Titel Logo
Busecker Nachrichten
Ausgabe 47/2023
Amtliche Bekanntmachungen
Zurück zur vorigen Seite
Zurück zur ersten Seite der aktuellen Ausgabe

Bebauungsplan Nr. 1.37 „Solarpark Auf der Eselsweide“ sowie Änderung des Flächennutzungsplanes in diesem Bereich

Bauleitplanung der Gemeinde Buseck, Ortsteil Großen-Buseck

Bebauungsplan Nr. 1.37 „Solarpark Auf der Eselsweide“ sowie Änderung des Flächennutzungsplanes in diesem Bereich

Bekanntmachung der Beteiligung der Öffentlichkeit gemäß § 3 Abs.2 Baugesetzbuch (BauGB) – Entwurfsoffenlage

(1) Die Gemeindevertretung der Gemeinde Buseck hat am 09.11.2023 gemäß § 3 Abs. 2 BauGB die Entwurfsoffenlage zum Bebauungsplan „Solarpark Auf der Eselsweide“ sowie zur Änderung des Flächennutzungsplanes in diesem Bereich beschlossen.

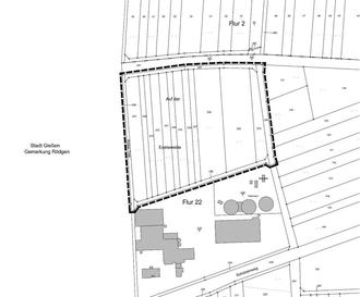
(2) Die Abgrenzung des Geltungsbereiches des Bebauungsplanes sowie der FNP-Änderung kann der nachfolgenden Übersichtskarte entnommen werden und umfasst in der Flur 22 die Flurstücke 234-245, 295tlw., 296 und 298tlw. (Gemarkung Großen-Buseck).

(3) Planziel ist weiterhin die Ausweisung eines Sondergebietes im Sinne § 11 Abs.2 Baunutzungsverordnung (BauNVO) für Anlagen (Fotovoltaikanlagen), die der Nutzung von Sonnenenergie dienen. Auf Ebene des Flächennutzungsplanes werden entsprechend Sonderbauflächen (§ 1 Abs.1 Nr.4 BauNVO) dargestellt. Ziel der Planung ist die Errichtung eines Solarparks, um eine nachhaltige Energieversorgung aufzubauen, die für den angrenzenden lw. Hof und primär für die Einspeisung ins öffentliche Netz dienen soll. Die Belange von Natur und Landschaft sind gemäß § 1a BauGB im Rahmen der Bauleitplanung zu behandeln. Da auf der Planfläche das Vorkommen von Zauneidechsen festgestellt werden konnte und es sich tlw. um hochwertige Biotopstrukturen handelt, wurde das Sondergebiet reduziert und grünordnerische Maßnahmen mit dem Entwicklungsziel wechselfeuchtes Extensivgrünland im Norden und Nordosten im Plangebiet sowie mit dem Entwicklungsziel Reptilienhabitat im Süden festgesetzt, um den Eingriff in Natur und Landschaft zu minimieren. Die Ziele gelten analog für die Änderung des Flächennutzungsplanes.

(4) Gemäß § 2 Abs. 4 und § 2a BauGB muss eine Umweltprüfung durchgeführt werden, in der die voraussichtlich erheblichen Umwelteinwirkungen ermittelt und in einem Umweltbericht beschrieben und bewertet werden. Der Umweltbericht und die umweltrelevanten Informationen und Stellungnahmen werden mit öffentlich ausgelegt.

Folgende umweltrelevante Informationen sind verfügbar und liegen ebenfalls öffentlich aus: Umweltbericht mit integriertem landschaftspflegerischem Fachbeitrag und Aussagen zu den umweltrelevanten Schutzgütern gemäß § 1 Abs. 6 Nr.7a-j BauGB u.a. die Schutzgüter Boden und Wasser, Klima und Luft, Tiere und Pflanzen, Biologische Vielfalt, Landschaft, Gebiete gemeinschaftlicher Bedeutung und Europäische Vogelschutzgebiete, Mensch, Gesundheit und Bevölkerung, Kultur- und sonstige Sachgüter sowie Gebiete zur Erhaltung der bestmöglichen Luftqualität.

