Titel Logo
Mitteilungsblatt für die Gemeinde Bischoffen
Ausgabe 20/2024
Aus dem Rathaus wird berichtet
Zurück zur vorigen Seite
Zurück zur ersten Seite der aktuellen Ausgabe

Auszug aus der Niederschrift über die 23. Sitzung der Gemeindevertretung

am 29. April 2024 im Dorfgemeinschaftshaus im Ortsteil Niederweidbach

Beratungen und Beschlüsse:

1.

Eröffnung und Begrüßung, Feststellung der Beschlussfähigkeit und Genehmigung der Tagesordnung

Sachverhalt:

Der Vorsitzende der Gemeindevertretung, Herr Hans Joachim Rompf, eröffnet die 23. Sitzung der Gemeindevertretung und begrüßt die anwesenden Damen und Herren der Gemeindevertretung, den Gemeindevorstand mit Bürgermeister Herrmann, die Schriftführerin, die Vertreterin der Presse und die anwesenden Gäste.

Der Vorsitzende der Gemeindevertretung stellt fest, dass die Einladung zur Sitzung mit Schreiben vom 11.04.2024 erfolgte. Zeit, Ort und Tagesordnung wurden bekannt gemacht. Die Gemeindevertretung ist zu Sitzungsbeginn mit 17 Anwesenden beschlussfähig.

Beschluss:

Einwände gegen die Tagesordnung liegen nicht vor, sie gilt somit als genehmigt.

2.

Beratung und Beschlussfassung über den Entwurf der 1. Änderung der Förderrichtlinie für Zuschüsse der Gemeinde Bischoffen zur Förderung von Photovoltaikanlagen (PV-Anlagen)

Sachverhalt:

Der Vorsitzende der Gemeindevertretung ruft TOP 2 auf und übergibt das Wort an Bürgermeister Herrmann.

Bürgermeister Herrmann berichtet, dass die Gemeindevertretung in der Sitzung am 30.10.2023 die Förderrichtlinie für Zuschüsse der Gemeinde Bischoffen zur Förderung von Photovoltaikanlagen (PV-Anlagen) beschlossen hat.

Ziel der Förderrichtlinie ist es u.a., durch eine Erhöhung der Eigenstromerzeugung aus erneuerbaren Energien innerhalb der Gemeinde Bischoffen, den lokalen Beitrag zum Klimaschutz zu beschleunigen und die Stromversorgungskosten der Bürgerinnen und Bürger zu reduzieren.

Aktuell sind erfreulicherweise 29 Förderanträge, mit einer Gesamtfördersumme in Höhe ca. 29.000 € und einer Leistung von ca. 250 kWp, gestellt worden. Aufgrund der Tatsache, dass die Förderrichtlinie erst am 01.01.2024 in Kraft getreten ist und im Haushaltsjahr 2023 keine Fördergelder an Bürgerinnen und Bürger ausgezahlt worden sind, hat der Gemeindevorstand das Förderbudget für 2024, um die nicht in Anspruch genommene Summe aus 2023, aufgestockt. Das Gesamtbudget in 2024 beträgt somit 65.000 € (Plan 30.000 €).

Von den 29 Förderanträgen betreffen 9 Förderanträge die Förderung von Balkonkraftwerken. Von Antragstellern ist die Förderung von Batteriespeichern für Balkonkraftwerke nachgefragt worden. Die Verwaltung hat den Wunsch aufgegriffen und -im Entwurf der 1. Änderung der Förderrichtlinie- die Fördermöglichkeit von Batteriespeichern für Balkonkraftwerke geschaffen.

Die Verwaltung empfiehlt, Batteriespeicher für Balkonkraftwerke mit einer Fördersumme in Höhe von Pauschal 50,00 € zu bezuschussen.

Vergleich

Förderung Dach- u. a. PV-Anlagen

max.  —  1.125,00 €

Batteriespeicher für Dach- u. a. PV-Anlagen

Pauschal  —  500,00 €

Förderung Balkonkraftwerk

max.  —  200,00 €

Batteriespeicher für Balkonkraftwerk

(neu)

Pauschal  —  50,00 €

Die Ergänzungen im Entwurf der Richtlinie sind rot markiert.

