Titel Logo
Busecker Nachrichten
Ausgabe 51/2022
Amtliche Bekanntmachungen
Zurück zur vorigen Seite
Zurück zur ersten Seite der aktuellen Ausgabe

Bebauungsplan Nr. 4.8 „Solarpark Oppenrod“ – 1. Änderung

Bauleitplanung der Gemeinde Buseck, Ortsteil Oppenrod

Bebauungsplan Nr. 4.8 „Solarpark Oppenrod“ – 1. Änderung

Vereinfachtes Verfahren nach § 13 BauGB

Bekanntmachung des Aufstellungsbeschlusses gemäß § 2 Abs. 1 Satz 2 BauGB und der Beteiligung der betroffenen Öffentlichkeit gemäß § 13 Abs. 2 Satz 1 Nr. 2 Hs. 1 BauGB - Entwurfsoffenlage

(1)

Die Gemeindevertretung der Gemeinde Buseck hat am 08.12.2022 gemäß § 2 Abs.1 BauGB i.V.m. § 13 BauGB die 1. Änderung des Bebauungsplanes Nr. 4.8 „Solarpark Oppenrod“ in der Gemarkung Oppenrod im Vereinfachten Verfahren nach § 13 BauGB beschlossen.

(2)

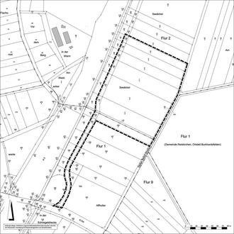
Der Geltungsbereich der Bebauungsplanänderung ist der nachfolgenden Übersichtskarte zu entnehmen und umfasst den Geltungsbereich des bisherigen Bebauungsplanes.

(3)

Ziel der Bebauungsplanänderung ist die Erweiterung der Baugrenze nach Westen, um in der bisherigen Bauverbotszone weitere Solarmodule errichten zu können. Die Grundzüge der Planung werden durch diese Änderung nicht berührt, das Verfahren kann nach § 13 BauGB (Vereinfachtes Verfahren) geändert werden. Die zeichnerischen und textlichen Festsetzungen des bisher rechtskräftigen Bebauungs-planes werden ansonsten übernommen und an die aktuellen gesetzlichen Grundlagen angepasst.

(4)

Der Aufstellungsbeschluss wird hiermit gemäß § 2 Abs. 1 Satz 2 BauGB ortsüblich bekannt gemacht.

(5)

Gemäß § 13 Abs. 2 Satz 1 Nr.1 BauGB wird von der frühzeitigen Unterrichtung der Öffentlichkeit und Behörden gemäß § 3 Abs.1 und § 4 Abs.1 BauGB abgesehen. Der betroffenen Öffentlichkeit sowie den betroffenen Behörden und sonstigen Trägern öffentlicher Belange wird Gelegenheit zur Stellungnahme gemäß § 13 Abs. 2 Satz 1 Nr.2 Hs. 1 und Nr. 3 Hs. 1 BauGB gegeben.

(6)

Gemäß § 13 Abs. 3 Satz 1 BauGB wird darauf hingewiesen, dass von der Umweltprüfung nach § 2 Abs. 4 BauGB, von dem Umweltbericht nach § 2a BauGB und von der Angabe nach § 3 Abs. 2 Satz 2 BauGB, welche Arten umweltbezogener Informationen verfügbar sind, abgesehen wird. Das vereinfachte Verfahren ist auch zulässig, da durch den Bebauungsplan kein Vorhaben vorbereitet wird, dass einer Pflicht zur Durchführung einer Umweltverträglichkeitsprüfung nach dem Gesetz über die Umweltverträglichkeitsprüfung oder nach Landesrecht unterliegt. Auch ein Störfallbetrieb im Sinne des § 50 Abs.1 Bundes-Immissionsschutzgesetz ist nicht von der Planung betroffen.

(7)

In Ausführung des § 13 Abs. 2 Satz 1 Nr. 2 Hs. 1 BauGB (Beteiligung der betroffenen Öffentlichkeit) liegen die Planunterlagen des Bebauungsplanes in der Zeit vom

09.01.2023 - 27.01.2023 einschließlich

in der Gemeindeverwaltung Buseck, Ernst-Ludwig-Straße 15, 2. Obergeschoss, Flur vor Zimmer 25, während der allgemeinen Dienststunden der Verwaltung, sowie nach Vereinbarung, zu jedermanns Einsicht öffentlich aus. Jedermann hat in dieser Auslegungsfrist die Gelegenheit zur Information sowie zur Abgabe einer Stellungnahme mit Anregungen und Hinweisen (z.B. schriftlich oder zu Protokoll). Die Stellungnahmen können auch, unter Angabe des Bebauungsplanes, per E-Mail (fischer@fischer-plan.de) abgegeben werden.

(8)

Gemäß § 4a Abs. 4 BauGB werden die Planunterlagen ins Internet eingestellt und können auf der Homepage der Gemeinde unter www.buseck.de unter der Rubrik: Unsere Gemeinde / Wohnen und Bauen in Buseck/ Bekanntmachung/ Offenlage Bauleitplanung sowie über das zentrale Internetportal des Landes Hessen (www.bauleitplanung.hessen.de) eingesehen werden.

(9)

Gemäß § 3 Abs. 2 Satz 2 BauGB wird darauf hingewiesen, dass Stellungnahmen zu dem Bauleitplanverfahren während der Auslegungsfrist abgebeben werden können und das nicht fristgerecht abgegebene Stellungnahmen bei der Beschlussfassung über den Bauleitplan unberücksichtigt bleiben können.

(10)

Gemäß § 4b BauGB ist das Planungsbüro Fischer aus 35435 Wettenberg mit der Durchführung des Verfahrens nach BauGB beauftragt.

Übersichtskarte

Bebauungsplan „Solarpark Oppenrod“ – 1.Änderung

Gemarkung Oppenrod

genordet, ohne Maßstab