Ferner umfasst der Umweltbericht Angaben zu Maßnahmen zur Vermeidung, Verringerung und zum Ausgleich der nachteiligen Auswirkungen der Planung, zur Entwicklung des Umweltzustandes bei Durchführung bzw. Nichtdurchführung der Planung, zu den in Betracht kommenden anderweitigen Planungsmöglichkeiten sowie zur Überwachung der Umweltauswirkungen, die aufgrund des Bebauungsplans auftreten können.

Weitere umweltbezogene Informationen liegen vor: Artenschutzrechtlicher Fachbeitrag (Plan Ö, Stand 10/2023) in Bezug auf Vögel, Reptilien, Amphibien sowie Tagfalter und Widderchen. Aus der Analyse sind als artenschutzrechtlich besonders zu prüfende Vogelarten Feldlerche, Goldammer, Haussperling, Schwarzkehlchen und Steinkauz sowie als artenschutzrechtlich besonders zu prüfende Reptilienart die Zauneidechse hervorgegangen. Dementsprechend sind artenschutzrechtliche Konflikte möglich. Amphibien und artenschutzrechtlich besonders zu prüfende Schmetterlinge wurden nicht nachgewiesen.

Im Rahmen der Beteiligungsverfahren gemäß § 3 Abs.2 und § 4 Abs.2 BauGB sind umweltrelevante Stellungnahmen von Behörden und sonstigen Trägern öffentlicher Belange eingegangen. Wesentliche Sachverhalte, die sich auf den Geltungsbereich des Bebauungsplans sowie der Flächennutzungsplanänderung beziehen, werden vorliegend zusammenfassend aufgeführt:

DB Bahn AG (Schutzgüter Mensch, Gesundheit und Bevölkerung): Hinweise für Baumaßnahmen aufgrund der angrenzenden Lage zur Bahnstrecke zum Schutz des Schienenverkehrs zur Berücksichtigung bei der Bauausführung.

Hessen Mobil (Schutzgüter Mensch, Gesundheit und Bevölkerung): keine Bedenken. Hinweise auf Umgang im Falle der Notwendigkeit von Maßnahmen für die Leichtigkeit und Sicherheit des Verkehrs sowie zum Umgang mit Emissionen.

Kreisausschuss des LDK, Amt für den ländlichen Raum (Schutzgüter Klima und Luft, Tiere und Pflanzen, Biologische Vielfalt, Landschaft, Gebiete gemeinschaftlicher Bedeutung und Europäische Vogelschutzgebiete, Mensch, Gesundheit und Bevölkerung): Hinweis auf Inanspruchnahme von landwirtschaftlichen Flächen. Standort im Teil-Regionalplan Mittelhessen nicht als Vorbehaltsgebiet für Freiflächen-Photovoltaikanlage dargestellt, sondern als VRG Landwirtschaft. Forderung einer Prüfung zur Eignung von bereits versiegelten Flächen wie Dachflächen, Fassaden, Parkplätze.

Kreisausschuss des LK Gießen, FD Brandschutz (Schutzgüter Klima und Luft, Boden und Wasser, Tiere und Pflanzen, Biologische Vielfalt, Landschaft, Gebiete gemeinschaftlicher Bedeutung und Europäische Vogelschutzgebiete, Mensch, Gesundheit und Bevölkerung): Hinweise zum Umgang mit Löschwasserversorgung. Hubrettungsgerät steht nicht zur Verfügung. Hinweis zur Errichtung und Erhalt öffentlich-rechtlicher Verkehrswege für Feuerlösch- und Rettungsfahrzeuge.

Kreisausschuss des LK Gießen, FD Naturschutz (Schutzgüter Klima und Luft, Tiere und Pflanzen, Biologische Vielfalt, Landschaft, Gebiete gemeinschaftlicher Bedeutung und Europäische Vogelschutzgebiete, Mensch, Gesundheit und Bevölkerung): Hinweis auf Vorkommen von Grünland und frischer bis wechselfeuchter Standorte im Plangebiet. Notwendige Ergänzung der Erhebungen bzgl. Pflanzenarten sowie artenschutzrechtliche Erhebungen. Ansonsten keine grundsätzlichen Bedenken.