Der Gemeindevorstand hat in der Sitzung am 08.04.2024 über den Entwurf der 1. Änderung der Förderrichtlinie für Zuschüsse der Gemeinde Bischoffen zur Förderung von Photovoltaikanlagen beraten und beschlossen, der Gemeindevertretung zu empfehlen, den angefügten Entwurf der 1. Änderung zu beschließen.

Der Vorsitzende des Haupt- und Finanzausschusses, Herr Hartmut Groos, berichtet über das Ergebnis der Beratungen in der Ausschusssitzung am 22.04.2024. Der Haupt- und Finanzausschuss empfiehlt, gemäß Beschlussvorschlag zu beschließen.

Die stellv. Vorsitzende des Bau-, Planungs- und Umweltausschusses, Frau Martina Braun, berichtet über das Ergebnis der Beratungen in der Ausschusssitzung am 22.04.2024. Der Bau-, Planungs- und Umweltausschuss empfiehlt, gemäß Beschlussvorschlag zu beschließen.

Beschluss:

Die Gemeindevertretung der Gemeinde Bischoffen beschließt die 1. Änderung der Förderrichtlinie für Zuschüsse der Gemeinde Bischoffen zur Förderung von Photovoltaikanlagen (PV-Anlagen), wie vorgelegt.

3.

Wahl von Mitgliedern und stellvertretenden Mitgliedern in die Kommission "Integration und Unterbringung von Geflüchteten"

Sachverhalt:

Der Vorsitzende der Gemeindevertretung ruft TOP 3 auf und übergibt Bürgermeister Herrmann das Wort.

Bürgermeister Herrmann berichtet, dass die Gemeindevertretung am 26.02.2024 beschlossen hat, dem Gemeindevorstand zu empfehlen, eine Kommission „Integration und Unterbringung von Geflüchteten“ zu bilden.

Rechtsgrundlage:

§ 72 HGO „Kommissionen“

(1)

Der Gemeindevorstand kann zur dauernden Verwaltung oder Beaufsichtigung einzelner Geschäftsbereiche sowie zur Erledigung vorübergehender Aufträge Kommissionen bilden, die ihm unterstehen.

(2)

Die Kommissionen bestehen aus dem Bürgermeister, weiteren Mitgliedern des Gemeindevorstands, Mitgliedern der Gemeindevertretung und, falls dies tunlich erscheint, aus sachkundigen Einwohnern. Die weiteren Mitglieder des Gemeindevorstands werden vom Gemeindevorstand, die Mitglieder der Gemeindevertretung und die sachkundigen Einwohner werden von der Gemeindevertretung gewählt, die sachkundigen Einwohner auf Vorschlag der am Geschäftsbereich der Kommission besonders interessierten Berufs- und anderen Vereinigungen oder sonstigen Einrichtungen; § 62 Abs. 2 (§ 62 Abs. 2 HGO: Anstelle der Wahl der Ausschussmitglieder (§ 55) kann die Gemeindevertretung beschließen, dass sich alle oder einzelne Ausschüsse nach dem Stärkeverhältnis der Fraktionen zusammensetzen; In diesem Fall werden die Ausschussmitglieder dem Vorsitzenden der Gemeindevertretung, nach der Konstituierung eines Ausschusses auch dessen Vorsitzenden, von den Fraktionen schriftlich benannt; der Vorsitzende der Gemeindevertretung gibt der Gemeindevertretung die Zusammensetzung der Ausschüsse schriftlich bekannt. Die Mitglieder der Ausschüsse können sich im Einzelfall durch andere Gemeindevertreter vertreten lassen. Die von einer Fraktion benannten Ausschussmitglieder können von dieser abberufen werden; die Abberufung ist gegenüber dem Vorsitzenden der Gemeindevertretung und dem Vorsitzenden des Ausschusses schriftlich oder elektronisch zu erklären. Nachträgliche Änderungen des Stärkeverhältnisses der Fraktionen, die sich auf die Zusammensetzung der Ausschüsse auswirken, sind zu berücksichtigen; Satz 2 gilt entsprechend.“) gilt entsprechend.

