Titel Logo
Mitteilungsblatt für die Gemeinde Bischoffen
Ausgabe 13/2026
Amtliche Bekanntmachungen
Zurück zur vorigen Seite
Zurück zur ersten Seite der aktuellen Ausgabe

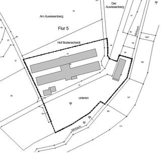
Vorhabenbezogener Bebauungsplan „Hof Bodenscheidt", Ortsteil Bischoffen

Geltungsbereich ohne Maßstab

Die Gemeindevertretung der Gemeinde Bischoffen hat in ihrer Sitzung am 21.05.2022 die Aufstellung des vorhabenbezogenen Bebauungsplanes „Hof Bodenscheidt", Ortsteil Bischoffen, beschlossen.

Der Geltungsbereich befindet sich in der Gemeinde Bischoffen im Ortsteil Bischoffen nordöstlich der Ortslage. Zum Plangebiet führt die gleichnamige Straße „Hof Bodenscheidt". Der räumliche Geltungsbereich umfasst die in der Gemarkung Niederweidbach, Flur 5, die Flurstück 91 tlw., 100/1 tlw. sowie die bestehende Zufahrtstraße auf dem Flurstück 89 tlw. An den räumlichen Geltungsbereich grenzen an (von Norden im Uhrzeigersinn): Ackerflächen, Wald, Bachaue mit Weideland, Fischteiche, Weideland und Ackerflächen. Im Umgriff des räumlichen Geltungsbereiches liegt eine Fläche von rd. 1,6 ha.

 

 

Gegenstand der Aufstellung ist, dass die planungsrechtlichen Grundlagen für die derzeit stattfindenden Nutzungen mit einem Baurecht auf Zeit geschaffen werden sollen.

Zur Beteiligung der Öffentlichkeit gemäß § 3 (1) BauGB wird der Vorentwurf des Bebauungsplanes in der Zeit vom 30.03.2026 bis 24.04.2026 in der Gemeindeverwaltung der Gemeinde Bischoffen, Schulstraße 23, 35649 Bischoffen während der Dienststunden (montags bis donnerstags von 08:00 - 12:00 Uhr und von 13:30 Uhr - 16:00 Uhr, sowie freitags von 08:00 Uhr - 12:00 Uhr zur Einsichtnahme ausgelegt. Zusätzlich werden die Planunterlagen in das Internet eingestellt und können auf der Homepage www.bischoffen.de unter der Rubrik Aktuelles/Bebauungspläne im Verfahren eingesehen und heruntergeladen werden. Dabei werden die allgemeinen Ziele und Zwecke der Planung und die voraussichtlichen Auswirkungen öffentlich dargelegt. Der Öffentlichkeit wird Gelegenheit zur Äußerung und Erörterung gegeben.

Während der Auslegungsfrist können Stellungnahmen zu dem Vorentwurf von jedermann schriftlich oder zur Niederschrift bei der Gemeindeverwaltung der Gemeinde Bischoffen, Schulstraße 23, 35649 Bischoffen abgegeben werden. Es wird darauf hingewiesen, dass nicht fristgerecht abgegebene Stellungnahmen bei der Beschlussfassung über den Bebauungsplan unberücksichtigt bleiben können. Die zum Bebauungsplan abgegebenen Stellungnahmen werden in öffentlichen Sitzungen beraten und somit personenbezogene Daten, soweit sie für das Verfahren der Bebauungsplanaufstellung erforderlich sind, der Gemeindevertretung und mithin der Öffentlichkeit zur Verfügung gestellt. Die einschlägigen personenbezogenen Daten werden gesondert verarbeitet. Die Verarbeitung erfolgt von der übrigen Verwaltung der Gemeinde Bischoffen personell und organisatorisch getrennt. Es erfolgt keine Nutzung dieser personenbezogenen Daten durch eine andere Stelle für andere Verwaltungszwecke oder eine Übermittlung an eine andere Stelle bis auf das beauftragte Planungsbüro.

Die Gemeinde Bischoffen hat gemäß § 4b BauGB für die Vorbereitung und Durchführung von Verfahrensschritten nach den §§ 2a bis 4a BauGB das Planungsbüro Koch aus Aßlar beauftragt."

Bischoffen, den 27.03.2026

- DS -

gez. Herrmann
Bürgermeister