Titel Logo
Eiterfelder Nachrichten
Ausgabe 22/2023
Amtliche Bekanntmachungen
Zurück zur vorigen Seite
Zurück zur ersten Seite der aktuellen Ausgabe

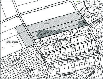
Bauleitplanung der Marktgemeinde Eiterfeld - OT Großentaft Bebauungsplan Nr. 7 „Über dem Lerchenweg / Oberufhäuser Weg“

Bekanntmachung des Aufstellungsbeschlusses gem. § 2 Abs. 1 Baugesetzbuch (BauGB):

Die Gemeindevertretung hat in ihrer Sitzung am 16.12.2022 die Aufstellung des Bebauungsplanes Nr. 7 „Über dem Lerchenweg / Oberufhäuser Weg“ beschlossen.

Mit dem Bebauungsplan soll die weitere Wohnsiedlungsentwicklung im Ortsteil Großentaft durch Festsetzung eines Allgemeinen Wohngebietes mit einer Fläche von ca. 1,9 ha planungsrechtlich abgesichert werden.

Der Geltungsbereich des Bebauungsplanes umfasst in der Gemarkung Großentaft die Flurstücke 1 und 2 der Flur 27, das Flurstück 51 (teilweise) der Flur 28 sowie die Flurstücke 17, 22, 23, 24 und 25 (jeweils teilweise) der Flur 41.

Lage und Geltungsbereich des Bebauungsplanes sind aus der untenstehenden Karte ersichtlich.

Eiterfeld, 02.06.2023

Der Gemeindevorstand
der Marktgemeinde Eiterfeld
gez. Scheich
Bürgermeister