Kreisausschuss des LK Gießen, Wasser- und Bodenschutz (Schutzgüter Klima und Luft, Boden und Wasser, Tiere und Pflanzen, Biologische Vielfalt, Landschaft, Gebiete gemeinschaftlicher Bedeutung und Europäische Vogelschutzgebiete, Mensch, Gesundheit und Bevölkerung): Allgemeine Hinweise zum Umgang mit Grund- und Niederschlagswasser.

Mittelhessen Netz GmbH (Schutzgüter Tiere und Pflanzen, Biologische Vielfalt, Landschaft, Mensch, Gesundheit und Bevölkerung): Hinweise auf Stromversorgungsleitungen im Plangebiet. Hinweise zur Berücksichtigung bei der Bausauführung, auch hinsichtlich Baumpflanzungen.

RP Darmstadt, Kampfmittelräumdienst (Schutzgüter Boden und Wasser, Klima und Luft, Biologische Vielfalt, Landschaftsbild, Gebiete gemeinschaftlicher Bedeutung und Mensch, Gesundheit und Bevölkerung, Gebiete zur Erhaltung der bestmöglichen Luftqualität): Kein Hinweis auf Vorkommen von Bombenblindgängern. Hinweise zum Umgang im Falle eines Auftretens.

RP Gießen, Obere Landesplanungsbehörde (Schutzgüter Klima und Luft, Tiere und Pflanzen, Biologische Vielfalt, Landschaft, Gebiete gemeinschaftlicher Bedeutung und Europäische Vogelschutzgebiete, Mensch, Gesundheit und Bevölkerung): Hinweis auf Inanspruchnahme von landwirtschaftlichen Flächen. Standort im Teilregionalplan Mittelhessen nicht als Vorbehaltsgebiet für Freiflächen-Photovoltaikanlage dargestellt, sondern als VRG Landwirtschaft. Hinweis auf vorrangige Errichtung im VRG Industrie und Gewerbe. Nähere Erläuterung und Auseinandersetzung hinsichtlich Standortwahl und Zielen des TRPEM 2016/2020 sowie VRG Regionaler Grünzug und VRG Natur und Landschaft. Hinweise zum Umgang mit angrenzendem Schienenverkehr.

RP Gießen, Nachsorgender Bodenschutz (Schutzgüter: Boden, Wasser, Luft, Mensch, Gesundheit und Bevölkerung): Kein Hinweis auf Altlasten im Plangebiet. Hinweise auf Umgang im Falle eines Vorkommens.

RP Gießen, Vorsorgender Bodenschutz (Schutzgüter: Boden, Wasser und Luft, Mensch, Gesundheit und Bevölkerung): Hinweise zum vorsorgenden Bodenschutz sowie zur Eingriffsbewertung. Hinweise zu Vorkehrungsmaßnahmen zum Schutz des Bodens. Hinweis auf Forderung einer Bodenkundlichen Baubegleitung ab der Planungsphase.

RP Gießen, Kommunale Abfallentsorgung, Abfallentsorgungsanlagen (Schutzgüter: Mensch, Tiere, Gesundheit und Bevölkerung): Hinweise zum Umgang mit Abfall und der Abfallentsorgung. Hinweise zum Umgang von Bodenaushubmaterial bei Erdarbeiten.

RP Gießen Landwirtschaft (Schutzgüter: Tiere und Pflanzen, Biologische Vielfalt, Landschaft, Boden und Wasser, Landschaft): Hinweise auf Bedenken zum Plangebiet aufgrund der Hochwertigkeit der Böden und Inanspruchnahme landwirtschaftlicher Flächen. Hinweis auf vorrangige Errichtung im VRG Industrie und Gewerbe sowie sparsamen Umgang mit Grund und Boden.

RP Gießen, Obere Naturschutzbehörde (Schutzgüter Boden und Wasser, Klima und Luft, Biologische Vielfalt, Landschaftsbild, Gebiete gemeinschaftlicher Bedeutung und Mensch, Gesundheit und Bevölkerung, Gebiete zur Erhaltung der bestmöglichen Luftqualität): Hinweis auf das zum Plangebiet 300m entfernte LSG „Auenverbund Lahn-Dill“.

RP Gießen, Bauleitplanung (Schutzgüter Boden und Wasser, Klima und Luft, Biologische Vielfalt, Landschaftsbild, Gebiete gemeinschaftlicher Bedeutung und Mensch, Gesundheit und Bevölkerung, Gebiete zur Erhaltung der bestmöglichen Luftqualität): Nähere Erläuterung und Auseinandersetzung hinsichtlich Standortwahl und Alternativen. Erforderlichkeit eines Monitoring-Konzeptes.

