Titel Logo
Dipperzer Nachrichten
Ausgabe 41/2023
Amtliche Bekanntmachungen
Zurück zur vorigen Seite
Zurück zur ersten Seite der aktuellen Ausgabe

Bauleitplanung der Gemeinde Dipperz

6. Änderung des Bebauungsplans Nr. 13, Ortsteil Dipperz, „Gewerbegebiet Nr. 2 Wisselsroder Straße“
Bekanntgabe der Öffentlichen Auslegung gem. § 4(1) BauGB

Die Gemeindevertretung der Gemeinde Dipperz hat am 13.07.2023 beschlossen, die 6. Änderung des Bebauungsplans Nr. 13 „Gewerbegebiet Nr. 2 Wisselsroder Straße“ aufzustellen.

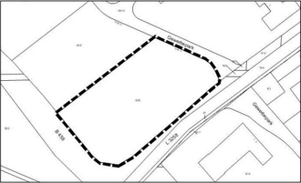
Die Bauleitplanung wird an einen im Gewerbegebiet projektierten Lebensmitteleinzelhandel angepasst. Lage und Geltungsbereich der Bebauungsplan-Änderung entsprechen dem Flurstück 55/6, Flur 1 im Gewerbegebiet an der Wisselsroder Straße, Gemarkung Dipperz. Die Lage des Geltungsbereichs ist aus nachfolgender Planabbildung ersichtlich:

Nach bereits erfolgter frühzeitiger Beteiligung liegt der Entwurf der Bebauungsplanänderung mit weiteren Unterlagen aus in der Zeit vom

16. Oktober 2023 bis einschließlich 17. November 2023

Während dieser Zeit kann die Planung in der Gemeindeverwaltung Dipperz, Am Dorfbrunnen 2, 36160 Dipperz (im Zimmer des Bürgermeisters) zu folgenden Zeiten eingesehen werden:

Montag

09.00 Uhr bis 12.00 Uhr

14.00 Uhr bis 19.00 Uhr

Dienstag – Freitag

09.00 Uhr bis 12.00 Uhr.

Die Planungsunterlagen können auf der Internetseite der Gemeinde Dipperz unter folgender Adresse eingesehen und heruntergeladen werden: www.dipperz.de/Bauen und Wohnen. Auf die entsprechende Seite wird auch im Bauleitplanungsportal des Landes Hessen unter https://bauleitplanung.hessen.de/bebauungsplan/gemeinden-von-a-bis-z, hingewiesen.

Stellungnahmen sollen innerhalb der Auslegungsfrist elektronisch, bei Bedarf auch schriftlich oder zur Niederschrift beim Gemeindevorstand der Gemeinde Dipperz, Am Dorfbrunnen 2, 36160 Dipperz, oder auch per Email (bauamt@dipperz.de) vorgebracht werden.

Für den Bebauungsplan wurde eine Umweltprüfung gemäß § 2 Abs. 4 BauGB durchgeführt. Auf der Grundlage früherer Planungen der Gemeinde Dipperz, der vollzogenen Beteiligung der Öffentlichkeit nach § 3 Abs. 1 BauGB und der Beteiligung der Behörden sowie der sonstigen Träger öffentlicher Belange nach § 4 Abs. 1 BauGB liegen folgende, nach Einschätzung der Gemeinde wesentlichen umweltbezogenen Unterlagen zur Einsichtnahme vor:

1. Gemeindliche und übergeordnete Planungen:
  • Aktuell gültiger Flächennutzungsplan der Gemeinde Dipperz, Bebauungsplan Nr. 13, Ortsteil Dipperz, „Gewerbegebiet Nr. 2 Wisselsroder Straße“ mit Begründung / Umweltbericht
  • Regionalplan Nordhessen 2009
  • Landschaftsrahmenplan Nordhessen 2000
2. Umweltbericht im Vorentwurf zur 6. Änderung des Bebauungsplans Nr. 13, Ortsteil Dipperz, „Gewerbegebiet Nr. 2 Wisselsroder Straße“ mit Beschreibung von:
  • Inhalte und Ziele der Planung
  • Umweltbelange und –schutzziele, Berücksichtigung bei der Aufstellung
  • Standortbeschreibung mit vorsorgendem Bodenschutz, Bewertung der Bodenfunktionen im Sinne des Bundesbodenschutzgesetzes sowie des Grundwassers
  • Informationen zu folgenden Themen:
    Schutzgüter Arten und Biotope, Geologie, Böden, Wasser, Klima, Landschafts-/Ortsbild, Kulturgüter und sonstige Sachgüter, Mensch und menschliche Gesundheit, Erholung, Wechselwirkungen mit keinen Auswirkungen auf das jeweilige Schutzgut.
    Umweltzustand bei Nichtdurchführung (Gewerbegebiet), keine Vermeidungs-, Verringerungs-und Ausgleichsmaßnahmen oder Planungsalternativen
3. Stellungnahmen aus der frühzeitigen Behörden-Beteiligung nach § 4 (1) BauGB:
  • Regierungspräsidium Kassel, Dezernat Grundwasserschutz u. Wasserversorgung: Aussagen bzw. Hinweise u.a. zur Lage außerhalb von Trinkwasserschutzgebieten, zu Altlasten und Bodenschutz (keine Einschränkungen).

Nicht innerhalb der Auslegungsfrist abgegebene Stellungnahmen können bei der Beschlussfassung über die Bebauungsplanänderung unberücksichtigt bleiben, sofern die Gemeinde Dipperz deren Inhalt nicht kannte und nicht hätte kennen müssen und deren Inhalt für die Rechtmäßigkeit des Bauleitplans nicht von Bedeutung ist (§ 4 a Abs. 6 BauGB).

Es wird darauf hingewiesen, dass Dritte (Privatpersonen) mit der Abgabe einer Stellungnahme der Verarbeitung ihrer angegebenen Daten, wie z.B. Name, Anschrift, Telefonnummer, E-Mail-Adresse etc. zustimmen. Gemäß Artikel 6 Abs. 1c und 1e der Datenschutz-Grundverordnung (DSGVO) werden die Daten im Rahmen des Bauleitplanverfahrens für die gesetzlich bestimmten Dokumentationspflichten und für die Informationspflicht ihnen gegenüber genutzt.

Mit der Durchführung von Verfahrenschritten wurde ein Planungsbüro beauftragt. (§ 4 b BauGB).

Dipperz, 05.10.2023

Der Gemeindevorstand der Gemeinde Dipperz
Klaus-Dieter Vogler, Bürgermeister