(3)

Den Vorsitz in den Kommissionen führt der Bürgermeister oder ein von ihm bestimmter Beigeordneter.

Der Gemeindevorstand hat am 04.03.2024 die Kommission „Integration und Unterbringung von Geflüchteten“ gebildet. Kraft seines Amtes gehören neben Bürgermeister Marco Herrmann als Vorsitzender, (in seinem Vertretungsfall der Erste Beigeordnete Andreas Glatthaar) die am 04.03.2024 gewählte Beigeordnete Susanne Rieger und (gemäß der festgelegten Vertretungsreihenfolge im Gemeindevorstand) ein stellvertretender Beigeordneter der Kommission „Integration und Unterbringung von Geflüchteten“ an.

Die FW-Fraktion schlägt Herrn Michael Eichler als Mitglied und Frau Martina Braun als stellvertretendes Mitglied in die Kommission vor.

Die CDU-Fraktion schlägt Herrn Hartmut Gross als Mitglied und Herrn Henrik Nickel als stellvertretendes Mitglied in die Kommission vor.

Die SPD-Fraktion schlägt Frau Daniela Will als Mitglied und Herrn Jonathan Dix als stellvertretendes Mitglied in die Kommission vor.

Die Fraktion Bündnis 90/Die Grünen schlägt Herrn Klaus Quecke als Mitglied und Herrn Thomas Gardyan als stellvertretendes Mitglied in die Kommission vor.

Der Gemeindevorstand schlägt Herrn Kurt Schreiner, OT Niederweidbach, als sachkundigen Einwohner für die Wahl eines Mitgliedes in die Kommission „Integration und Unterbringung von Geflüchteten“ vor. Herr Schreiner ist seit dem 01.08.2023 als Beauftragter (zur Unterstützung der Verwaltung bei der Erledigung von zusätzlichen administrativen Sonderaufgaben, insbesondere zur Koordination und Organisation der Aufnahme, Unterbringung, Versorgung und Integration ausländischer Geflüchteter) bei der Gemeinde Bischoffen beschäftigt. Herr Schreiner hat gegenüber Hauptamtsleiter Schneider erklärt, dass er -falls er gewählt werden sollte- die Wahl annimmt.

Weiterhin schlägt der Gemeindevorstand Herrn Pfarrer Dr. Rudolph als sachkundigen Einwohner für die Wahl eines Mitgliedes und Frau Pfarrerin Scherer für die Wahl des stellvertretenden Mitgliedes in die Kommission „Integration und Unterbringung von Geflüchteten“ vor. Herr Pfarrer Dr. Rudolph und Frau Pfarrerin Scherer haben gegenüber Bürgermeister Herrmann erklärt, dass sie -falls sie gewählt werden sollten- die Wahl annehmen.

Der Gemeindevorstand empfiehlt, die Gesamtzahlt der Kommissionsmitglieder auf 10 Personen zu beschränken.

Die Wahl von Kommissionsmitgliedern wird nach den Grundsätzen der Stimmenmehrheit durchgeführt (§ 55 Abs. 1 HGO).

Gewählt wird schriftlich und geheim. Bei Wahlen die nach Stimmenmehrheit vorzunehmen sind, kann gemäß § 55 Abs. 3 HGO, wenn niemand widerspricht, durch Zuruf oder Handaufheben abgestimmt werden.

Wird nach Stimmenmehrheit gewählt, so ist gemäß § 55 Abs. 5 HGO derjenige Bewerber gewählt, für den mehr als die Hälfte der gültigen Stimmen abgegeben worden sind. Nein-Stimmen gelten als gültige Stimmen. Stimmenthaltungen gelten als ungültige Stimmen.

Der Vorsitzende des Haupt- und Finanzausschusses, Herr Hartmut Groos, berichtet über das Ergebnis der Beratungen in der Ausschusssitzung am 22.04.2024. Der Haupt- und Finanzausschuss empfiehlt, gemäß Beschlussvorschlag zu beschließen.

Die stellv. Vorsitzende des Bau-, Planungs- und Umweltausschusses, Frau Martina Braun, berichtet über das Ergebnis der Beratungen in der Ausschusssitzung am 22.04.2024. Der Bau-, Planungs- und Umweltausschuss empfiehlt, gemäß Beschlussvorschlag zu beschließen.

