Titel Logo
Mitteilungsblatt für die Gemeinde Bischoffen
Ausgabe 28/2022
Amtliche Bekanntmachungen
Zurück zur vorigen Seite
Zurück zur ersten Seite der aktuellen Ausgabe

Inkrafttreten des Bebauungsplanes gemäß § 10 Abs. 3 Baugesetzbuch

Bauleitplanung der Gemeinde Bischoffen, Ortsteil Bischoffen

Bebauungsplan „Auf dem Langstück / Wolfskaute“- 1. Änderung (im vereinfachten Verfahren gemäß § 13 BauGB)

Die Gemeindevertretung der Gemeinde Bischoffen hat in ihrer Sitzung am 02.05.2022 den o.g. Bebauungsplan gemäß § 10 Abs. 1 BauGB (Baugesetzbuch) i.V.m. § 5 HGO (Hess. Gemeindeordnung) und § 9 Abs. 4 BauGB i.V.m. § 91 HBO (Hess. Bauordnung) als Satzung beschlossen und die Begründung hierzu gebilligt.

Die Bebauungsplanänderung erfolgte im vereinfachten Verfahren gemäß § 13 BauGB.

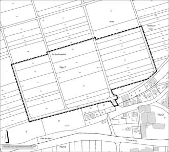
Gemäß § 10 Abs. 3 BauGB tritt die 1. Änderung des Bebauungsplanes mit integrierter Orts- und Gestaltungssatzung mit dieser Bekanntmachung in Kraft. Der Geltungsbereich des Bebauungsplans ist der beiliegenden Übersichtskarte zu entnehmen.

Der Bebauungsplan „Auf dem Langstück / Wolfskaute“- 1. Änderung und die Begründung hierzu werden in der Gemeindeverwaltung Bischoffen, Schulstraße 23, Abteilung Bauen und Umwelt, EG Zimmer 01, 35649 Bischoffen während der üblichen Dienststunden sowie nach Vereinbarung zu jedermanns Einsicht bereitgehalten. Über den Inhalt wird auf Verlangen Auskunft erteilt (§ 10 Abs. 3 Satz 2 BauGB). Gemäß § 10a Abs. 2 BauGB wird der rechtskräftige Bebauungsplan mit Begründung ergänzend auf der Internetseite der Gemeinde Bischoffen / Rubrik Verwaltung & Politik / Formulare & Downloads / Bebauungspläne eingestellt kann hier heruntergeladen werden. Zusätzlich wird der rechtskräftige Bebauungsplan über ein zentrales Internetportal des Landes Hessen https://bauleitplanung.hessen.de/ zugänglich gemacht.

Das Verfahren wurde gemäß § 13 BauGB (Vereinfachtes Verfahren) durchgeführt. Gemäß § 13 Abs. 3 Satz 1 BauGB ist der Bebauungsplan ohne Durchführung einer Umweltprüfung nach § 2 Abs. 4 BauGB aufgestellt worden, eine zusammenfassende Erklärung gemäß § 10a Abs. 1 BauGB, in der über die Art und Weise, wie die Umweltbelange und die Ergebnisse der Öffentlichkeitsbeteiligung in dem Bebauungsplan berücksichtigt wurden, erfolgt nicht.

Gemäß § 215 Abs. 2 BauGB wird darauf hingewiesen, dass eine nach § 214 Abs. 1 Satz 1 Nr. 1 bis 3 BauGB beachtliche Verletzung der dort bezeichneten Verfahrens- und Formvorschriften, eine unter Berücksichtigung des § 214 Abs. 2 BauGB beachtliche Verletzung der Vorschriften über das Verhältnis des Bebauungsplanes und des Flächennutzungsplanes und nach § 214 Abs. 3 Satz 2 BauGB beachtliche Mängel des Abwägungsvorgangs gemäß § 215 Abs. 1 BauGB unbeachtlich werden, wenn sie nicht innerhalb von einem Jahr seit dieser Bekanntmachung schriftlich gegenüber der Gemeinde unter Darlegung des die Verletzung begründenden Sachverhalts geltend gemacht worden sind. Dies gilt entsprechend, wenn Fehler nach § 214 Abs. 2a BauGB beachtlich sind.

Auf die Vorschriften der §§ 44 Abs. 3 Satz 1 und 2 sowie Abs. 4 BauGB über die fristgemäße Geltendmachung etwaiger Entschädigungsansprüche für Eingriffe in eine bisher zulässige Nutzung durch diesen Bebauungsplan und über das Erlöschen von Entschädigungsansprüchen wird hingewiesen.

Bauleitplanung der Gemeinde Bischoffen, Ortsteil Bischoffen

Bebauungsplan „Auf dem Langstück / Wolfskaute“- 1. Änderung

Übersichtskarte des Baugebietes