Titel Logo
Busecker Nachrichten
Ausgabe 12/2024
Amtliche Bekanntmachungen
Zurück zur vorigen Seite
Zurück zur ersten Seite der aktuellen Ausgabe
-

Bebauungsplan Nr., 2.26„Mittelsmühle“ im Ortsteil Trohe

Bauleitplanung der Gemeinde Buseck

Bebauungsplan Nr., 2.26 „Mittelsmühle“ im Ortsteil Trohe

Änderung des Flächennutzungsplans im Geltungsbereich des Bebauungsplans Nr. 2.26 „Mittelsmühle“

Bekanntmachung der frühzeitigen Bürgerbeteiligung gem. § 3 (1) BauGB

Veröffentlichung im Internet und Öffentliche Auslegung des Vorentwurfs

Die Gemeindevertretung der Gemeinde Buseck hat in ihrer Sitzung am 20.10.2022 gem. § 2 (1) BauGB die Durchführung eines Bauleitplanverfahrens zur Aufstellung des Bebauungsplanes Nr. 2.26 „Mittelsmühle“ im Ortsteil Trohe (Gemarkung Alten-Buseck) beschlossen. Parallel hierzu ist für den Planbereich der Flächennutzungsplan zu ändern.

Die Planaufstellung dient der städtebaulichen Ordnung eines geplanten Wohngebiets als zukünftige Folgenutzung des Reiterhofs „Mittelsmühle“ im Ortsteil Trohe.

Die Vorentwürfe des Bebauungsplans und der Flächennutzungsplanänderung werden zur Unterrichtung über die allgemeinen Ziele und Zwecke der Planung und der voraussichtlichen Auswirkungen in der Zeit vom

von Dienstag, den 02.04.2024 bis einschließlich Freitag, den 26.04.2024

auf der Internetseite der Gemeinde Buseck unter

https://www.buseck.de/bauleitplanverfahren/

veröffentlicht und stehen unter dem Internetportal des Landes Hessen unter https://bauleitplanung.hessen.de zur Verfügung. Sie können eingesehen und im PDF-Format heruntergeladen werden. Dies gilt auch für diese Bekanntmachung.

Zusätzlich zur Veröffentlichung im Internet werden die Unterlagen während der Servicezeiten der Verwaltung im Rathaus der Gemeinde Buseck, Ernst-Ludwig-Straße 15,35418 Buseck, 2. Obergeschoss, im Flur vor Zimmer 25, öffentlich ausgelegt. Dabei kann über die voraussichtlichen Auswirkungen der Planung unterrichtet werden, den Bürgern wird Gelegenheit zur Äußerung und Erörterung gegeben. Anregungen und Bedenken können zu Protokoll gegeben werden.

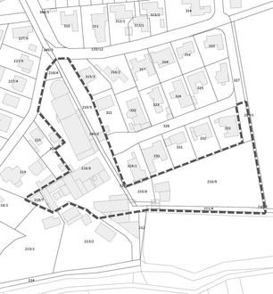
Der Geltungsbereich des Bebauungsplans ist aus den nachstehenden, unmaßstäblichen Karten ersichtlich. Er erfasst im einzelnen in der Gemarkung Alten-Buseck, Flur 9 die Flurstücke 210/5, 210/7, 210/8, 210/9, 211/4, 218/4, 218/7, 240/2 und 329/2 jeweils vollständig und die Flurstücke 218/8 und 327 jeweils teilweise (Flurstücksaufzählung gemäß geplanter Neuordnung).

Die Durchführung des Verfahrens und die Auswertung der eingegangenen Stellungnahmen wurde einem privaten Planungsbüro übertragen (Einschaltung eines Dritten gemäß § 4b BauGB). Das Planungsbüro fungiert hierbei als Verwaltungshelfer ohne Entscheidungsbefugnis.