Titel Logo
Verbandsgemeinde-Kurier Bellheim
Ausgabe 39/2024
Amtsblatt der Verbandsgemeinde Bellheim
Zurück zur vorigen Seite
Zurück zur ersten Seite der aktuellen Ausgabe

Bekanntmachung

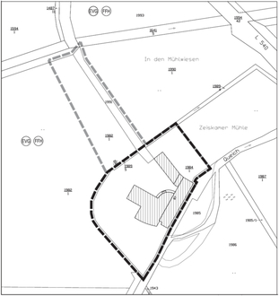
Lage des Plangebiets

Geltungsbereich des Bebauungsplans

Aufstellung des Bebauungsplans „Zeiskamer Mühle, 1. Änderung“ der Ortsgemeinde Zeiskam; Beteiligung der Öffentlichkeit gem. § 3 Abs. 2 Baugesetzbuch (BauGB)

Der Gemeinderat Zeiskam hat am 23.05.2022 die Aufstellung des Bebauungsplans „Zeiskamer Mühle, 1. Änderung und Erweiterung“ beschlossen. Der Aufstellungsbeschluss wurde am 30.06.2022 im Amtsblatt der Verbandsgemeinde Bellheim bekannt gemacht.

Nach der frühzeitigen Beteiligung der Öffentlichkeit sowie der Behörden und sonstigen Träger öffentlicher Belange im Juni/Juli 2022 hat der Gemeinderat am 13.05.2024 über die Behandlung der eingegangenen Stellungnahmen Beschluss gefasst (Abwägungsbeschluss) und den Bebauungsplanentwurf zur Durchführung der Beteiligung der Öffentlichkeit nach § 3 Abs. 2 BauGB sowie der Behörden und sonstigen Träger öffentlicher Belange gemäß § 4 Abs. 2 BauGB beschlossen.

Die ursprüngliche planerische Zielsetzung umfasste die Schaffung der planungsrechtlichen Voraussetzungen für eine Erweiterung des Restaurantbereichs sowie eine Umgestaltung des Parkplatzes. Die jeweiligen Festsetzungen der überbaubaren Grundstücksfläche sowie der Fläche für Stellplätze sollten entsprechend der Vorhabenplanung erweitert werden.

Im Rahmen der Konkretisierung der Erweiterungsplanungen hat sich gezeigt, dass die ursprünglich angedachte Erweiterungsoption in östlicher Richtung nicht sinnvoll umsetzbar sein wird, da der Bedarf insbesondere im Bereich der Gastronomieflächen besteht und hier nur im Westen des Gebäudekomplexes die erforderlichen Verbindungen mit den bestehenden Einrichtungen gegeben sind. Daher wird nun eine Erweiterung vorrangig in Richtung Westen angestrebt.

Das geplante Vorhaben hält zwar die Vorgaben zum Maß der baulichen Nutzung ein, kann jedoch nicht innerhalb der überbaubaren Grundstücksflächen des gültigen Bebauungsplans „Zeiskamer Mühle“ realisiert werden. Das geplante Vorhaben ist daher nur nach einer Änderung des rechtskräftigen Bebauungsplans möglich. Inhalt der Änderung ist im Wesentlichen eine Verschiebung der überbaubaren Grundstücksfläche sowie eine Erweiterung des Umfangs der zulässigen Nutzung durch Beherbergungsbetriebe und Gaststätten.

Gegenüber der Vorentwurfsfassung wurde der Bereich der Stellplätze aus dem Geltungsbereich des Bebauungsplanentwurfs herausgenommen. Die Festsetzungen zum Maß der baulichen Nutzung bleiben entgegen den ursprünglichen Überlegungen unverändert. Es erfolgt lediglich eine Anpassung der Festsetzungen zur Art der baulichen Nutzung hinsichtlich der Zahl der Hotelzimmer und der Gastronomieplätze sowie eine Verschiebung des Baufensters. Damit kann der Bebauungsplan aus den Darstellungen des Flächennutzungsplans entwickelt werden und auf die ursprünglich vorgesehene und vom Verbandsgemeinderat beschlossene Änderung des Flächennutzungsplans verzichtet werden. Die Bezeichnung des Bebauungsplans lautet daher nun „Zeiskamer Mühle, 1. Änderung“.

