Titel Logo
Mitteilungsblatt für die Gemeinde Bischoffen
Ausgabe 12/2023
Amtliche Bekanntmachungen
Zurück zur vorigen Seite
Zurück zur ersten Seite der aktuellen Ausgabe

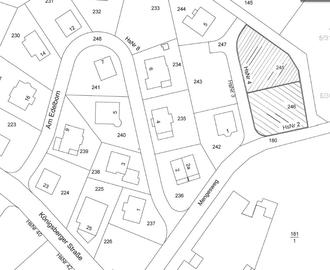
Kommunale Bauplatzvergabe der Baugrundstücke „Mengesweg 2“ und „Mengesweg 4“ im Ortsteil Bischoffen

Die beiden ehemals gemeindlichen Baugrundstücke (nicht eingehaltene Bauverpflichtungen) im „Mengesweg“ im Ortsteil Bischoffen sollen gemäß der „Richtlinien der Gemeinde Bischoffen für die 1. Bauleitplanung, Bodenordnung und Erschließung von Baugebieten und 2. Vergabe von gemeindeeigenen Baugrundstücken“ vergeben werden.

Die Grundstücke sind sofort bebaubar.

Die Vergabe erfolgt anhand eines Bewerbungsbogens nach den in der o. g. Richtlinie festgelegten Vergabekriterien.

Die Richtlinie und der Bewerbungsbogen sowie Karten der zu vergebenden Baugrundstücke können auf der Homepage der Gemeinde Bischoffen heruntergeladen werden.

Die Bewerbungen müssen schriftlich bei der Gemeinde Bischoffen, Schulstraße 23, 35649 Bischoffen, eingereicht werden.

Start des Bewerbungsverfahrens ist der 22.03.2023.

Bewerbungsstichtag ist der 16.04.2023.

Bewerbungen, die nach diesem Stichtag eingereicht und/oder nicht vollständig eingereicht werden, werden nicht berücksichtigt.

Bei Fragen können Sie sich gerne an das Bauamt der Gemeinde Bischoffen unter 06444 9231-17 oder bauamt@bischoffen.de wenden.

gez. M. Herrmann
Bürgermeister