Beschluss:

Die Gemeindevertretung der Gemeinde Bischoffen wählt,

a)

Herrn Michael Eichler als Mitglied und Frau Martina Braun als stellvertretendes Mitglied, für die FW-Fraktion, in die Kommission „Integration und Unterbringung von Geflüchteten“.

b)

Herrn Hartmut Groos als Mitglied und Herrn Henrik Nickel als stellvertretendes Mitglied, für die CDU-Fraktion, in die Kommission „Integration und Unterbringung von Geflüchteten“.

c)

Frau Daniela Will als Mitglied und Herrn Jonathan Dix als stellvertretendes Mitglied, für die SPD-Fraktion, in die Kommission „Integration und Unterbringung von Geflüchteten“.

d)

Herrn Klaus Quecke als Mitglied und Herrn Thomas Gardyan als stellvertretendes Mitglied, für die Fraktion Bündnis 90/Die Grünen, in die Kommission „Integration und Unterbringung von Geflüchteten“.

e)

Herrn Kurt Schreiner, OT Niederweidbach, als sachkundigen Einwohner in die Kommission „Integration und Unterbringung von Geflüchteten“.

f)

Herrn Pfarrer Dr. Rudolph als sachkundigen Einwohner und Frau Pfarrerin Scherer als dessen Stellvertreterin in die Kommission „Integration und Unterbringung von Geflüchteten“.

4.

Bauleitplanung der Gemeinde Bischoffen, OT Bischoffen

hier: Aufstellungsbeschluss gemäß § 2 Abs. 1 BauGB für die 5. Änderung und Erweiterung des Bebauungsplanes

"Vor dem Edelborn/Mengeslappen" und Änderung des Flächennutzungsplanes in diesem Bereich

Sachverhalt:

Der Vorsitzende der Gemeindevertretung ruft TOP 4 auf und übergibt das Wort an Bürgermeister Herrmann.

Bürgermeister Herrmann berichtet, dass die Eigentümer des Grundstückes Heideblick 3 in Bischoffen auf ihrem Grundstück eine neue Hausarztpraxis bauen und die derzeitigen drei Standorte ihrer Hausarztpraxis zusammenlegen möchten.

Das Grundstück ist im Bebauungsplan als Mischgebietsfläche ausgewiesen und eine solche Nutzung wäre in diesem Gebiet baurechtlich möglich. Allerdings ist die Straße Heideblick nicht für den Verkehr einer solchen Hausarztpraxis ausgelegt und auf dem Baugrundstück können nicht ausreichend Parkplätze geschaffen werden.

Um das Projekt zu verwirklichen, muss der Bebauungsplan in diesem Bereich geändert und erweitert werden. Auf den darunterliegenden Grundstücken 186/22, 186/3 und 186/4 sollen Parkflächen und eine Zufahrt entstehen. Auch eine Änderung des Flächennutzungsplanes ist nötig.

Der Eigentümer hat einen Antrag gestellt, einen entsprechenden Bebauungsplan und die dazugehörige Änderung des Flächennutzungsplanes aufzustellen und gleichzeitig die Kostenübernahme für die Planungsleistungen zugesagt.

Der Gemeindevorstand hat in seiner Sitzung am 08.04.2024 beschlossen, der Gemeindevertretung zu empfehlen, gemäß Beschlussvorschlag zu beschließen.

Die stellv. Vorsitzende des Bau-, Planungs- und Umweltausschusses, Frau Martina Braun, berichtet über das Ergebnis der Beratungen in der Ausschusssitzung am 22.04.2024. Der Bau-, Planungs- und Umweltausschuss empfiehlt, gemäß Beschlussvorschlag zu beschließen.

