Titel Logo
Amtsblatt Beckingen
Ausgabe 23/2025
Bekanntmachungen Bauverwaltung / Bauhof
Zurück zur vorigen Seite
Zurück zur ersten Seite der aktuellen Ausgabe

Bekanntmachung der frühzeitigen Öffentlichkeits-beteiligung gem. § 3 Abs. 1 BauGB

Gemäß § 2 Abs. 1 Baugesetzbuch (BauGB) wird hiermit öffentlich bekannt gemacht, dass der Gemeinderat der Gemeinde Beckingen in seiner Sitzung am 26.03.2025 die Einleitung des Verfahrens zur Aufstellung des Bebauungsplanes „Auf den Haferstückern“ beschlossen hat. In der gleichen Sitzung wurde auch die Einleitung des Verfahrens zur parallelen Teiländerung des Flächennutzungsplanes beschlossen.

Ziel des Bebauungsplanes und der parallelen Teiländerung des Flächennutzungsplanes

Hauptziel ist die Nutzbarmachung des Geländes als Therapie- und Gesundheitshof für Tierheilkunde. Die Grundstückseigentümerin arbeitet als freiberufliche Tierheilpraktikerin für Klein- und Großtiere mit dem Schwerpunkt Pferdeheilkunde und vertreibt auch Tierfutter und Tierbedarf. Im Human-Bereich soll eine tiergestützte Therapie in Zusammenarbeit mit Ärzten und Therapeuten angeboten werden.

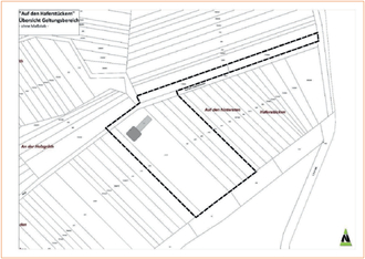
Das ca. 3,1 ha große Plangebiet befindet sich südlich der Ortslage des Gemeindeteils Düppenweiler, westlich der L346, im Bereich der Straße „Auf den Haferstückern“.

Der Geltungsbereich des Bebauungsplanes erstreckt sich über die Parzellen 405, 406, 407, 408, 411/1, 414, 775/259 und 776/259 sowie Teile der Parzelle 384/1 in Flur 8 der Gemarkung Düppenweiler.

Die in der Örtlichkeit wahrnehmbaren Grenzen des Geltungsbereiches des Bebauungsplanes „Auf den Haferstückern“ lassen sich wie folgt beschreiben:

-

Im Norden, Osten und Westen: durch landwirtschaftlich genutzte Flächen

-

Im Süden: durch die Ufergehölze des Bierbaches

Die genaue Abgrenzung des Geltungsbereiches ist der Planzeichnung zum Bebauungsplan und der folgenden Abbildung zu entnehmen. Der Geltungsbereich der FNP-Teiländerung ist mit dem Geltungsbereich des Bebauungsplanes identisch.

Gemäß § 3 Abs. 1 Baugesetzbuch (BauGB) ist die Öffentlichkeit möglichst frühzeitig über die allgemeinen Ziele und Zwecke der Planung öffentlich zu unterrichten. Dabei sind sich wesentlich unterscheidende Lösungen, die für die Neugestaltung oder Entwicklung eines Gebietes in Betracht kommen, und die voraussichtlichen Auswirkungen der Planung darzulegen. Der Öffentlichkeit ist Gelegenheit zur Äußerung und Erörterung zu geben.

Das Ergebnis der frühzeitigen Beteiligung der Öffentlichkeit ist im weiteren Planaufstellungsverfahren zu beachten bzw. von den Beschlussgremien gewissenhaft abzuwägen.

Hiermit macht die Gemeinde Beckingen bekannt, dass im Rahmen der frühzeitigen Beteiligung der Öffentlichkeit gem. § 3 Abs. 1 BauGB der Bebauungsplan vom 05.06.2025 bis zum 04.07.2025 im Rathaus der Gemeinde Beckingen, Zimmer 1:07 zu den untenstehenden Sprechzeiten öffentlich ausliegt.

