Titel Logo
Eiterfelder Nachrichten
Ausgabe 30/2023
Amtliche Bekanntmachungen
Zurück zur vorigen Seite
Zurück zur ersten Seite der aktuellen Ausgabe
-

Bauleitplanung der Marktgemeinde Eiterfeld

Bebauungsplan Nr. 11 „Glockenbaum“ - 3. Änderung, OT Eiterfeld

Bebauungsplan der Innenentwicklung gemäß § 13a BauGB

Bekanntmachung des Aufstellungsbeschlusses gemäß § 2 Abs. 1 Baugesetzbuch (BauGB) und der Beteiligung der Öffentlichkeit gemäß § 3 Abs. 2 BauGB i.V.m. § 13a Abs. 2 Nr. 1 und § 13 Abs. 2 Satz 1 Nr. 2 Halbsatz 2 BauGB

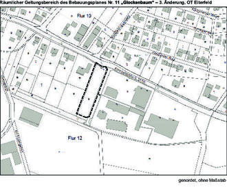
Die Gemeindevertretung der Marktgemeinde Eiterfeld hat in ihrer Sitzung am 16.12.2022 die Aufstellung des Bebauungsplanes Nr. 11 „Glockenbaum“ - 3. Änderung im beschleunigten Verfahren gemäß § 13a BauGB ohne Durchführung einer Umweltprüfung nach § 2 Abs. 4 BauGB beschlossen. Mit der 3. Änderung sollen im Bereich südlich der Bahnhofstraße (Landesstraße L 3170) auf dem Flurstück 63/3 westlich der hier angrenzenden Einzelhandelsnutzungen die bauplanungsrechtlichen Voraussetzungen für die städtebauliche Entwicklung und Bebauung einer bislang baulich nicht genutzten Fläche geschaffen werden. Der räumliche Geltungsbereich des Bebauungsplanes umfasst in der Gemarkung Eiterfeld, Flur 12, das Flurstück 63/3 teilweise und kann der nachfolgenden Übersichtskarte entnommen werden.

Der Aufstellungsbeschluss wird hiermit bekannt gemacht. Die Öffentlichkeit kann sich während der unten genannten Frist in der Gemeindeverwaltung Eiterfeld über die allgemeinen Ziele und Zwecke sowie die wesentlichen Auswirkungen der Planung unterrichten und zur Planung äußern.

Das Plangebiet befand sich zunächst im Geltungsbereich des Bebauungsplanes Nr. 11 „Glockenbaum“ von 1990, der hier bereits Mischgebiet festgesetzt hatte. Im Zuge der Aufstellung des Bebauungsplanes Nr. 19 „Sondergebiet Lebensmittel-, Textil- und Getränkemarkt“ im Bereich „Bahnhofstraße“ mit gleichzeitiger 1. Änderung des Bebauungsplanes Nr. 11 „Glockenbaum“ von 2006 erfolgte die Umwidmung des Plangebietes in ein Sondergebiet Einzelhandel. Schließlich wurden im Zuge der Aufstellung des Bebauungsplanes Nr. 21 „Nahversorgung Bahnhofstraße“ von 2008 die Flächen für Sondergebiet Einzelhandel nach Osten hin erweitert. Da nunmehr seitens des Grundstückseigentümers eine gemischte Bebauung bestehend aus einem Wohngebäude im Süden und voraussichtlich einem Bäckerei-Café als nicht störende gewerbliche Nutzung im Norden vorgesehen ist, bedarf es einer Änderung des Bebauungsplanes. Das Planziel der 3. Änderung des Bebauungsplanes ist die erneute Ausweisung eines Mischgebietes nach § 6 Baunutzungsverordnung (BauNVO) anstelle des gegenwärtig festgesetzten Sondergebietes Einzelhandel (SO 2).

Der Entwurf des Bebauungsplanes einschließlich zugehöriger Begründung mit integriertem Landschaftspflegerischen Fachbeitrag liegen in der Zeit von

Montag, dem 07.08.2023 bis

einschließlich Freitag, dem 15.09.2023

im Bauamt der Gemeindeverwaltung Eiterfeld, Fürstenecker Straße 2, 36132 Eiterfeld, Ebene 3, Zimmer 306, zu den allgemeinen Dienststunden der Verwaltung

montags bis freitags von —  08.00 bis 12.00 Uhr

sowie montags von —  13.30 bis 15.30 Uhr und

donnerstags von  — 13.30 bis 18.00 Uhr

öffentlich aus. In Ausnahmefällen sind auch andere Termine nach vorheriger Vereinbarung möglich. Während des oben genannten Zeitraums können von jedermann Stellungnahmen abgegeben werden. Außerdem stehen der Inhalt dieser Bekanntmachung sowie die ausliegenden Unterlagen während der Auslegungsfrist auch online im Internet unter der Adresse

www.eiterfeld.de/rathaus/aktuelle-bauleitplanung/index.html

zur Verfügung. Es wird darauf hingewiesen, dass nicht fristgerecht abgegebene Stellungnahmen bei der Beschlussfassung über den Bauleitplan unberücksichtigt bleiben können und dass gemäß § 4b BauGB ein Planungsbüro mit der Durchführung des Verfahrens beauftragt wurde.

Der Bebauungsplan wird im beschleunigten Verfahren ohne Umweltprüfung nach § 2 Abs. 4 BauGB aufgestellt. Auf die Erstellung eines Umweltberichtes nach § 2a BauGB, von der Angabe nach § 3 Abs. 2 Satz 2 BauGB, welche Arten umweltbezogener Informationen verfügbar sind sowie von der Erstellung einer zusammenfassenden Erklärung gemäß § 10a Abs. 1 BauGB wird abgesehen.

Eiterfeld, 28.07.2023

Der Gemeindevorstand der Marktgemeinde Eiterfeld
gez. Hermann-Josef Scheich
Bürgermeister