Hiermit wird öffentlich bekannt gemacht, dass der Entwurf des Bebauungsplans (Planzeichnung, textliche Festsetzungen, Begründung), Gutachten (spezielle artenschutzrechtliche Prüfung sowie Vorprüfung zur Verträglichkeit der Planung mit den Erhaltungszielen des Vogelschutzgebiets (VSG) und Flora-Fauna-Habitat (FFH)-Gebiets), sowie die nach Einschätzung der Gemeinde wesentlichen, bereits vorliegenden umweltbezogenen Stellungnahmen vom 27.09. bis 28.10.2024 auf der Internetseite der Verbandsgemeinde Bellheim unter Wirtschaft Bauleitplanung Aktuelle Bauleitplanverfahren (https://www.bellheim.de/vg_bellheim/Wirtschaft/Bauleitplanung/Aktuelle%20Bauleitplanverfahren/) veröffentlicht werden. Ebenso besteht eine Verlinkung vom Geoportal des Landes Rheinland-Pfalz: www.geoportal.rlp.de. Als andere Zugangsmöglichkeit zusätzlich zur Veröffentlichung im Internet werden die Unterlagen in der Bauabteilung der Verbandsgemeindeverwaltung, Schubertstraße 18, 76756 Bellheim ausgelegt und können während der Dienstzeiten eingesehen werden.

Während der Dauer der Veröffentlichungsfrist können Stellungnahmen bei der Verbandsgemeindeverwaltung Bellheim abgegeben werden. Diese sollen elektronisch übermittelt werden an Herrn Guz: m.guz@vg-bellheim.de. Bei Bedarf können Stellungnahmen auch auf anderem Weg, z.B. schriftlich oder zur Niederschrift, abgegeben werden. Nicht fristgerecht abgegebene Stellungnahmen können bei der Beschlussfassung über den Bebauungsplan unberücksichtigt bleiben. Über die Behandlung der Stellungnahmen wird der Gemeinderat entscheiden.

Umweltbezogene Informationen sind in Form des Umweltberichts (Teil der Begründung), als Fachgutachten, als Stellungnahmen der beteiligten Fachbehörden und sonstigen Träger öffentlicher Belange sowie als Stellungnahmen der Öffentlichkeit zu folgenden Themen verfügbar und werden mit veröffentlicht:

Tiere

Aussagen zur Nutzung umgebender Flächen als Weideflächen, Vorkommen und Lebensraumeignung / Fortpflanzungsstätten für Vögel, Reptilien, Säugetiere, Tagfalter, Libellen, Heuschrecken. Verlust von strukturarmen Rasenflächen mit einzelnen Sträuchern ohne besondere Bedeutung als Lebensraum.

Pflanzen

Aussagen zum Vegetationsbestand sowie zum Verlust von strukturarmen Rasenflächen mit einzelnen Sträuchern ohne besondere Bedeutung als Lebensraum.

Fläche

Bereits überwiegende bauliche Nutzung der Flächen des Plangebiets sowie der Vorprägung durch Nutzungen im Umfeld. Keine Ausweitung der Bebauung in bislang der freien Landschaft zuzurechnenden Flächen. Insofern ergeben sich keine nachteiligen Auswirkungen auf das Schutzgut Fläche.

Boden

Beschreibung der geographischen Verhältnisse, der Topographie und der bestehenden Nutzungen. Zulässige Versiegelung bislang offener Bodenflächen, die jedoch bereits gemäß dem bislang rechtskräftigen Bebauungsplan zulässig war und durch die Verschiebung der überbaubaren Grundstücksfläche räumlich geringfügig verlagert wird, dadurch bedingter Verlust natürlicher Bodenfunktionen

Wasser

Aussagen zum Grundwasser (geringer Grundwasserflurabstand) sowie zu Oberflächengewässern, insbesondere der Queich, und deren Nutzung. Unterbrechung der Grundwasserneubildung durch Versiegelung bislang offener Bodenflächen, die jedoch bereits gemäß dem bislang rechtskräftigen Bebauungsplan zulässig ist. Aussagen zu Maßnahmen des Niederschlagswassermanagements zur Reduzierung oder Vermeidung der Auswirkungen auf die Grundwasserneubildung. Keine Beeinträchtigung des Retentionsvolumens der Queich über das bereits zulässige Maß hinaus.

Luft/Klima

Hinweis zur klimatischen Vorbelastung aufgrund der Lage in der Rheinebene und den damit verbundenen Wetterlagen. Keine klimatische Ausgleichsfunktion für die Ortslage durch das Plangebiet aufgrund der Entfernung, der Größe des Plangebiets und des bestehenden Versiegelungsgrads.

Landschaft und biologische Vielfalt

Beschreibung der Landschaftsstrukturen in der Umgebung des Plangebiets insbesondere durch Gehölzbestände entlang der Gewässer. Aufgrund der guten Einbindung des Plangebiets durch die ausgeprägten Vegetationsstrukturen sowie aufgrund der geringen Größe und begrenzten Höhenentwicklung der geplanten Erweiterung sind negative Auswirkungen nicht zu erwarten.