Beschluss:

Die Gemeindevertretung der Gemeinde Bischoffen beschließt, wie folgt zuzustimmen:

Bauleitplanung der Gemeinde Bischoffen, Ortsteil Bischoffen

5. Änderung und Erweiterung des Bebauungsplanes „Vor dem Edelborn/Mengeslappen“ und Änderung des Flächennutzungsplanes in diesem Bereich

Aufstellungsbeschluss gemäß § 2 Abs. 1 BauGB

(1)

Die Gemeindevertretung der Gemeinde Bischoffen beschließt gemäß § 2 Abs. 1 BauGB die 5. Änderung und Erweiterung des Bebauungsplanes „Vor dem Edelborn/Mengeslappen“ sowie die Änderung des Flächennutzungsplanes in diesem Bereich.

(2)

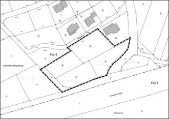
Die Lage und Abgrenzung des Geltungsbereiches des Bebauungsplanes sowie der FNP-Änderung sind der nachfolgenden Übersichtskarte zu entnehmen. Folgende Flurstücke werden vom Geltungsbereich erfasst: 186/3, 186/4, 186/20, 186/21, 186/22, 255, jeweils Flur 4 der Gemarkung Bischoffen. Das Planungsgebiet liegt nördlich der Herborner Straße (Bundesstraße B255) und südwestlich des Seniorenheims sowie südlich der Straße Heideblick.

(3)

Ziel des Bebauungsplanes ist die Schaffung der bauplanungsrechtlichen Voraussetzungen für die Errichtung eines Gesundheitszentrums. Dafür wird im Bebauungsplan ein Mischgebiet festgesetzt. Auf Ebene des Flächennutzungsplanes werden entsprechend gemischte Bauflächen dargestellt (gegenwärtig Flächen für Maß-nahmen zum Schutz, zur Pflege und zur Entwicklung von Natur und Landschaft im FNP). Damit die Erschließung des Gesundheitszentrums gewährleistet werden kann, werden Ausbaumaßnahmen der Verkehrsflächen sowie die Errichtung zusätzlicher Parkflächen vorgesehen. Neben der Ausweisung von Bauflächen werden grünordnerische Maßnahmen im Plangebiet festgesetzt, um den Eingriff in Natur und Landschaft zu minimieren. Die Ziele gelten analog für die Änderung des Flächennutzungsplanes.

(4)

Der Aufstellungsbeschluss für den Bebauungsplan und die Flächennutzungsplanänderung ist gemäß § 2 Abs. 1 Satz 2 BauGB ortsüblich bekannt zu machen.

(5)

Die Aufstellung des Bebauungsplanes sowie der FNP-Änderung erfordern eine Umweltprüfung i.S.d. § 2 Abs. 4 BauGB, in der die Umwelteinwirkungen ermittelt und in einem Umweltbericht beschrieben und bewertet werden. Der Umweltbericht inkl. Landschaftspflegerischer Fachbeitrag ist gemäß § 2a BauGB in die Begründung zum Bebauungsplan bzw. FNP-Änderung zu integrieren.

(6)

Die frühzeitige Beteiligung der Öffentlichkeit gemäß § 3 Abs. 1 BauGB wird durch die Veröffentlichung auf der Homepage der Gemeinde und durch Auslegung der Unterlagen in der Verwaltung durchgeführt. Gleichzeitig erfolgt die frühzeitige Beteiligung der Behörden und sonstiger Träger öffentlicher Belange gemäß § 4 Abs. 1 BauGB.

(7)

Die Verfahren nach § 3 Abs. 1 BauGB i.V.m. § 4 Abs. 1 BauGB sind einzuleiten.

Übersichtskarte zum räumlichen Geltungsbereich

Genordet, ohne Maßstab

5.

Bauleitplanung der Gemeinde Bischoffen, OT Niederweidbach

hier: Aufstellungsbeschluss gemäß § 2 Abs. 1 BauGB für die Aufstellung eines Bebauungsplanes

"Ortseingang Niederweidbach"

Sachverhalt:

Der Vorsitzende der Gemeindevertretung ruft TOP 5 auf und übergibt Bürgermeister Herrmann das Wort.

Bürgermeister Herrmann berichtet, dass am Ortseingang Niederweidbach das komplette Areal im Bereich der ehemaligen Gaststätte Atlantico sehr ungepflegt ist und kein gutes Erscheinungsbild bietet.

