Titel Logo
Dietzhölztaler Nachrichten
Ausgabe 14/2024
Amtliche Bekanntmachungen
Zurück zur vorigen Seite
Zurück zur ersten Seite der aktuellen Ausgabe

Bauleitplanung der Gemeinde Dietzhölztal

Flächennutzungsplan-Änderung und Bebauungsplan „Feuerwehrgerätehaus", Gemarkung Mandeln

hier: Öffentliche Auslegung gemäß § 3 (2) BauGB

Die öffentliche Auslegung, die im Zeitraum vom 19.02.2024 bis einschließlich 30.03.2024 durchgeführt wurde, wird wiederholt. Die Wiederholung ist erforderlich, da die Einsichtnahme am 30.03.2024 im Rathaus nicht möglich war.

Stellungnahmen, die zur ursprünglichen öffentlichen Auslegung vorgebracht wurden, werden bei der Abwägung berücksichtigt. Sie müssen daher nicht erneut abgegeben werden.

Die Unterlagen der Bauleitplanung werden der Zeit

vom 08.04.2024 bis einschließlich 17.05.2024

(Dauer der Veröffentlichungsfrist)

auf der Internetseite der Gemeinde Dietzhölztal unter www.dietzhoelztal.de/bauleitplanung/ veröffentlicht und stehen unter dem Internetportal des Landes Hessen unter https://bauleitplanung.hessen.de zur Verfügung.

Sie können eingesehen bzw. im PDF-Format heruntergeladen werden. Dies gilt auch für diese Bekanntmachung.

Zusätzlich zur Veröffentlichung im Internet werden die Unterlagen während der Öffnungszeiten des Rathauses mit Publikumsverkehr zu jedermanns Einsichtnahme im Rathaus der Gemeinde Dietzhölztal, Hauptstraße 92, 35716 Dietzhölztal, im Zimmer 16 im oben genannten Zeitraum öffentlich ausgelegt.

Es werden öffentlich ausgelegt:

1. Flächennutzungsplan-Änderung

  • Planzeichnung
  • Begründung
  • Umweltbericht mit der Anlage: Umweltbericht des Bebauungsplanes (Anlagen des Umweltberichtes des Bebauungsplanes, siehe unten)
  • bereits vorliegende umweltbezogene Stellungnahmen.

2. Bebauungsplan

  • Planzeichnung
  • Textliche Festsetzungen
  • Begründung
  • Umweltbericht mit den Anlagen: Fauna und Flora-Gutachten, Artenschutzrechtlicher Beitrag, Biotoptypenkartierung, Eingriffs- und Ausgleichsplan mit Bilanzierung, FFH-Vorprüfung für das FFH-Gebiet „Extensivgrünland bei Mandeln" und VSG-Vorprüfung für das. VSG-Gebiet „Hauberge bei Haiger"
  • bereits vorliegende umweltbezogene Stellungnahmen

Die Öffnungszeiten des Rathauses sind.

Montag:

8:00 Uhr - 12:30 Uhr und

13:30 Uhr - 17:00 Uhr

Dienstag bis Donnerstag:

8:00 Uhr - 12:30 Uhr und

13:30 Uhr - 15:30 Uhr

Freitag:

8:00 Uhr - 12:00 Uhr

Die Einsicht in die Unterlagen kann auch außerhalb dieser Öffnungszeiten nach vorheriger Terminvereinbarung erfolgen.

Die Mindestdauer der öffentlichen Auslegung beträgt gemäß Baugesetzbuch einen Monat. Sie wird verlängert, damit ausreichend Zeit für die Einsichtnahme und die Abgabe der Stellungnahmen besteht.

Die Öffentlichkeit kann Stellungnahmen während der Dauer der Veröffentlichungsfrist abgeben.

Die Stellungnahmen sollten elektronisch an folgende Mail-Adresse abgegeben werden: stellungnahmen@buero-zillinger.de.