Die Stellungnahmen werden zusammen mit der Umweltprüfung (Umweltbericht), in der die Aspekte der Kompensation und Regelungen nach Bundesnaturschutzgesetz (BNatSchG) und dem Hess. Naturschutzgesetz (HeNatG) behandelt sind, den o.a. Umweltinformationen sowie dem Artenschutzrechtlichen Fachbeitrag (PlanÖ 10/2023) im Internet veröffentlich und bei der Gemeinde öffentlich ausgelegt.

(5) Gemäß § 3 Abs.2 BauGB (Beteiligung der Öffentlichkeit) werden die Planunterlagen des Bebauungsplanes und Flächennutzungsplanänderung (Plankarte, Begründung, Umweltbericht, Artenschutzrechtlicher Fachbeitrag) sowie alle vorliegenden umweltbezogenen Stellungnahmen und umweltbezogenen Informationen in der Zeit vom

04.12.2023 – 15.01.2024 einschließlich

im Internet unter der Adresse www.buseck.de unter der Rubrik: Unsere Gemeinde / Wohnen und Bauen in Buseck/ Bekanntmachung/ Offenlage Bauleitplanung https://www.buseck.de/bauleitplanverfahren/index.asp sowie über das zentrale Internetportal des Landes Hessen (www.bauleitplanung.hessen.de) eingestellt und können eingesehen und heruntergeladen werden. Zusätzlich zur Veröffentlichung im Internet erfolgt gemäß § 3 Abs.2 Satz 4 Nr.4 BauGB eine öffentliche Auslegung der oben genannten Unterlagen in der Gemeindeverwaltung Buseck, Ernst-Ludwig-Straße 15, Fachbereich Bauen und Liegenschaften, 2. OG Flur vor Zimmer 25, während der Dienststunden der Verwaltung, sowie nach Vereinbarung. Jedermann hat in dieser Auslegungsfrist die Gelegenheit zur Information sowie zur Abgabe einer Stellungnahme mit Anregungen und Hinweisen (z.B. schriftlich, zu Protokoll oder per E-Mail).

(6) Es wird darauf hingewiesen, dass Stellungnahmen elektronisch übermittelt werden sollen, bei Bedarf aber auch auf anderem Weg, zum Beispiel schriftlich, in Textform oder zur Niederschrift, abgegeben werden können. Die elektronische Abgabe der Stellungnahmen ist zum Beispiel unter der E-Mail-Adresse info@fischer-plan.de oder hochbau@buseck.de möglich.

(7) Für die Flächennutzungsplanänderung gilt, dass eine Vereinigung im Sinne des § 4 Abs. 3 Satz 1 Nummer 2 des Umwelt-Rechtsbehelfsgesetzes in einem Rechtsbehelfsverfahren nach § 7 Abs. 2 des Umwelt-Rechtsbehelfsgesetzes gemäß § 7 Abs. 3 Satz 1 des Umwelt-Rechtsbehelfsgesetzes mit allen Einwendungen ausgeschlossen ist, die sie im Rahmen der Auslegungsfrist nicht oder nicht rechtzeitig geltend gemacht hat, aber hätte geltend machen können.

(8) Gemäß § 3 Abs.2 Satz 4 Nr.3 BauGB wird darauf hingewiesen, dass Stellungnahmen zu dem Bauleitplanverfahren während der Auslegungsfrist abgebeben werden können und das nicht fristgerecht abgegebene Stellungnahmen bei der Beschlussfassung über den Bauleitplan unberücksichtigt bleiben können

(9) Gemäß § 4b BauGB wurde das Planungsbüro Fischer aus 35435 Wettenberg mit der Durchführung des Bauleitplanverfahrens nach BauGB beauftragt.

Bauleitplanung der Gemeinde Buseck – Übersichtskarte

Bauleitplanung der Gemeinde Buseck, Ortsteil Großen-Buseck

Bebauungsplan „Solarpark Auf der Eselsweide „ sowie Änderung des Flächennutzungsplanes in diesem Bereich

Übersichtskarte – räumlicher Geltungsbereich

genordet, ohne Maßstab