Es wurden bereits Gespräche mit den Eigentümern geführt, um die Möglichkeiten der Umgestaltung im genannten Bereich zu erörtern.

Es soll daher für dieses Gebiet ein Bebauungsplan aufgestellt werden.

Im Flächennutzungsplan sind die Flächen aktuell als Mischgebiet ausgewiesen.

Die Fläche wäre demnach gem. § 34 BauGB zu bebauen. Die Bauaufsicht empfiehlt aber dringend, einen Bebauungsplan in diesem Bereich aufzustellen.

Damit werden für die Zukunft verbindliche Regelungen zur Bebauung sowie Nutzung der betr. Flächen herbeigeführt.

Der Gemeindevorstand hat in seiner Sitzung am 08.04.2024 beschlossen, der Gemeindevertretung zu empfehlen, gemäß Beschlussvorschlag zu beschließen.

Die stellv. Vorsitzende des Bau-, Planungs- und Umweltausschusses, Frau Martina Braun, berichtet über das Ergebnis der Beratungen in der Ausschusssitzung am 22.04.2024. Der Bau-, Planungs- und Umweltausschuss empfiehlt, gemäß Beschlussvorschlag zu beschließen.

Beschluss:

Die Gemeindevertretung der Gemeinde Bischoffen beschließt, wie folgt:

Bauleitplanung der Gemeinde Bischoffen, Ortsteil Niederweidbach

Bebauungsplan „Ortseingang Niederweidbach“

Aufstellungsbeschluss gemäß § 2 Abs. 1 BauGB

(1)

Die Gemeindevertretung der Gemeinde Bischoffen beschließt gemäß § 2 Abs. 1 BauGB die Aufstellung des Bebauungsplanes „Ortseingang Niederweidbach“.

(2)

Die Lage und Abgrenzung des Geltungsbereiches des Bebauungsplanes sind der nachfolgenden Übersichtskarte zu entnehmen. Folgende Flurstücke werden vom Geltungsbereich erfasst: 1, 2/1, 3, 4, 5/1, 5/2, 6/2, 8/1, 10, 11/1, 11/2, 11/3, 12, 13, 14, 15, 16, 17, 18 und 19 jeweils Flur 9 der Gemarkung Niederweidbach. Das Planungsgebiet liegt nördlich der Hauptstraße, südlich der Bundesstraße B255 und östlich der Landesstraße L3053. Der Geltungsbereich umfasst eine Fläche von ca. 1,12 ha.

(3)

Ziel des Bebauungsplanes ist die Schaffung der bauplanungsrechtlichen Voraussetzungen für die Ausweisung eines Mischgebietes um die Sicherung der städtebaulichen Ordnung am westlichen Ortsteilausgang zu erreichen. Zur Ausweisung gelangt ein Mischgebiet im Sinne des § 6 BauNVO. Auf Ebene des Flächennutzungsplanes werden entsprechende gemischte Bauflächen (§ 5 Abs. 2 Nr. 1 BauGB) dargestellt. Damit die Erschließung der zukünftigen Bebauungen gewährleistet werden kann, werden die bestehenden Verkehrsflächen in den Geltungsbereich aufgenommen. Neben der Ausweisung von Bauflächen werden grünordnerische Maßnahmen im Plangebiet festgesetzt, um den Eingriff in Natur und Landschaft zu minimieren.

(4)

Der Aufstellungsbeschluss für den Bebauungsplan ist gemäß § 2 Abs. 1 Satz 2 BauGB ortsüblich bekannt zu machen.

(5)

Die Aufstellung des Bebauungsplanes erfordert eine Umweltprüfung i.S.d. § 2 Abs. 4 BauGB, in der die Umwelteinwirkungen ermittelt und in einem Umweltbericht beschrieben und bewertet werden. Der Umweltbericht inkl. Landschaftspflegerischer Fachbeitrag ist gemäß § 2a BauGB in die Begründung zum Bebauungsplan zu integrieren.

(6)

Die frühzeitige Beteiligung der Öffentlichkeit gemäß § 3 Abs. 1 BauGB wird durch die Veröffentlichung auf der Homepage der Gemeinde und durch Auslegung der Unterlagen in der Verwaltung durchgeführt. Gleichzeitig erfolgt die frühzeitige Beteiligung der Behörden und sonstiger Träger öffentlicher Belange gemäß § 4 Abs. 1 BauGB.

