Titel Logo
Verbandsgemeinde-Kurier Bellheim
Ausgabe 18/2024
Amtsblatt der Verbandsgemeinde Bellheim
Zurück zur vorigen Seite
Zurück zur ersten Seite der aktuellen Ausgabe

Veröffentlichung von Bauleitplänen

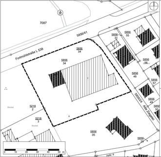
Geltungsbereich des Bebauungsplans

 Lage des Plangebiets

Aufstellung des Bebauungsplans „Fortmühlstraße 18 A“ der Ortsgemeinde Bellheim; Beteiligung der Öffentlichkeit gem. § 3 Abs. 2 Baugesetzbuch (BauGB)

a) Bekanntmachung des Aufstellungsbeschlusses

Gemäß § 2 Abs. 1 Baugesetzbuch (BauGB) wird hiermit öffentlich bekannt gemacht, dass der Gemeinderat Bellheim am 14.09.2023 die Aufstellung des Bebauungsplans „Fortmühlstraße 18 A“ nach § 13a BauGB im beschleunigten Verfahren beschlossen hat.

Durch Aufstellung des Bebauungsplans sollen die planungsrechtlichen Voraussetzungen für die Erweiterung der Verkaufsfläche des bestehenden Lebensmittelmarkts um ca. 200 m² geschaffen werden.

Der Geltungsbereich des Bebauungsplans sowie die Lage des Plangebiets sind aus den abgedruckten Abbildungen ersichtlich. Der Geltungsbereich umfasst das Flurstück Nr. 5856/34 mit einer Größe von ca. 0,45 ha.

b) Beteiligung der Öffentlichkeit nach § 3 Abs. 2 BauGB

Der Gemeinderat Bellheim hat am 21.03.2024 die Veröffentlichung des Planentwurfs beschlossen. Gemäß § 13a Abs. 2 Nr. 1 i.V.m. § 13 Abs. 2 Satz 1 Nr. 2 BauGB wird die Veröffentlichung des Planentwurfs nach § 3 Abs. 2 BauGB durchgeführt.

Hiermit wird öffentlich bekannt gemacht, dass der Entwurf des Bebauungsplans (Planzeichnung, textliche Festsetzungen, Begründung, allgemeine Vorprüfung des Einzelfalls nach dem Gesetz über die Umweltverträglichkeitsprüfung) vom 03.05. bis 03.06.2024 auf der Internetseite der Verbandsgemeinde Bellheim unter Wirtschaft Bauleitplanung Aktuelle Bauleitplanverfahren (https://www.bellheim.de/vg_bellheim/Wirtschaft/Bauleitplanung/Aktuelle%20Bauleitplanverfahren/) veröffentlicht werden. Ebenso besteht eine Verlinkung vom Geoportal des Landes Rheinland-Pfalz: www.geoportal.rlp.de. Als andere Zugangsmöglichkeit zusätzlich zur Veröffentlichung im Internet werden die Unterlagen in der Bauabteilung der Verbandsgemeindeverwaltung, Schubertstraße 18, 76756 Bellheim ausgelegt und können während der Dienstzeiten eingesehen werden.

Die Öffentlichkeit kann sich in der Bauabteilung der Verbandsgemeindeverwaltung über die allgemeinen Ziele und Zwecke sowie die wesentlichen Auswirkungen der Planung unterrichten; vorherige Terminvereinbarung wird empfohlen (Kontakt: Herr Guz, Tel. 07272/7008-401). Während der Dauer der Veröffentlichungsfrist können Stellungnahmen bei der Verbandsgemeindeverwaltung Bellheim abgegeben werden. Diese sollen elektronisch übermittelt werden an Herrn Guz: m.guz@vg-bellheim.de. Bei Bedarf können Stellungnahmen auch auf anderem Weg, z.B. schriftlich oder zur Niederschrift, abgegeben werden. Nicht fristgerecht abgegebene Stellungnahmen können bei der Beschlussfassung über den Bebauungsplan unberücksichtigt bleiben. Über die Behandlung der Stellungnahmen wird der Gemeinderat entscheiden.

Der Bebauungsplan soll im beschleunigten Verfahren ohne Durchführung einer Umweltprüfung nach § 2 Abs. 4 BauGB aufgestellt werden, da es sich um eine bestandsorientierte Planung handelt. Die in Anspruch genommenen Flächen sind bereits weitestgehend versiegelt. Gegenüber der bestehenden Situation ist mit keinen neuen oder wesentlich veränderten Auswirkungen auf die einzelnen Schutzgüter zu rechnen. Die Aufstellung des Bebauungsplans führt nicht zu erheblichen nachteiligen Umweltauswirkungen.

Geobasisinformationen der Vermessungs- und Katasterverwaltung Rheinland-Pfalz © 2024