Es ist davon auszugehen, dass der Zeitraum der Auslegung der Komplexität der Planungsaufgabe angemessen ist.

Sprechzeiten der Gemeinde Beckingen:

vormittags:

montags – donnerstags 08:30 Uhr – 12:00 Uhr,

freitags 08:00 Uhr – 12:30 Uhr

nachmittags:

montags und donnerstags 13:30 Uhr – 15:15 Uhr

dienstags 13:30 Uhr – 18:00 Uhr

Folgende Unterlagen / umweltbezogene Informationen werden ausgelegt:

-

Diese öffentliche Bekanntmachung nach § 3 Abs. 1 BauGB

-

Planzeichnung des Bebauungsplanes (Teil A) mit textlichen Festsetzungen (Teil B)

-

Planzeichnung der Flächennutzungsplanteiländerung mit Legende

-

Gemeinsame Begründung und Umweltbericht zu Bebauungsplan und Flächennutzungsplanteiländerung (Kurzfassung für Scoping-Verfahren)

-

Biotoptypenplan

In o. g. Zeitraum besteht die Möglichkeit zur Teilnahme am elektronischen Beteiligungsverfahren.

Unter den Internetadressen https://argusconcept.planungsbeteiligung.de und https://www.beckingen.de/rathaus/bauen-und-umwelt/ kann jedermann Einsicht in die vollständigen Unterlagen zum Verfahren nehmen. Dieser Dienst steht nur während der Beteiligungsfristen bis einschließlich zum 04.07.2025 zur Verfügung.

Während der Auslegungsfrist können von jedermann Stellungnahmen schriftlich, zur Niederschrift oder elektronisch per Mail an die E-Mail-Adresse: planverfahren@beckingen.de vorgebracht werden. Über die Beteiligungsplattform des Planungsbüros können zudem Stellungnahmen direkt beim Planungsbüro eingereicht werden. Nicht fristgerecht vorgebrachte Stellungnahmen können bei der Beschlussfassung über den Bebauungsplan unberücksichtigt bleiben.

Für die FNP-Teiländerung gilt:

Eine Vereinigung im Sinne des § 4 Absatz 3 Satz 1 Nummer 2 des Umwelt-Rechtsbehelfsgesetzes ist in einem Rechtsbehelfsverfahren nach § 7 Absatz 2 des Umwelt-Rechtsbehelfsgesetzes gemäß § 7 Absatz 3 Satz 1 des Umwelt-Rechtsbehelfsgesetzes mit allen Einwendungen ausgeschlossen, die sie im Rahmen der Veröffentlichungsfrist nicht oder nicht rechtzeitig geltend gemacht hat, aber hätte geltend machen können.

Hinweis zum Datenschutz

Die Verarbeitung personenbezogener Daten erfolgt auf Grundlage des § 3 BauGB in Verbindung mit Art. 6 Abs. 1 Buchst. e DSGVO und dem Saarländischen Datenschutzgesetz. Sofern Sie ihre Stellungnahme ohne Absenderangaben abgeben, erhalten Sie keine Mitteilung über das Ergebnis der Prüfung. Weitere Informationen entnehmen Sie bitte dem Formblatt: Informationspflichten bei der Erhebung von Daten im Rahmen der Öffentlichkeitsbeteiligung nach BauGB (Art. 13 DSGVO), welches mit ausliegt.

Im Zusammenhang mit dem Datenschutz weist die Gemeinde Beckingen ausdrücklich darauf hin, dass ein Bauleitplanverfahren ein öffentliches Verfahren ist und daher in der Regel alle dazu eingehenden Stellungnahmen in öffentlichen Sitzungen beraten und entschieden werden. Soll eine Stellungnahme nur anonym behandelt werden, ist dies auf derselben eindeutig zu vermerken.

Beckingen, den 04.06.2025
Thomas Collmann, Bürgermeister