(7)

Die Verfahren nach § 3 Abs. 1 BauGB i.V.m. § 4 Abs. 1 BauGB sind einzuleiten.

Bauleitplanung der Gemeinde Bischoffen, Ortsteil Niederweidbach

Bebauungsplan „Ortseingang Niederweidbach“

Übersichtskarte zum räumlichen Geltungsbereich

Genordet, ohne Maßstab

6.

Veränderungssperre für den Bereich des neu aufzustellenden Bebauungsplanes

"Ortseingang Niederweidbach"

Sachverhalt:

Der Vorsitzende der Gemeindevertretung ruft TOP 6 auf und übergibt Bürgermeister Herrmann das Wort.

Bürgermeister Herrmann berichtet, dass im Bereich Ortseingang Niederweidbach das komplette Areal im Bereich der ehemaligen Gaststätte Atlantico sehr ungepflegt ist und kein gutes Erscheinungsbild bietet.

Im TOP 6 wurde hier die Aufstellung eines Bebauungsplanes beraten.

Die momentane Ausweisung als Mischgebiet und die Bebaubarkeit gem. § 34 BauGB eröffnet aktuell vielfältige Möglichkeiten. Daher ist es, um den jetzigen Status bis zur Rechtskraft eines neuen B-Planes aufrecht zu erhalten und unerwünschten Veränderungen vorzubeugen, sinnvoll, eine Veränderungssperre für diesen Bereich zu erlassen.

Die Veränderungssperre muss per Satzung erlassen werden und ist für zwei Jahre begrenzt. Sie kann verlängert werden und bei begründeten Fällen können auch Ausnahmen zugelassen werden. Bei Bedarf kann sie auch aufgehoben werden.

Der Gemeindevorstand hat in seiner Sitzung am 08.04.2024 beschlossen, der Gemeindevertretung zu empfehlen, gemäß Beschlussvorschlag zu beschließen.

Die stellv. Vorsitzende des Bau-, Planungs- und Umweltausschusses, Frau Martina Braun, berichtet über das Ergebnis der Beratungen in der Ausschusssitzung am 22.04.2024. Der Bau-, Planungs- und Umweltausschuss empfiehlt, gemäß Beschlussvorschlag zu beschließen.

Beschluss:

Die Gemeindevertretung der Gemeinde Bischoffen beschließt aufgrund der §§ 14 und 16 des Baugesetzbuches (BauGB) in der Fassung der Bekanntmachung vom 03. November 2017 (BGBl. I S. 3634), das zuletzt durch Artikel 3 des Gesetzes vom 20. Dezember 2023 (BGBl. I S. 394) geändert worden ist, folgende Satzung:

Satzung über eine Veränderungssperre gemäß § 14 BauGB

für den Bereich des Bebauungsplanes „Ortseingang Niederweidbach“

im Ortsteil Niederweidbach

§ 1 Räumlicher Geltungsbereich

Der Geltungsbereich dieser Satzung umfasst die Flurstücke 1, 2/1, 3, 4, 5/1, 5/3, 6/4, 8/1, 10, 11/1, 11/2, 11/3, 12, 13, 14, 15, 16, 17, 18 und 19 der Flur 9 in der Gemarkung Niederweidbach. Für diesen Bereich hat die Gemeindevertretung der Gemeinde Bischoffen in ihrer Sitzung am 29.04.2024 die Aufstellung des Bebauungsplanes „Ortseingang Niederweidbach“ beschlossen.

Geltungsbereich (unmaßstäblich)

§ 2 Rechtswirkungen der Veränderungssperre

(1)

In dem vorbenannten Gebiet dürfen

1.

Vorhaben im Sinne des § 29 BauGB nicht durchgeführt oder bauliche Anlagen nicht beseitigt werden; Vorhaben im Sinne des § 29 BauGB sind:

a)

Vorhaben, die die Errichtung, Änderung oder Nutzungsänderung von baulichen Anlagen zum Inhalt haben;

b)

Aufschüttungen und Abgrabungen größeren Umfangs sowie Ausschachtungen, Ablagerungen einschließlich Lagerstätten, auch wenn sie keine Vorhaben nach Buchstabe a) sind.

