Titel Logo
Dipperzer Nachrichten
Ausgabe 33/2023
Amtliche Bekanntmachungen
Zurück zur vorigen Seite
Zurück zur ersten Seite der aktuellen Ausgabe

Bauleitplanung der Gemeinde Dipperz

5. Änderung des Bebauungsplanes Nr. 13, Ortsteil Dipperz, "Gewerbegebiet Nr. 2 Wisselsroder Straße"

Bekanntgabe des Aufstellungsbeschlusses gem. § 2(1) BauGB und der öffentlichen Auslegung gem. § 3(2) BauGB

Die Gemeindevertretung der Gemeinde Dipperz hat am 13.07.2023 beschlossen, die 5. Änderung des Bebauungsplans Nr. 13 „Gewerbegebiet Nr. 2 Wisselsroder Straße“ aufzustellen.

Die Anpassung der Bauleitplanung an den Gebäudebestand ist zur planungsrechtlichen Sicherung erforderlich. Die Planung erfolgt als Bebauungsplan-Änderung im vereinfachten Verfahren gemäß § 13 BauGB. Eine Umweltprüfung erfolgt nicht.

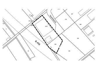
Lage und Geltungsbereich der Bebauungsplan-Änderung entsprechen den Flurstücken 26/15 (teilweise) und 29/3, Flur 16 im Gewerbegebiet, Gewerbepark, Gemarkung Dipperz.

Die Lage des Geltungsbereichs ist aus nachfolgender Planabbildung ersichtlich:

Die öffentliche Auslegung gemäß § 3 Abs. 2 BauGB zu dieser Bebauungsplanänderung findet statt in der Zeit vom

17. August 2023 bis einschl. 18.September 2023.

Während dieser Zeit kann die Planung in der Gemeindeverwaltung Dipperz, Am Dorfbrunnen 2, 36160 Dipperz (im Zimmer des Bürgermeisters) zu folgenden Zeiten eingesehen werden:

Montag

09.00 Uhr bis 12.00 Uhr

14.00 Uhr bis 19.00 Uhr

Dienstag - Freitag

09.00 Uhr bis 12.00 Uhr.

Die Planungsunterlagen können auf der Internetseite der Gemeinde Dipperz unter folgender Adresse eingesehen und heruntergeladen werden: www.dipperz.de/Bauen und Wohnen. Auf die entsprechende Seite wird auch im Bauleitplanungsportal des Landes Hessen unter https://bauleitplanung.hessen.de/bebauungsplan/gemeinden-von-a-bis-z, hingewiesen.

Stellungnahmen sollen innerhalb der Auslegungsfrist elektronisch, bei Bedarf auch schriftlich oder zur Niederschrift beim Gemeindevorstand der Gemeinde Dipperz, Am Dorfbrunnen 2, 36160 Dipperz, oder auch per Email (bauamt@dipperz.de) vorgebracht werden.

Nicht innerhalb der Auslegungsfrist abgegebene Stellungnahmen können bei der Beschlussfassung über die Bebauungsplanänderung unberücksichtigt bleiben, sofern die Gemeinde Dipperz deren Inhalt nicht kannte und nicht hätte kennen müssen und deren Inhalt für die Rechtmäßigkeit des Bauleitplans nicht von Bedeutung ist (§ 4 a Abs. 6 BauGB).

Mit der Durchführung des Bauleitplanverfahrens wurde ein Planungsbüro beauftragt. (§ 4 b BauGB).

Dipperz, 10.08.2023

Der Gemeindevorstand der Gemeinde Dipperz
Klaus-Dieter Vogler, Bürgermeister