Titel Logo
Busecker Nachrichten
Ausgabe 39/2024
Amtliche Bekanntmachungen
Zurück zur vorigen Seite
Zurück zur ersten Seite der aktuellen Ausgabe
-

Inkrafttreten des Bebauungsplanes gemäß § 10 Abs.3 Baugesetzbuch

Bauleitplanung der Gemeinde Buseck, Ortsteil Großen-Buseck

Bebauungsplan „Solarpark Auf der Eselsweide“

Die Gemeindevertretung der Gemeinde Buseck hat auf ihrer Sitzung am 11.07.2024 den Bebauungsplan „Solarpark Auf der Eselsweide“ gemäß § 10 Abs. 1 BauGB (Baugesetzbuch) i.V.m. § 5 HGO und § 9 Abs. 4 BauGB i.V.m. § 91 HBO (integrierte Orts- und Gestaltungssatzung) und § 37 Abs. 4 HWG (wasserrechtliche Festsetzung) als Satzung beschlossen und die Begründung sowie den Umweltbericht hierzu gebilligt. Mit dem Bebauungsplan werden die planungsrechtlichen Voraussetzungen für die Errichtung einer Freiflächen-Photovoltaikanlage geschaffen.

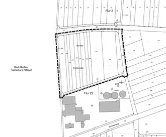
Der Geltungsbereich liegt nördlich des Schützenweges (L3126) zwischen den Ortsteilen Großen Buseck und Rödgen (Gießen) und ist der beigefügten Übersichtskarte zu entnehmen. Im Plangebiet sind Maßnahmen mit kompensatorischer Wirkung festgesetzt. Ein externer naturschutzrechtlicher Ausgleich wird gemäß Eingriffs-/ Ausgleichsbilanz nicht erforderlich.

Der Bebauungsplan ist aus der am 06.09.2024 genehmigten Flächennutzungsplanänderung entwickelt (§ 8 Abs. 2 BauGB). Die Beschlussfassung über den Bebauungsplan als Satzung wird hiermit bekannt gemacht. Gemäß § 10 Abs. 3 BauGB (Baugesetzbuch) tritt der Bebauungsplan mit integrierter Gestaltungssatzung und wasserrechtlichen Festsetzungen mit dieser Bekanntmachung in Kraft.

Der Bebauungsplan, die Begründung, der Umweltbericht hierzu sowie die zusammenfassende Erklärung werden während der allgemeinen Dienststunden in der Gemeindeverwaltung Buseck, Ernst-Ludwig-Straße 15, Bauamt, zu jedermanns Einsicht bereitgehalten. Über den Inhalt wird auf Verlangen Auskunft erteilt (§ 10 Abs.3 Satz 2 BauGB).

Gemäß § 10a Abs. 1 BauGB wird dem Bebauungsplan eine zusammenfassende Erklärung beigefügt, aus der die Art und Weise hervorgeht, wie die Umweltbelange und die Ergebnisse der Öffentlichkeits- und Behördenbeteiligung in dem Bebauungsplan berücksichtigt wurden, und über die Gründe, aus denen der Plan nach Abwägung mit den geprüften, in Betracht kommenden anderweitigen Planungsmöglichkeiten gewählt wurde.

Gemäß § 10a Abs. 2 BauGB werden die Unterlagen des rechtskräftigen Bebauungsplans „Solarpark Auf der Eselsweide“ mit Begründung, Umweltbericht und zusammenfassender Erklärung ergänzend in das Internet eingestellt und können auf der Homepage https://www.buseck.de/ unter der Rubrik Unsere Gemeinde / Wohnen und Bauen in Buseck / Bebauungspläne eingesehen werden. Zusätzlich wird der rechtskräftige Bebauungsplan über das zentrale Internetportal des Landes Hessen https://bauleitplanung.hessen.de/ zugänglich gemacht.

Gemäß § 215 Abs. 2 BauGB wird darauf hingewiesen, dass eine nach § 214 Abs. 1 Satz 1 Nr. 1 bis 3 BauGB beachtliche Verletzung der dort bezeichneten Verfahrens- und Formvorschriften, eine unter Berücksichtigung des § 214 Abs. 2 BauGB beachtliche Verletzung der Vorschriften über das Verhältnis des Bebauungsplanes und des Flächennutzungsplanes und nach § 214 Abs. 3 Satz 2 BauGB beachtliche Mängel des Abwägungsvorgangs gemäß § 215 Abs. 1 BauGB unbeachtlich werden, wenn sie nicht innerhalb von einem Jahr seit dieser Bekanntmachung schriftlich gegenüber der Gemeinde unter Darlegung des die Verletzung begründenden Sachverhalts geltend gemacht worden sind.

Auf die Vorschriften der §§ 44 Abs. 3 Satz 1 und 2 sowie Abs. 4 BauGB über die fristgemäße Geltendmachung etwaiger Entschädigungsansprüche für Eingriffe in eine bisher zulässige Nutzung durch diesen Bebauungsplan und über das Erlöschen von Entschädigungsansprüchen wird hingewiesen.

Bauleitplanung der Gemeinde Buseck, Ortsteil Großen-Buseck

Bebauungsplan „Solarpark Auf der Eselsweide“

Übersichtskarte des Geltungsbereiches

Ausschnitt genordet, ohne Maßstab