2.

2 erhebliche oder wesentlich wertsteigernde Veränderungen von Grundstücken und baulichen Anlagen, deren Veränderung nicht genehmigungs-, zustimmungs- oder anzeigepflichtig sind, nicht vorgenommen werden.

(2)

Wenn überwiegend öffentliche Belange nicht entgegenstehen, kann von der Veränderungssperre eine Ausnahme zugelassen werden. Die Entscheidung über Ausnahmen trifft die Baugenehmigungsbehörde im Einvernehmen mit der Gemeinde.

(3)

Vorhaben, die vor dem Inkrafttreten der Veränderungssperre baurechtlich genehmigt worden sind, Vorhaben, von denen die Gemeinde nach Maßgabe des Bauordnungsrechts Kenntnis erlangt hat und mit deren Ausführung vor dem Inkrafttreten der Veränderungssperre hätte begonnen werden dürfen, sowie Unterhaltungsarbeiten und die Fortführung einer bisher ausgeübten Nutzung werden von der Veränderungssperre nicht berührt.

§ 3 Inkrafttreten und Außerkrafttreten der Veränderungssperre

Diese Veränderungssperre tritt am Tage ihrer Bekanntmachung in Kraft. Sie tritt spätestens nach Ablauf von 2 Jahren, vom Tage der Bekanntmachung gerechnet, außer Kraft. Auf die Zweijahresfrist ist der seit der Zustellung der ersten Zurückstellung eines Baugesuchs nach § 15 Abs. 1 BauGB abgelaufenen Zeitraum anzurechnen. Die Möglichkeit der Verlängerung der Geltungsdauer bzw. einer erneuten Beschlussfassung gem. § 17 BauGB bleibt unberührt. Die Veränderungssperre tritt in jedem Fall außer Kraft, sobald und soweit der Bebauungsplan für das in § 2 genannte Gebiet rechtsverbindlich wird.

7.

Bericht des Gemeindevorstandes

Sachverhalt:

Der Vorsitzende der Gemeindevertretung ruft TOP 7 auf und übergibt Bürgermeister Herrmann das Wort.

Bürgermeister Herrmann berichtet über die wesentlichen Angelegenheiten des Gemeindevorstandes seit der letzten Sitzung.

Der Bericht des Gemeindevorstandes wird im Mitteilungsblatt der Gemeinde Bischoffen veröffentlicht.

Beschluss:

Die Gemeindevertretung nimmt dies zur Kenntnis.

8.

Beantwortung von Anfragen gem. § 22 Abs. 2 der Geschäftsordnung der Gemeindevertretung

Sachverhalt:

Der Vorsitzende der Gemeindevertretung ruft TOP 8 auf und informiert, dass keine schriftlichen Anfragen vorliegen.

Frau Daniela Will fragt nach dem Sachstand der Bebauung des Grundstückes Heideblick X. Das Grundstück ist als soziales Projekt vergeben worden und noch ist kein Bauanfang zu sehen. Fachbereichsleiterin Nadler berichtet, dass aufgrund mehrfachen Planerwechsels bisher noch kein Bauantrag zustande gekommen ist. Bis zur nächsten Sitzung wird Frau Nadler den Sachstand mit dem Eigentümer klären und eine Rückmeldung geben.

Herr Volker Koch fragt nach dem Sachstand der Friedhöfe. Bürgermeister Herrmann berichtet, dass die Kalkulation der Friedhofsgebühren und die Planungen zum Abräumen der Grabfelder bearbeitet sowie Angebote für eventuellen Neubau von Grabkammern zzt. eingeholt werden. Im Sommer kann mit weiteren Beratungen zu diesem Sachstand gerechnet werden.

Beschluss:

Die Gemeindevertretung nimmt dies zur Kenntnis.

Der Vorsitzende der Gemeindevertretung schließt die Sitzung.

………………………

…………………………

C. Nadler

H. J. Rompf

Schriftführerin

Vorsitzender der Gemeindevertretung