Bei Bedarf können sie aber auch auf anderem Wege abgegeben werden, zum Beispielschriftlich, adressiert an die Gemeindeverwaltung Dietzhölztal, oder zur Niederschrift.

Stellungnahmen, die nicht fristgerecht abgegeben werden, können bei der Beschlussfassung über den Bauleitplan unberücksichtigt bleiben.

Die Stellungnahmen werden ausgewertet und in nicht-öffentlichen und öffentlichen Sitzungen beraten. Die Verarbeitung der personenbezogenen Daten erfolgt nur im Rahmen des Planungsprozesses und im Übrigen unter Beachtung der Datenschutzverordnung.

Für die Flächennutzungsplan-Änderung gilt:

Eine Vereinigung im Sinne des § 4 Abs. 3 Satz 1 Nr. 2 des Umwelt-Rechtsbehelfsgesetzes in einem Rechtsbehelfsverfahren nach § 7 Abs. 2 des Umwelt-Rechtsbehelfsgesetzes gemäß § 7 Abs. 3 Satz 1 des Umwelt-Rechtsbehelfsgesetzes ist mit allen Einwendungen ausgeschlossen, die im Rahmen der Auslegungsfrist nicht oder nicht rechtzeitig geltend gemacht wurden, aber hätten geltend machen können (§ 3 Abs. 3 BauGB).

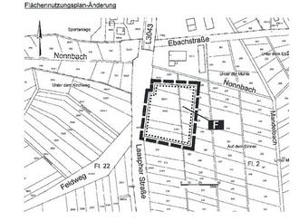
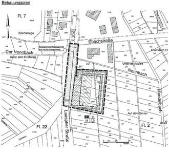
Die Bauleitplanungen werden für in den nachfolgenden Abbildungen dargestellten Geltungsbereich aufgestellt:

Die Flächen des Geltungsbereiches liegen am südlichen Ortsrand von Mandeln, Flur 2, und werden wie folgt abgegrenzt:

Im Norden:

landwirtschaftliche Flächen, dahinter Gewässer „Nonnbach"

im Osten:

landwirtschaftliche Flächen

Im Süden:

landwirtschaftliche Flächen

Im Westen:

landwirtschaftliche Flächen, hinter der Straße „Laaspher Straße" (Landesstraße L 3043)

Unterschied der Geltungsbereiche: Im Bebauungsplan ist die Laaspher Straße bis zur bebauten Ortslage in den Geltungsbereich aufgenommen worden.

Folgende umweltbezogene Informationen liegen vor:

In 2022 wurde eine Biotoptypenkartierung, eine faunistisch-floristische Planungsraumanalyse, Kartierungen und ein artenschutzrechtlicher Fachbeitrag erstellt.

Der Geltungsbereich wurde insgesamt achtmal begangen. Hierbei wurden die Brutvögel kartiert, die Flora erhoben sowie der Geltungsbereich nach Tagfaltern, Heuschrecken und Reptilien abgesucht sowie die Biotoptypen ermittelt.

Eine Feuchtwiese wurde nachgewiesen, die durch Nässezeiger geprägt wird. Auch wurden zwei Magerkeitszeiger kartiert. Insgesamt wird die Vegetation als deutlich verarmt vom Gutachterteam eingestuft.

Die übrigen Flächen werden den intensiv genutzten Frischwiesen zugeordnet. Sie werden gedüngt und häufig gemäht.

Eine kleine nasse Saumvegetation mit Mädesüß wurde an der Straßenböschung im südlichen Bereich des Geltungsbereiches nachgewiesen.

Die vereinzelt vorkommenden Gehölze sind im Bestandsplan kartiert.

Die Flächen haben eine mittlere Bedeutung, wobei die Nasswiese, Nassbrache und die nassen/frischen Säume eine hohe Bedeutung haben.

Insgesamt wurden 14 Vogelarten nachgewiesen, wovon lediglich 2 Arten (Sumpfrohrsänger und Rotkehlchen) im Gebiet brüten. 4 Arten traten als Nahrungsgäste auf.

Der Neuntöter brütete in einem Abstand von etwa 33 m.

Die nachgewiesenen Brutvögel sind ungefährdet und in einem günstigen Erhaltungszustand. Für die Vögel hat der Standort nur eine geringe Bedeutung. insgesamt wurde der Untersuchungsraum als stark verarmt an Avifauna bewertet.

Es konnten keine Reptilien und nur vier Schmetterlingsarten, nachgewiesen werden.

Insgesamt wird vom Gutachterteam der Geltungsbereich als strukturarme Kulturlandschaft bezeichnet. Charakterisierende Nässe- und Magerkeitszeiger sind im nassen Grünland noch vorhanden. Die Mädesüßflur zählt zu den gemäß § 30 BNatSchG geschützten Biotopen.

Im erstellten artenschutzrechtlichen Fachbeitrag wird zusammenfassend dargestellt, dass gegen keines der Verbote des § 44 Abs. 1 BNatSchG verstoßen wird, wenn eine Bauzeitenregelung für die betroffenen Arten Rotkehlchen und Sumpfrohrsänger vorgesehen werden.

Es sind keine Auswirkungen auf das FFH- und Vogelschutzgebiet zu erwarten, da keine Erhaltungsziele direkt oder indirekt durch die Maßnahme betroffen sind.

Der Baugrund wurde bereits gutachterlich untersucht:

Der Oberboden, 0,2 m bis 0,35 m mächtig, wird als sandiger Schluff beschrieben. Darunter wurde bis in Tiefen zwischen 2 m und 6,2 m, gerechnet ab Geländeoberkante, bindige Auensedimente angetroffen. Die bindigen Auenlehme in die Bodengruppe der leicht- bis mittelplastischen Tone und Schluffe einzustufen, welche sehr wasserempfindlich sind.

Darunter steht zersetzter Tonschiefer an.

Grundwasser wurde erbohrt. Es handelte sich meist um gespanntes Grundwasser, so dass der Wasserstand nach Erdbohrung anstieg, teilweise um 60 cm, bis auf 1,4 m unter der Geländeoberkante.

Die Stau- und Schichtwasserbildung ist stark von den Niederschlägen abhängig und kann daher noch näher an der Geländeoberkante liegen.

Der anstehende Boden gilt als schwach bis sehr schwach durchlässig.

Im Beteiligungsverfahren der Behörden gemäß § 4 BauGB sind von den Behörden und sonstigen Trägern öffentlicher Belange folgende wesentlichen umweltbezogenen Anregungenvorgebracht worden:

1.

Der Geltungsbereich liegt gemäß Regionalplan im Vorbehaltsgebiet für die Landwirtschaft und wird größtenteils überlagert durch ein Vorbehaltsgebiet für Natur und Landschaft. Östlich liegt das Vogelschutzgebiet „Hauberge bei Haiger" und westlich grenzt das FFH-Gebiet „Extensivgrünland bei Mandeln" an. Eine Alternativenprüfung ist erforderlich.

2.

Im Norden grenzt das Gewässer Nonnbach an. Der Gewässerrandstreifen ist von jeglicher Bebauung freizuhalten.

3.

Der Eingriff ist zu minimieren, dies betrifft auch den Eingriff in den Boden. Zum Schutz des Bodens ist eine bodenkundliche Baubegleitung einzusetzen.

4.

Die floristische Dachbegrünung und Fassadenbegrünung sollte vorgesehen werden.

5.

Verkehrsflächen sollten, um der Aufheizung durch Sonneneinstrahlung entgegenzuwirken, in möglichst heller Farbe gestaltet werden.

Zu 1.:

Alle Flächen, die an die bebaute Ortslage angrenzen, sind im Regionalplan als Vorranggebiet bzw. als Vorbehaltsgebiet für die Landwirtschaft dargestellt. Dies gilt auch für das Vorbehaltsgebiet für Natur und Landschaft.

Wegen der Nähe zu den beiden Schutzgebieten wurden eine Vorprüfung für das FFH-Gebiet und eine Vorprüfung für das Vogelschutzgebiet erstellt.

Es sind keine Auswirkungen auf die Schutzgebiete zu erwarten, siehe Umweltbericht bzw. FFH-Vorprüfung.

Die gewählte Fläche ist gut und schnell erreichbar und grenzt an den Ortsrand an. Für die gewählte Fläche wurde eine intensive Untersuchung der Flora und Fauna vorgenommen.

Wertvolles Dauergrünland ist von der Planung nur noch sehr kleinflächig betroffen.

Die Gemeinde hat aber auch andere Standorte untersucht. Oberste Priorität hatte, wegen der geplanten Nutzung als Feuerwehrstandort, die gute verkehrliche Erreichbarkeit. Die möglichen Standorte liegen alle außerhalb der bebauten Ortslage, da innerhalb der Ortslage keine geeigneten Grundstücke in der erforderlichen Größe für das Gebäude und die Stellplätze zur Verfügung stehen. Hierbei wurde unter anderem auch geprüft, ob die innerörtlichen Straßen, die befahren werden müssten, ausreichend breit für Feuerwehrfahrzeuge sind.

Auch die Fläche, die nördlich der Sporthalle am Hammerweiher liegt, wurde in die Prüfung einbezogen. Die Entfernung zu Mandeln und auch die schlechte verkehrliche Erschließung sprachen gegen diesen Standort. Für die verkehrliche Erschließung hätte die Zufahrt zur Sporthalle mitbenutzt werden müssen. Dies hätte zu zu großen Restriktionen für den Sporthallenbetrieb geführt.

Zu 2.:

Der Geltungsbereich wurde erheblich verkleinert. Der Gewässerrandstreifen liegt außerhalb des Geltungsbereiches.

Zu 3.:

Der Geltungsbereich wurde erheblich verkleinert. Eine Eingriffs- und Ausgleichsbilanzierung wurde erstellt.

In die textlichen Festsetzungen wurde aufgenommen, dass bei den Baumaßnahmen eine bodenkundliche Baubegleitung einzusetzen ist.

Zu 4.:

Die Dächer sollen mit Modulen der Photovoltaik bestückt werden. Eine zusätzliche Dachbegrünung erhöht unverhältnismäßig stark die Baukosten und wird daher nicht vorgesehen. Hierbei ist auch zu beachten, dass eine 1 m2 große Fläche auf dem Dach eine wesentlich geringere ökologische Wertigkeit im Vergleich zu einer Fläche auf dem gewachsenen Boden hat.

Der weitere Vorteil der Dachbegrünung ist in der Rückhaltung des Niederschlagswassers zu sehen. Das Niederschlagswasser soll in den Nonnbach eingeleitet werden. Es wird die Drosselung des Niederschlagswassers vorgesehen.

Eine Fassadenbegrünung schränkt die Nutzbarkeit der Flächen erheblich ein, da zu den begrünten Fassaden ein Abstand einzuhalten wäre. Der Flächenbedarf würde sich vergrößern. Dies wird daher ebenfalls nicht vorgesehen.

Zu 5.:

Die Haltbarkeit und die Wirkungen von hellem Asphalt sind noch nicht ausreichend untersucht.

Es gibt allerdings bereits einige Temperaturmessungen von hellem Asphalt: Der helle Asphalt ist kühler als dunkler Asphalt. Dies war zu erwarten. Allerdings ist bei hellem Asphalt die umgebende Luft wärmer als bei dunklem Asphalt. Dies war nicht zu erwarten. Eine entsprechende Festsetzung wird daher nicht aufgenommen.

Es wird darauf hingewiesen, dass ein Planungsbüro mit der Durchführung des Verfahrens beauftragt wurde.