Wirkungsgefüge zwischen den Schutzgütern

Die zu betrachtenden Umweltbelange beeinflussen sich gegenseitig in unterschiedlichem Maße. Dabei sind Wechselwirkungen zwischen den Umweltbelangen sowie Wechselwirkungen aus Verlagerungseffekten zu betrachten. Diese sind im Umweltbericht tabellarisch dargestellt.

umweltbezogene Informationen:

  • FFH- und VSG-Vorprüfung, NMW Naturschutzfachliche Maßnahmen Wagemann, Eschbach, September 2022
  • Spezielle artenschutzrechtliche Prüfung, NMW Naturschutzfachliche Maßnahmen Wagemann, Eschbach, September 2022
  • Umweltbericht (Teil der Begründung), Planungsbüro Piske, Ludwigshafen, April 2024
  • Stellungnahmen aus den frühzeitigen Beteiligungsverfahren:
  1. Stellungnahme des NABU Rheinland-Pfalz e.V., Regionalstelle Süd, Landau, vom 13.07.2022 mit Hinweisen zur Entwicklung des Bewuchses im Bereich am Parkplatz, zur erfolgten Anlage von Flachwassermulden für Amphibien, zur Feststellung bestimmter Arten, Vorschlag zur Auswahl und Bewirtschaftung der Gehölze, Hinweis zur regelmäßigen Beobachtung zum Teil seltener Arten
  2. Stellungnahme der Kreisverwaltung Germersheim, Untere Landesplanungsbehörde, vom 27.07.2022 mit Hinweisen zur Lage des Plangebiets in einem Vorranggebiet für vorbeugenden Hochwasserschutz und einem regionalen Grünzug sowie in einem FFH- als auch Vogelschutzgebiet
  3. Stellungnahme der Kreisverwaltung Germersheim, Untere Bauaufsichtsbehörde / Bauleitplanung, vom 27.07.2022 mit Hinweisen zur Erforderlichkeit der Konkretisierung der Begründung der Inanspruchnahme zusätzlicher Außenbereichsflächen, zur Ausgleichsfläche und zur Beibehaltung festgesetzter Maßnahmen des Ursprungsbebauungsplans für den Erhalt von Bepflanzungen, sowie zur Erforderlichkeit eines Umweltberichts
  4. Stellungnahme der Kreisverwaltung Germersheim, Untere Naturschutzbehörde, vom 27.07.2022 mit Hinweisen zur Lage im Vogelschutz- sowie FFH-Gebiet sowie Konflikt mit den raumordnerischen Zielen „Vorranggebiet für den vorbeugenden Hochwasserschutz“ und „Regionaler Grünzug“, zur Inanspruchnahme ökologisch und landschaftlich relevanter Bereiche sowie möglicher erheblicher Beeinträchtigungen, Einwendungen zum Wegfall von Kompensationsmaßnahmen des Ursprungsbebauungsplans
  5. Stellungnahme der Kreisverwaltung Germersheim, Untere Wasser- und Bodenschutzbehörde, vom 27.07.2022, mit Hinweisen zur Lage des Plangebiets teilweise im festgesetzten Überschwemmungsgebiet der Queich und dem Verbot der Ausweisung neuer Baugebiete in festgesetzten Überschwemmungsgebieten im Außenbereich sowie zur möglichen Zulassung von Ausnahmen. Hinweise zur Lage des Plangebiets teilweise innerhalb des 40 m Schutzstreifens der Queich sowie der Erforderlichkeit einer wasserrechtlichen Genehmigung bei Unterschreitungen. Hinweise zur Niederschlagswasserbewirtschaftung.
  6. Stellungnahme der Struktur- und Genehmigungsdirektion Süd, Regionalstelle Wasserwirtschaft, Abfallwirtschaft, Bodenschutz, Neustadt/Wstr., vom 05.08.2022 mit Hinweisen zur Beachtung einer angepassten Bauweise und Nutzung im Sinne der Reduzierung von Schadenspotenzialen aufgrund der Lage im Überflutungsgebiet, zur Abstimmung des Niederschlagswasserbewirtschaftungssystems mit der zuständigen Wasserbehörde, zum Umgang mit bisher nicht erfassten Bodenbelastungen / schädlichen Bodenveränderungen, Altstandorten / Verdachtsflächen und / oder Altablagerungen, zu Auffüllungen im Rahmen von Erschließungen

Geobasisinformationen der Vermessungs- und Katasterverwaltung Rheinland-Pfalz © 2024