Titel Logo
Dipperzer Nachrichten
Ausgabe 23/2024
Amtliche Bekanntmachungen
Zurück zur vorigen Seite
Zurück zur ersten Seite der aktuellen Ausgabe

Bauleitplanung der Gemeinde Dipperz

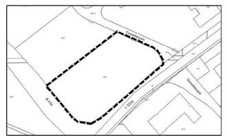
Geltungsbereich der Bebauungsplanänderung

6. Änderung des Bebauungsplanes Nr. 13 „Gewerbegebiet Nr. 2 Wisselsroder Straße“, Ortsteil Dipperz

Die Gemeindevertretung der Gemeinde Dipperz hat in ihrer Sitzung am 12.12.2023 die 6. Änderung des Bebauungsplanes Nr. 13 „Gewerbegebiet Nr. 2 Wisselsroder Straße“ mit Begründung gemäß § 10 BauGB als Satzung beschlossen.

Mit dieser Bekanntmachung tritt die 6. Änderung des Bebauungsplanes Nr. 13 „Gewerbegebiet Nr. 2 Wisselsroder Straße“ in Kraft.

Die 6. Änderung des Bebauungsplanes Nr. 13 „Gewerbegebiet Nr. 2 WisselsroderStraße“ mit der Begründung wird zu jedermanns Einsicht während der üblichen Öffnungszeiten in der Gemeindeverwaltung Dipperz – Allgemeine Verwaltung (Zimmer des Bürgermeisters) -, Am Dorfbrunnen 2 in 36160 Dipperz, bereitgehalten. Über den Inhalt wird auf Verlangen Auskunft gegeben. Die Bebauungsplanänderung kann auch unter www.dipperz.de/Bauen & Wohnen eingesehen werden.

Öffnungszeiten der Gemeindeverwaltung:

montags

09:00 – 12:00 Uhr und 14:00 – 19:00 Uhr

dienstags bis freitags

09:00 bis 12:00 Uhr

Der Zentralausschuss der Regionalversammlung Nordhessen hat in seiner Sitzung am 24.05.2024 die Zulassung einer Abweichung vom Regionalplan Nordhessen 2009 (RPN) beschlossen.

Auf folgende Paragraphen des Baugesetzbuches, in der Neufassung der

Bekanntmachung vom 03.11.2017 (BGBI. I S. 3634), zuletzt geändert durch Artikel 6 des Gesetzes vom 27.03.2020 (BGBI. I S. 587), wird ausdrücklich hingewiesen:

§ 44 Abs. 3 Satz 1 und 2: Der Entschädigungsberechtigte kann Entschädigung verlangen, wenn die in den §§ 39 bis 42 bezeichneten Vermögensnachteile eingetreten sind. Er kann die Fälligkeit des Anspruchs dadurch herbeiführen, dass er die Leistung der Entschädigung schriftlich bei dem Entschädigungspflichtigen beantragt.

§ 44 Abs. 4: Ein Entschädigungsanspruch erlischt, wenn nicht innerhalb von drei Jahren nach Ablauf des Kalenderjahres, in dem die in Absatz 3 Satz 1 bezeichneten Vermögensnachteile eingetreten sind, die Fälligkeit des Anspruchs herbeigeführt wird.

§ 215 Abs. 1: Unbeachtlich werden: 1. eine nach § 214 Abs. 1 Satz 1 Nr. 1 bis 3 beachtliche Verletzung der dort bezeichneten Verfahrens- und Formvorschriften, 2. eine unter Berücksichtigung des § 214 Abs. 2 beachtliche Verletzung der Vorschriften über das Verhältnis des Bebauungsplans und des Flächennutzungsplans und 3. nach § 214 Abs. 3 Satz 2 beachtliche Mängel des Abwägungsvorgangs, wenn sie nicht innerhalb eines Jahres seit Bekanntmachung des Flächennutzungsplans oder der Satzung schriftlich gegenüber der Gemeinde unter Darlegung des die Verletzung begründenden Sachverhalts geltend gemacht worden sind. Satz 1 gilt entsprechend, wenn Fehler nach § 214 Abs. 2 a beachtlich sind.

Dipperz, 29. Mai 2024

Der Gemeindevorstand der Gemeinde Dipperz
Klaus-Dieter Vogler
Bürgermeister