicklungsmöglichkeiten im Innenbereich ausgereizt. Alle noch vorhandenen Baulücken sind in privater Hand und damit dem Zugriff der Gemeinde entzogen. Durch den Bebauungsplan soll auch vorhandenen ortsansässigen Interessenten die Möglichkeit zur Schaffung bzw. der Erwerb von Wohneigentum ermöglicht werden.

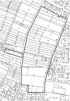
Das Plangebiet liegt zwischen den Ortsteilen Schweigen und Rechtenbach, westlich des Urbanplatzes. Es wird wie folgt begrenzt:

im Osten durch den Wirtschaftsweg von der Guttenberg- zur Längelsstraße bzw. durch das Plangebiet des Bebauungsplans „Mitte“, 3. Änderung und 2. Erweiterung

im Norden durch die Bebauung südlich der Guttenbergstraße bzw. durch das Plangebiet des Bebauungsplans „Herdweg“

im Westen durch den Wirtschaftsweg Fl.St.Nr. 727 (sog. Herdweg)

im Süden durch die nördl. Grenzen der bebauten Flurstücke 12/3 (Waldstr. 6) und 3, 5/1, 6/1 und 7/1 (Anwesen Längelsstraße 25, 26, 28 und 30).

Zusätzlich ist das Flurstück 916 westlich des Wirtschaftsweges Fl.St.Nr. 727 (sog. Herdweg) Bestandteil des Plangebietes (vorgesehenes Rückhaltebecken Außengebiet).

Es umfasst die Flurstücke 973/8, 974, 975,976, 977, 978, 979, 980, 981, 982, 983, 984, 985, 986, 987, 988, 989, 990, 991, 992, 993, 994, 995, 996, 997, 998, 999, 1000, 1001, 1002, 1003, 1003/1 und 1003/2 sowie Flurstück 916 (geplantes Rückhaltebecken) komplett sowie eine Teilfläche des Flurstücks 966/8 (Wirtschaftsweg von der Guttenberg- zur Längelsstraße). Die Gesamtfläche des Plangebiet inkl. des Rückhaltebeckens beträgt ca. 33.800 qm. Siehe auch nachfolgenden Übersichtsplan.


II. Durchführung der frühzeitigen Beteiligung der Öffentlichkeit gemäß § 3 Abs. 1 BauGB

Nach Abschluss eines Erschließungsvertrages konnte vorm Erschließungsträger in der Gemeinderatssitzung am 15.11.2023 ein erster umfänglicher Planentwurf präsentiert werden. Nach intensiver Durchsicht und Bestimmung weiterer Festlegungen fasste der Gemeinderat Schweigen-Rechtenbach anschließend den Beschluss zur Durchführung der frühzeitigen Beteiligung der Öffentlichkeit gem. § 3 Abs. 1 BauGB auf dessen Grundlage.

Hierzu wird der aktuelle Planentwurf mit seinen zeichnerischen und textlichen Festsetzungen sowie Begründung und weiteren vorliegenden Informationen in der Zeit vom

08. Januar bis einschl. 09. Februar 2024

digital ausgelegt. In diesem Zeitraum können diese Unterlagen auf der Homepage der Verbandsgemeinde Bad Bergzabern unter Aktuelles/Bauleitplanung zur Ansicht heruntergeladen werden. Zusätzlich liegen sie ebenfalls bei der Bauabteilung der Verbandsgemeindeverwaltung Bad Bergzabern, Königstr. 61, im Schloss, Zimmer 305, während der Dienststunden öffentlich aus. Die Verwaltung bittet um vorrangige Nutzung der digitalen Einsichtnahme. Während der o.g. Auslegungsfrist besteht für Jedermann die Möglichkeit, zum Bebauungsplanentwurf digital unter Bauleitplanung@vgbza.de oder schriftlich an die Verbandsgemeinde Bad Bergzabern, Bauabteilung, Stellung zu nehmen. Die Behörden und sonstigen Träger öffentlicher Belange werden parallel am Verfahren beteiligt.

Für die Ortsgemeinde Schweigen-Rechtenbach
Bad Bergzabern, 20.12.2023
Verbandsgemeindeverwaltung
Im Auftrag
(Forstner)

Übersichtsplan: