Titel Logo
Südpfalz Kurier - VG Bad Bergzabern
Ausgabe 50/2025
Amtlicher Teil
Zurück zur vorigen Seite
Zurück zur ersten Seite der aktuellen Ausgabe

Amtliche Bekanntmachung der Ortsgemeinde Steinfeld betreffend das Inkrafttreten des vorhabenbezogenen Bebauungsplans „Schmiedgasse“

1. Änderung und Erweiterung

Der Gemeinderat der Ortsgemeinde Steinfeld hat am 19.08.2025 den vorhabenbezogenen Bebauungsplan „Schmiedgasse“ 1. Änderung und Erweiterung gemäß § 10 Abs. 1 BauGB i.V.m. § 13a BauGB i.V.m. § 9 Abs. 4 BauGB als Satzung beschlossen. Der Bebauungsplan wurde am 08.12.2025 von der Ortsbürgermeisterin ausgefertigt. Der Bebauungsplan wurde im beschleunigten Verfahren gemäß § 13a BauGB ohne Durchführung einer Umweltprüfung nach § 2 Abs. 4 BauGB aufgestellt.

Diese Bekanntmachung nach § 10 Abs. 3 Baugesetzbuch (BauGB) beinhaltet gleichzeitig auch die förmliche Bekanntmachung der örtlichen Bau- und Gestaltungsvorschriften gem. § 88 Abs.6 der Landesbauordnung Rheinland-Pfalz (LBauO).

Mit dieser Bekanntmachung tritt der Bebauungsplan gemäß § 10 Abs. 3 BauGB in Kraft.

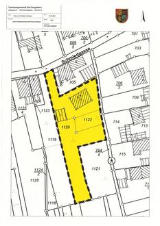
Der Geltungsbereich des Bebauungsplans umfasst die bestehende Bebauung auf dem Grundstück Fl. St. Nr. 1120 sowie dem angrenzenden Grundstück Fl. St. Nr. 1122 südlich der Schmiedgasse.

Siehe auch nachfolgenden Lageplan:

Jedermann kann den Bebauungsplan mit Textteil und Begründung sowie dem Vorhaben- und Erschließungsplan bei der Bauabteilung der Verbandsgemeindeverwaltung Bad Bergzabern, Königstraße 61, Zimmer 304, 76887 Bad Bergzabern (Schloss), während der Dienststunden einsehen und über den Inhalt Auskunft verlangen.

Mit dieser Bekanntmachung tritt der Bebauungsplan in Kraft.

Gem. § 215 BauGB wird darauf hingewiesen, dass eine beachtliche Verletzung der in § 214 Abs. 1 Satz 1 Nr. 1 bis 3 BauGB bezeichneten Verfahrens- und Formvorschriften, eine unter Berücksichtigung des § 214 Abs. 2 BauGB beachtliche Verletzung der Vorschriften über das Verhältnis des Bebauungsplans und des Flächennutzungsplans sowie nach § 214 Abs. 3 Satz 2 BauGB beachtliche Mängel der Abwägung dann unbeachtlich werden, wenn sie nicht innerhalb von einem Jahr seit dieser Bekanntmachung schriftlich gegenüber der Ortsgemeinde oder der Verbandsgemeindeverwaltung Bad Bergzabern geltend gemacht worden sind. Dabei ist der Sachverhalt, der die Verletzung begründen soll, darzulegen. Satz 1 gilt entsprechend, wenn Fehler nach § 214 Abs. 2a BauGB beachtlich sind.

Nach § 214 Abs. 4 BauGB kann der Bebauungsplan durch ein ergänzendes Verfahren zur Behebung von Fehlern auch rückwirkend in Kraft gesetzt werden.

Auf die Vorschriften des § 44 Abs. 3 Satz 1 und 2 sowie Abs. 4 BauGB über die fristgemäße Geltendmachung von durch den Bebauungsplan verursachten, etwaigen Entschädigungsansprüchen (§§ 39 bis 42 BauGB) sowie über deren Fälligkeit und Erlöschen wird hingewiesen.

Ferner gelten gem. § 24 Abs. 6 Satz 1 der Gemeindeordnung (GemO) für Rheinland-Pfalz, die unter Verletzung von Verfahrens- oder Formvorschriften dieses Gesetzes oder auf Grund dieses Gesetzes zustande gekommen sind, ein Jahr nach der Bekanntmachung als von Anfang an gültig zustande gekommen. Dies gilt nicht, wenn

die Bestimmungen über die Öffentlichkeit der Sitzung, die Genehmigung, die Ausfertigung oder die Bekanntmachung der Satzung verletzt worden sind, oder

vor Ablauf der in § 24 Abs. 6 Satz 1 GemO genannten Frist die Aufsichtsbehörde den Beschluß beanstandet oder jemand die Verletzung der Verfahrens- oder Formvorschriften gegenüber der Gemeindeverwaltung unter Bezeichnung des Sachverhalts, der die Verletzung begründen soll, schriftlich geltend gemacht hat, § 24 Abs. 6 Satz 2 Nr. 2 GemO.

Hat jemand eine Verletzung nach § 24 Abs. 6 Satz 2 Nr. 2 GemO geltend gemacht, so kann auch nach Ablauf der in Satz 1 genannten Jahresfrist jedermann diese Verletzung geltend machen.

Steinfeld, 08.12.2025
Diana Nowak, Ortsbürgermeisterin