Titel Logo
Braunfelser Stadtnachrichten
Ausgabe 37/2022
Amtliche Bekanntmachungen
Zurück zur vorigen Seite
Zurück zur ersten Seite der aktuellen Ausgabe

Teil-Änderung des Bebauungsplanes „Braunfels Nord“ im Bereich der Hecksberg-straße, Stadtteil Braunfels

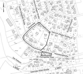
Abb.: Geltungsbereiche des Bebauungsplanes

hier:

a)

Bekanntmachung gemäß § 10 (3) BauGB (Inkrafttreten des Bebauungsplanes)

b)

Integrierte Orts- und Gestaltungssatzung gemäß § 91 (3) HBO (Inkrafttreten der Satzung)

a) Bekanntmachung gem. § 10 (3) BauGB

Die Stadtverordnetenversammlung der Stadt Braunfels hat den o. g. Bebauungsplan für die in nachfolgender Abbildung dargestellten Geltungsbereiche am 14.07.2022 als Satzung beschlossen.

Der Bebauungsplan tritt mit dieser Bekanntmachung in Kraft.

Gemäß § 215 Abs. 2 BauGB wird darauf hingewiesen, dass

-

eine nach § 214 Abs. 1 Satz 1 Nr. 1 bis 3 BauGB beachtliche Verletzung der dort bezeichneten Verfahrens- und Formvorschriften,

-

eine unter Berücksichtigung des § 214 Abs. 2 BauGB beachtliche Verletzung der Vorschriften über das Verhältnis des Bebauungsplanes und des Flächennutzungsplanes und

-

nach § 214 Abs. 3 Satz 2 BauGB beachtliche Mängel des Abwägungsvorgangs

gemäß § 215 Abs. 1 BauGB unbeachtlich werden, wenn sie nicht innerhalb eines Jahres seit dieser Bekanntmachung schriftlich gegenüber dem Magistrat der Stadt Braunfels, Hüttenweg 3, 35619 Braunfels, unter Darlegung des die Verletzung begründenden Sachverhalts geltend gemacht worden sind.

Auf die Vorschriften des § 44 Abs. 3 Satz 1 und 2 sowie des Absatzes 4 BauGB für die fristgerechte Geltendmachung etwaiger Entschädigungsansprüche bei Eingriffen des oben genannten Bebauungsplanes in eine bisher zulässige Nutzung und über das Erlöschen solcher Ansprüche wird hingewiesen.

Der Bebauungsplan und die Begründung werden gemäß § 10 (3) BauGB während der Dienststunden im Rathaus der Stadt Braunfels zu jedermanns Einsicht bereitgehalten.

Jedermann kann dieses Planwerk einsehen und über seinen Inhalt Auskunft verlangen.

Diese Unterlagen können auch auf der Internetseite der Stadt Braunfels eingesehen und heruntergeladen werden.

b) Integrierte Orts- und Gestaltungssatzung gemäß § 91 (3) HBO

Die Festsetzungen im B-Plan nach § 91 Abs. 3 HBO in Verbindung mit § 9 Abs. 4 BauGB wurden als Gestaltungssatzung beschlossen.

Die Gestaltungssatzung wird mit dieser Bekanntmachung rechtskräftig.

35619 Braunfels, den 13.09.2022

III-De
DER MAGISTRAT
DER STADT BRAUNFELS
Breithecker
Bürgermeister