Titel Logo
Südpfalz Kurier - VG Bad Bergzabern
Ausgabe 10/2024
Amtlicher Teil
Zurück zur vorigen Seite
Zurück zur ersten Seite der aktuellen Ausgabe

Öffentliche Bekanntmachung

Bebauungsplan „Sieben Morgen“ der Ortsgemeinde Klingenmünster

I. Bekanntmachung des Aufstellungsbeschlusses gemäß § 2 Abs. 1 Baugesetzbuch (BauGB)

Der Gemeinderat der Ortsgemeinde Klingenmünster fasste in seiner Sitzung am 24.03.2022 den Beschluss zur Aufstellung des Bebauungsplans „Sieben Morgen“ gemäß § 2 Abs. 1 BauGB. Die Abgrenzung des Plangebietes wurde anschließend in der Sitzung vom 14.12.2023 auf Beschluss des Gemeinderates auf die neusten Planentwürfe angepasst.

Die Aufstellung dieses Bebauungsplanes ist erforderlich, um den vorhandenen sowie zukünftigen Bedarf an Wohnbauflächen in der Gemeinde decken zu können. Die Gemeinde verfolgt das bevölkerungspolitische Ziel, das neue Baugebiet zur Errichtung von günstigen Eigenheimen in Form von Einzel-, Doppel-, Mehrfamilien und ev. „Tiny-Häusern“ insbesondere für junge Familien aber auch alle sonstigen Generationen zu entwickeln, um im Rahmen einer geordneten Siedlungsentwicklung möglichst preisgünstiges und den zukünftigen Anforderungen gerecht werdendes Bauland auszuweisen. Die Gemeinde verfügt bereits seit längerem über keine eigenen Bauplätze mehr, zusätzlich sind die Entwicklungsmöglichkeiten im Innenbereich ausgereizt. Das letzte größere Neubaugebiet zum Wohnen, „Schelmengärten“, datiert auf das Jahr 2004. Alle in der Gemeinde noch vorhandenen Baulücken sind in privater Hand und damit dem Zugriff der Gemeinde entzogen. Durch den Bebauungsplan soll auch vorhandenen ortsansässigen Interessenten die Möglichkeit zur Schaffung bzw. der Erwerb von Wohneigentum ermöglicht werden. Dadurch, dass die Grundstücksfläche der zukünftigen Bauplätze komplett in Gemeindehand liegt, ist eine zeitnahe Bebauung und Steuerung selbiger gewährleistet.

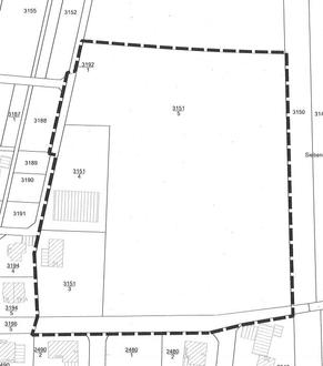
Das Plangebiet liegt am nord-östlichen Ortsrand von Klingenmünster, östlich der Straße „Großwiese“ und nördlich der Lettgasse. Es umfasst den südlichen Bereich des Flurstücks 3151/5 sowie die zwei Grundstücke Fl.Nr. 3151/3 (Lettgasse 21 und 21a) und 3151/4 sowie einen kleineren Teil des gemeindl. Wirtschaftsweges Fl.Nr. 3192/1, siehe auch nachfolgenden Lageplan. Die Gesamtfläche des Plangebietes beträgt nunmehr ca. 27.000 m², wobei die geplante Neubaufläche mit ca. 13.500 m² deutlich kleiner ist.

II. Durchführung der frühzeitigen Beteiligung der Öffentlichkeit gemäß § 3 Abs. 1 BauGB

In der Gemeinderatssitzung am 14.12.2023 konnten vom Planungsbüro dem Gemeinderat zwei Bebauungsvorschläge sowie ein erster Entwurf der schriftlichen Festsetzungen vorgelegt werden. Nach ausführlicher Darstellung und Erläuterung und Festlegung der weiteren Planungsschritte fasste der Gemeinderat Klingenmünster anschließend den Beschluss zur Durchführung der frühzeitigen Beteiligung der Öffentlichkeit gem. § 3 Abs. 1 BauGB auf der vorliegenden Grundlage.

Hierzu werden ein aktuellen Planungskonzept mit Variante, mit schriftlichen Festsetzungen und Begründung sowie den vorliegenden, bereits erstellten Artenschutzvorprüfungen und sämtlichen vorhandenen weiteren Informationen, wie der Bekanntmachung, in der Zeit vom

11. März bis einschl. 07. April 2024

digital ausgelegt. In diesem Zeitraum können diese Unterlagen auf der Homepage der Verbandsgemeinde Bad Bergzabern unter Aktuelles/Bauleitplanung zur Ansicht heruntergeladen werden. Zusätzlich liegen sie ebenfalls bei der Bauabteilung der Verbandsgemeindeverwaltung Bad Bergzabern, Königstr. 61, im Schloss, Zimmer 305, während der Dienststunden öffentlich aus. Die Verwaltung bittet um vorrangige Nutzung der digitalen Einsichtnahme. Während der o.g. Auslegungsfrist besteht für Jedermann die Möglichkeit, zum Bebauungsplanentwurf digital unter Bauleitplanung@vgbza.de oder schriftlich an die Verbandsgemeinde Bad Bergzabern, Bauabteilung, Stellung zu nehmen. Die Behörden und sonstigen Träger öffentlicher Belange werden parallel am Verfahren beteiligt.

Für die Ortsgemeinde Klingenmünster
Bad Bergzabern, 27.02.2024
Verbandsgemeindeverwaltung
Im Auftrag
(Forstner)

Übersichtsplan: