Titel Logo
Busecker Nachrichten
Ausgabe 49/2022
Amtliche Bekanntmachungen
Zurück zur vorigen Seite
Zurück zur ersten Seite der aktuellen Ausgabe

Bebauungsplan „Solarpark Auf der Eselsweide“ sowie Änderung des Flächennutzungsplanes in diesem Bereich

Bauleitplanung der Gemeinde Buseck, Ortsteil Großen-Buseck

Bebauungsplan „Solarpark Auf der Eselsweide“

sowie Änderung des Flächennutzungsplanes in diesem Bereich

Bekanntmachung des Aufstellungsbeschlusses gemäß § 2 Abs.1 Satz 2 BauGB sowie Bekanntmachung der frühzeitigen Beteiligung der Öffentlichkeit gemäß § 3 Abs.1 BauGB

(1)

Die Gemeindevertretung der Gemeinde Buseck hat am 20.10.2022 gemäß § 2 Abs.1 BauGB die Aufstellung des Bebauungsplanes „Solarpark Auf der Eselsweide“ und die Änderung des Flächennutzungsplanes in diesem Bereich in der Gemarkung Großen-Buseck.

(2)

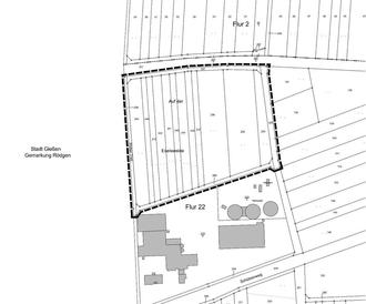
Der Geltungsbereich umfasst den auf der beiliegenden Übersichtskarte abgegrenzten Bereich, Flurstücke: 234-245, 295tlw., 296, 297 und 298tlw., in der Flur 22 in der Gemarkung Großen-Buseck.

(3)

Planziel ist die Ausweisung eines Sondergebietes im Sinne § 11 Abs.2 Baunutzungsverordnung (BauNVO) für Anlagen (Fotovoltaikanlagen), die der Nutzung von Sonnenenergie dienen. Auf Ebene des Flächennutzungsplanes werden entsprechend Sonderbauflächen (§ 1 Abs.1 Nr.4 BauNVO) dargestellt. Ziel der Planung ist die Errichtung eines Solarparks, um eine nachhaltige Energieversorgung aufzubauen, die für die angrenzende Biogasanlage und primär für die Einspeisung ins öffentliche Netz dienen soll. Die Belange von Natur und Landschaft sind gemäß § 1a BauGB im Rahmen der Bauleitplanung zu behandeln. Neben der Ausweisung von Bauflächen werden grünordnerische Maßnahmen im Plangebiet festgesetzt, um den Eingriff in Natur und Landschaft zu minimieren. Die Ziele gelten analog für die Änderung des Flächennutzungsplanes.

(4)

Der Aufstellungsbeschluss für den Bebauungsplan und die FNP-Änderung wird hiermit gemäß § 2 Abs.1 Satz 2 BauGB ortsüblich bekanntgemacht.

(5)

Die Aufstellung des Bebauungsplanes erfolgt im zweistufigen Regelverfahren. Gemäß § 2 Abs. 4 und § 2a BauGB wird eine Umweltprüfung für die Bauleitplanverfahren durchgeführt, in der die voraussichtlich erheblichen Umwelteinwirkungen ermittelt und in einem Umweltbericht beschrieben und bewertet werden. Die Unterrichtung der Öffentlichkeit gemäß § 3 Abs.1 BauGB erfolgt gemäß den Vorgaben des BauGB (Baugesetzbuch) und dient im Hinblick auf die Ermittlung des erforderlichen Umfangs und Detaillierungsgrades der Umweltprüfung nach § 2 Abs.4 BauGB. Der Umweltbericht ist gemäß § 2a BauGB in die Begründung des Bebauungsplanes und der FNP-Änderung zu integrieren.

(6)

Gemäß § 3 Abs.1 BauGB (frühzeitige Beteiligung der Öffentlichkeit) liegt der Planvorentwurf des Bebauungsplanes sowie der Flächennutzungsplan-Änderung einschließlich Begründung und Umweltbericht zu jedermanns Einsicht öffentlich in der Zeit vom

12.12.2022 – 20.01.2023

in der Gemeindeverwaltung Buseck, Ernst-Ludwig-Straße 15, Fachbereich Bauen und Liegenschaften, 2. OG Flur vor Zimmer 25, während der Dienststunden der Verwaltung sowie nach Vereinbarung öffentlich aus. Während dieser Auslegungsfrist können von jedermann Anregungen und Hinweise zur Planung vorgebracht werden. Die Einsichtnahme ist für jedermann zu den üblichen Dienstzeiten möglich. Jedermann hat in dieser Auslegungsfrist die Gelegenheit zur Information sowie zur Äußerung von Anregungen und Hinweisen (z.B. schriftlich, zu Protokoll oder per E-Mail). Die Stellungnahmen können auch per E-Mail (fischer@fischer-plan.de) beim Planungsbüro abgegeben werden.

(7)

Die Planunterlagen werden zusätzlich in das Internet eingestellt und können auf der Homepage www.buseck.de unter der Rubrik: Unsere Gemeinde / Wohnen und Bauen in Buseck/ Bekanntmachung/ Offenlage Bauleitplanung eingesehen und heruntergeladen werden. Die Stellungnahmen können auch, unter Angabe des Bebauungsplanes, per E-Mail (fischer@fischer-plan.de) abgegeben werden.

(8)

Gemäß § 4b BauGB hat die Gemeinde Buseck das Planungsbüro Fischer aus 35435 Wettenberg mit der Durchführung des Verfahrens nach BauGB beauftragt.

Bauleitplanung der Gemeinde Buseck, Ortsteil Großen-Buseck

Bebauungsplan „Solarpark Auf der Eselsweide“

sowie Änderung des Flächennutzungsplanes in diesem Bereich

Übersichtskarte zum räumlichen Geltungsbereich

genordet ohne Maßstab