Titel Logo
Verbandsgemeinde-Kurier Bellheim
Ausgabe 11/2025
Amtsblatt der Verbandsgemeinde Bellheim
Zurück zur vorigen Seite
Zurück zur ersten Seite der aktuellen Ausgabe

Bekanntmachung

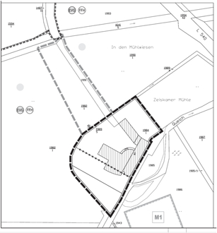
Lage des Plangebiets

Geltungsbereich des Bebauungsplans (nicht maßstäblich; Änderungsbereich: schwarze Umgrenzungslinie)

Aufstellung des Bebauungsplans „Zeiskamer Mühle, 1. Änderung“ mit örtlichen Bauvorschriften der Ortsgemeinde Zeiskam

Inkrafttreten gemäß § 10 Abs. 3 Baugesetzbuch (BauGB) in Verbindung mit § 88 Abs. 6 Landesbauordnung (LBauO)

Hiermit wird bekannt gemacht, dass der Gemeinderat am 11.12.2024 gemäß § 10 Abs. 1 BauGB den Bebauungsplan „Zeiskamer Mühle, 1. Änderung“ mit örtlichen Bauvorschriften gemäß § 88 Abs. 6 LBauO als Satzung beschlossen hat.

Der räumliche Geltungsbereich und die Lage sind aus den beigefügten Plandarstellungen ersichtlich.

Der genaue Verlauf der Plangebietsumgrenzung sowie die einbezogenen Flurstücke ergeben sich abschließend aus der Planzeichnung gemäß § 9 Abs. 7 BauGB.

Der Bebauungsplan bestehend aus Planurkunde mit zeichnerischen und textlichen Festsetzungen sowie die Begründung mit Umweltbericht stehen gemäß § 10 Abs. 3 BauGB bei der Verbandsgemeindeverwaltung Bellheim, Bauabteilung, während der Dienstzeiten zur Einsichtnahme zur Verfügung. Über den Inhalt des Bebauungsplans wird auf Verlangen Auskunft gegeben.

Mit dieser Bekanntmachung treten der Bebauungsplan sowie die örtlichen Bauvorschriften in Kraft.

Hinweise:

Über die Behandlung der im Rahmen der Verfahren nach § 3 Abs. 2 BauGB vorgebrachten Stellungnahmen hat der Gemeinderat vor Fassung des Satzungsbeschlusses entschieden. Das Ergebnis wird mitgeteilt.

Hinweis nach § 215 Abs. 2 BauGB

Gemäß § 215 BauGB ist bezüglich der Geltendmachung der Verletzung von Vorschriften Folgendes zu beachten:

Unbeachtlich werden

1.

eine nach § 214 Abs. 1 Satz 1 Nr. 1 bis 3 BauGB beachtliche Verletzung der dort bezeichneten Verfahrens- und Formvorschriften,

2.

eine unter Berücksichtigung des § 214 Abs. 2 BauGB beachtliche Verletzung der Vorschriften über das Verhältnis des Bebauungsplans und des Flächennutzungsplans und

3.

nach § 214 Abs. 3 Satz 2 BauGB beachtliche Mängel des Abwägungsvorgangs,

wenn sie nicht innerhalb eines Jahres seit Bekanntmachung der Satzung schriftlich gegenüber der Gemeinde unter Darlegung des die Verletzung begründenden Sachverhalts geltend gemacht worden sind.

Hinweis nach § 44 Abs. 5 BauGB

Auf die Vorschriften des § 44 Abs. 3 Satz 1 und 2 BauGB über die Geltendmachung etwaiger Entschädigungsansprüche nach den §§ 39 bis 43 BauGB und die Vorschriften des § 44 Abs. 4 BauGB über das Erlöschen der Entschädigungsansprüche bei nicht fristgemäßer Geltendmachung wird hingewiesen.

Hinweis nach § 24 Abs. 6 Satz 4 Gemeindeordnung (GemO)

Satzungen, die unter Verletzung von Verfahrens- oder Formvorschriften zustande gekommen sind, gelten ein Jahr nach der Bekanntmachung als von Anfang an gültig zustande gekommen. Dies gilt nicht, wenn

1.

die Bestimmungen über die Öffentlichkeit der Sitzung, die Genehmigung, die Ausfertigung oder die Bekanntmachung der Satzung verletzt worden sind, oder

2.

vor Ablauf der in Satz 1 genannten Frist die Aufsichtsbehörde den Beschluss beanstandet oder jemand die Verletzung der Verfahrens- oder Formvorschriften gegenüber der Gemeindeverwaltung unter Bezeichnung des Sachverhalts, der die Verletzung begründen soll, schriftlich geltend gemacht hat.

Hat jemand eine Verletzung nach Satz 2 Nr. 2 geltend gemacht, so kann auch nach Ablauf der in Satz 1 genannten Frist jedermann diese Verletzung geltend machen.

Geobasisinformationen der Vermessungs- und Katasterverwaltung Rheinland-Pfalz © 2025