Titel Logo
Mitteilungsblatt für die Gemeinde Bischoffen
Ausgabe 28/2024
Amtliche Bekanntmachungen
Zurück zur vorigen Seite
Zurück zur ersten Seite der aktuellen Ausgabe

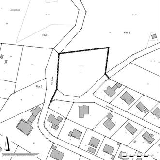
Bauleitplanung der Gemeinde Bischoffen, Ortsteil Bischoffen

genordet, ohne Maßstab

Entwicklungs- und Ergänzungssatzung „Nordwestlich der Wachtstraße“ gemäß § 34 Abs. 4 Satz 1 Nr. 2 und 3 BauGB

Bekanntmachung des Aufstellungsbeschlusses gemäß § 2 Abs. 1 Satz 2 BauGB und der Beteiligung der Öffentlichkeit gemäß § 3 Abs. 2 BauGB - Entwurfsoffenlage

(1)

Die Gemeindevertretung der Gemeinde Bischoffen hat am 27.02.2023 gemäß § 2 Abs.1 BauGB die Aufstellung sowie die Beteiligung der Öffentlichkeit gemäß § 3 Abs. 2 BauGB (Entwurfsoffenlage) der Entwicklungs- und Ergänzungssatzung im Bereich „Nordwestlich der Wachtstraße“ gemäß § 34 Abs. 4 Satz 1 Nr. 2 und 3 BauGB beschlossen.

(2)

Geplant ist die Abgrenzung und Festlegung des bebauten Ortsteiles im Bereich nordwestlich der Wachtstraße, da die einbezogene Fläche durch die bauliche Nutzung (ehem. Tennisplätze) und durch die angrenzenden Flächen entsprechend geprägt ist. Geplant ist die Neuausweisung von zwei Baugrundstücken im Nordwesten der Ortslage, da dieser Bereich bereits über die Wachtstraße erschlossen ist, über den Flächennutzungsplan aber nicht als bestehende oder geplante Siedlungsfläche dargestellt wird (Darstellung beinhaltet Tennisplätze). Der Ortsrand erfährt in diesem Bereich eine sinnvolle städtebauliche Abrundung. Zur Ausweisung gelangt analog den angrenzenden Nutzungen ein Allg. Wohngebiet im Sinne des § 4 BauNVO.

(3)

Die Abgrenzung des Geltungsbereiches ist der nachfolgenden Übersichtskarte zu entnehmen. Betroffen sind in der Gemarkung Bischoffen in der Flur 3, die Flurstücke 1 und 10 tlw.

(4)

Der Aufstellungsbeschluss wird hiermit gemäß § 2 Abs.1 Satz 2 BauGB ortsüblich bekannt gemacht.

(5)

Die Beteiligung der Öffentlichkeit erfolgt gemäß § 13 Abs. 2 Satz 1 Nr. 2 BauGB i.V.m. § 3 Abs. 2 BauGB durch Auslegung der Planung in der Verwaltung. Gleichzeitig wird die Beteiligung der Behörden und sonstiger Träger öffentlicher Belange gemäß § 13 Abs. 2 Satz 1 Nr. 3 i.V.m. 4 Abs. 2 BauGB durchgeführt.

(6)

Im vereinfachten Verfahren, das bei einem Satzungsverfahren nach § 34 Abs.4 Satz 1 Nr. 2 und Nr. 3 BauGB anzuwenden ist, wird gemäß § 13 Abs. 3 Satz 1 BauGB darauf hingewiesen, dass von der Umweltprüfung nach § 2 Abs.4 BauGB, von dem Umweltbericht nach § 2a BauGB, von der Angabe nach § 3 Abs.2 Satz 4 BauGB, welche Arten umweltbezogener Informationen verfügbar sind sowie von der zusammenfassenden Erklärung (§ 10a Abs.1 BauGB) abgesehen wird.

(7)

In Ausführung des § 3 Abs. 2 BauGB (Beteiligung der Öffentlichkeit) werden die Planunterlagen der Entwicklungs- und Ergänzungssatzung (Plankarte, Begründung und Artenschutzrechtlicher Fachbeitrag (Plan Ö 03/2024)) in der Zeit vom

17.07.2024 - 23.08.2024 einschließlich

im Internet auf der Homepage www.bischoffen.de unter der Rubrik Aktuelles / Amtliche Bekanntmachungen / Bebauungspläne veröffentlicht und können ebenfalls über das zentrale Internetportal des Landes Hessen https://bauleitplanung.hessen.de/ eingesehen werden. Zusätzlich zur Veröffentlichung im Internet erfolgt eine öffentliche Auslegung der oben genannten Unterlagen in der Gemeindeverwaltung Bischoffen, Schulstraße 23, Abteilung Bauen und Umwelt, 35649 Bischoffen. Die Einsichtnahme ist während der Dienststunden der Verwaltung und nach Vereinbarung möglich. Während der oben genannten Dauer der Veröffentlichungsfrist können Stellungnahmen abgegeben werden. Es wird darauf hingewiesen, dass Stellungnahmen elektronisch übermittelt werden sollen, bei Bedarf aber auch auf anderem Weg, zum Beispiel schriftlich, in Textform oder zur Niederschrift, abgegeben werden können. Die elektronische Abgabe der Stellungnahmen ist zum Beispiel unter der E-Mail-Adresse beteiligung@fischer-plan.de möglich.

(8)

Die Gemeinde Bischoffen hat gemäß § 4b BauGB das Planungsbüro Fischer aus 35435 Wettenberg mit der Durchführung des Bauleitplanverfahrens beauftragt.

(9)

Es wird gemäß § 3 Abs. 2 Satz 4 Nr. 3 BauGB darauf hingewiesen, dass nicht fristgerecht abgegebene Stellungnahmen bei der Beschlussfassung über die Entwicklungs- und Ergänzungssatzung unberücksichtigt bleiben können.

Bauleitplanung der Gemeinde Bischoffen, Ortsteil Bischoffen

Entwicklungs- und Ergänzungssatzung „Nordwestlich der Wachtstraße“ gemäß § 34 Abs. 4 Satz 1 Nr. 2 und 3 BauGB [LL1]

Übersichtskarte des Geltungsbereiches

Bischoffen, 08.07.2024

Der Gemeindevorstand
(Dienstsiegel) gez. M. Herrmann
Bürgermeister