Titel Logo
Mitteilungsblatt für die Gemeinde Bischoffen
Ausgabe 19/2025
Amtliche Bekanntmachungen
Zurück zur vorigen Seite
Zurück zur ersten Seite der aktuellen Ausgabe
-

Bekanntmachung zur Bauleitplanung im OT Bischoffen

Inkrafttreten der Satzung gemäß § 10 Abs. 3

Bauleitplanung der Gemeinde Bischoffen, Ortsteil Bischoffen

Entwicklungs- und Ergänzungssatzung „Nordwestlich der Wachtstraße“ gemäß § 34 Abs. 4 Satz 1 Nr. 2 und 3 BauGB

Die Gemeindevertretung der Gemeinde Bischoffen hat am 28.04.2025 die Entwicklungs- und Ergänzungssatzung „Nordwestlich der Wachtstraße“ gemäß § 10 Abs. 1 BauGB (Baugesetzbuch) als Satzung beschlossen und die Begründung hierzu gebilligt.

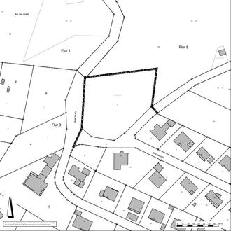
Der Geltungsbereich ist der beigefügten Übersichtskarte zu entnehmen.

Gemäß § 10 Abs. 3 BauGB tritt die Entwicklungs- und Ergänzungssatzung mit dieser Bekanntmachung in Kraft.

Die Entwicklungs- und Ergänzungssatzung und die Begründung werden in der Gemeindeverwaltung Bischoffen, Schulstraße 23, Abteilung Bauen und Umwelt, 35649 Bischoffen während der Dienststunden der Verwaltung sowie nach Vereinbarung zu jedermanns Einsicht bereitgehalten. Über den Inhalt wird auf Verlangen Auskunft erteilt (§ 10 Abs. 3 Satz 2 BauGB). Gemäß § 10a Abs. 2 BauGB wird die rechtskräftige Entwicklungs- und Ergänzungssatzung mit Begründung ergänzend auf der Internetseite der Homepage der Gemeinde (https://www.bischoffen.de/verwaltung-politik/sonstiges/formulare-und-downloads/bebauungsplaene/) sowie über das zentrale Internetportal des Landes Hessen (https://bauleitplanung.hessen.de) eingestellt.

Das Verfahren wurde i.S.d. § 34 Abs. 6 BauGB gemäß § 13 BauGB durchgeführt. Gemäß § 13 Abs. 3 BauGB ist die Entwicklungs- und Ergänzungssatzung ohne Durchführung einer Umweltprüfung nach § 2 Abs. 4 BauGB aufgestellt worden. Eine zusammenfassende Erklärung gemäß § 10a Abs. 1 BauGB, in der über die Art und Weise, wie die Umweltbelange und die Ergebnisse der Öffentlichkeitsbeteiligung in der Satzung berücksichtigt wurden, erfolgt nicht.

Gemäß § 215 Abs. 2 BauGB wird darauf hingewiesen, dass eine nach § 214 Abs. 1 Satz 1 Nr. 1 bis 3 BauGB beachtliche Verletzung der dort bezeichneten Verfahrens- und Formvorschriften, eine unter Berücksichtigung des § 214 Abs. 2 BauGB beachtliche Verletzung der Vorschriften über das Verhältnis des Bebauungsplanes und des Flächennutzungsplanes und nach § 214 Abs. 3 Satz 2 BauGB beachtliche Mängel des Abwägungsvorgangs gemäß § 215 Abs. 1 BauGB unbeachtlich werden, wenn sie nicht innerhalb von einem Jahr seit dieser Bekanntmachung schriftlich gegenüber der Gemeinde unter Darlegung des die Verletzung begründenden Sachverhalts geltend gemacht worden sind.

Auf die Vorschriften der §§ 44 Abs. 3 Satz 1 und 2 sowie Abs. 4 BauGB über die fristgemäße Geltendmachung etwaiger Entschädigungsansprüche für Eingriffe in eine bisher zulässige Nutzung durch diesen Bebauungsplan und über das Erlöschen von Entschädigungsansprüchen wird hingewiesen.

Bauleitplanung der Gemeinde Bischoffen, Ortsteil Bischoffen

Entwicklungs- und Ergänzungssatzung „Nordwestlich der Wachtstraße“ gemäß § 34 Abs. 4 Satz 1 Nr. 2 und 3 BauGB

Übersichtskarte des Geltungsbereiches

genordet, ohne Maßstab