Titel Logo
Mitteilungsblatt für die Gemeinde Bischoffen
Ausgabe 20/2024
Amtliche Bekanntmachungen
Zurück zur vorigen Seite
Zurück zur ersten Seite der aktuellen Ausgabe

5. Änderung und Erweiterung des Bebauungsplans „Vor dem Edelborn/Mengeslappen“ im Ortsteil Bischoffen

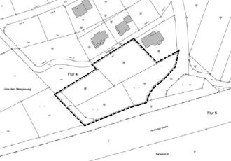
Übersichtskarte zum Geltungsbereich, genordet, ohne Maßstab

Die Gemeindevertetung der Gemeinde Bischoffen hat in ihrer Sitzung am 29.04.2024 die 5. Änderung und Erweiterung des Bebauungsplans „Vor dem Edelborn/Mengeslappen“, Ortsteil Bischoffen, beschlossen.

Der Geltungsbereich liegt nördlich der Herborner Straße (Bundesstraße B255) und südwestlich des Seniorenheims sowie südlich der Straße Heideblick. Er umfasst die Flurstücke 186/3, 186/4, 186/20, 186/21, 186/22 und 255, jeweils Flur 4 der Gemarkung Bischoffen.

Gegenstand der Änderung ist die Ausweisung eines Mischgebietes, um die planungsrechtlichen Voraussetzungen zur Errichtung eines Gesundheitszentrums zu schaffen.

Bischoffen, 24.05.2024

Gemeindevorstand der Gemeinde Bischoffen
gez. M. Herrmann
Bürgermeister
- DS -