Titel Logo
Eiterfelder Nachrichten
Ausgabe 48/2022
Amtliche Bekanntmachungen
Zurück zur vorigen Seite
Zurück zur ersten Seite der aktuellen Ausgabe

Amtliche Bekanntmachungen

hier: Inkrafttreten des Bebauungsplanes Nr. 3 „Hinter den Gärten“ OT Leibolz, 2. Bauabschnitt

gemäß § 10 Absatz 3 Baugesetzbuch (BauGB)

Der Bebauungsplan Nr. 3 mit integriertem Landschaftsplan „Hinter den Gärten“, OT Leibolz der Marktgemeinde Eiterfeld wurde von der Gemeindevertretung am 04.05.2000 einschließlich Begründung als Satzung beschlossen. Aus der Begründung geht hervor, dass der Bebauungsplan in 2 Abschnitte in Kraft gesetzt werden soll. Der 1. Bauabschnitt wurde am 10.11.2000 entsprechend bekanntgemacht und rechtskräftig.

Im Zuge der Planung zum Neubau einer dreigruppigen Kindertagesstätte im Ortsteil Leibolz hat die Gemeindevertretung in ihrer Sitzung am 03.11.2022 beschlossen, für den 2. Bauabschnitt die Rechtskraft herbeizuführen.

Der 2. Bauabschnitt des Bebauungsplanes Nr. 3 OT Leibolz liegt einschließlich Begründung zu jedermanns Einsicht während der allgemeinen Dienststunden jeweils

Montag von

08:00 bis 12:00 Uhr und 13:30 bis 15:30 Uhr

Dienstag von

08:00 bis 12:00 Uhr

Mittwoch von

08:00 bis 12:00 Uhr

Donnerstag

von 08:00 bis 12:00 Uhr und 13:30 bis 18:00 Uhr

Freitag von

08:00 bis 12:00 Uhr

im Rathaus der Marktgemeinde Eiterfeld, Fürstenecker Straße 2, Ebene 3, Zimmer 306 bereit.

Über den Inhalt wird während der Dienststunden auf Verlangen Auskunft erteilt.

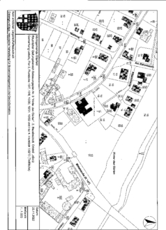
Der räumliche Geltungsbereich des Bebauungsplanes umfasst in der Gemarkung Leibolz, Flur 3, die Flurstücke 10/7, 10/8, 10/30, 10/31, 10/32 sowie eine Teilfläche der Mittelstraße in der Gemarkung Leibolz, Flur 4, Flurstück 130/13. Lage und Abgrenzung des 2. Bauabschnittes sind aus den nachfolgenden Abbildungen ersichtlich.

Auf die Fristen zur Geltendmachung der Verletzung von Verfahrens- und Formvorschriften sowie von Mängeln in der Abwägung gemäß § 215 Absatz 1 BauGB in der derzeit gültigen Fassung wird wie folgt im Besonderen hingewiesen:

Unbeachtlich werden nach § 215 BauGB

1.

eine nach § 214 Abs. 1 Satz 1 Nr. 1 bis 3 BauGB beachtliche Verletzung der dort bezeichneten Verfahrens- und Formvorschriften,

2.

eine unter Berücksichtigung des § 214 Abs. 2 BauGB beachtliche Verletzung der Vorschriften über das Verhältnis des Bebauungsplanes und des Flächennutzungsplanes und

3.

nach § 214 Abs. 3 Satz 2 BauGB beachtliche Mängel des Abwägungsvorgangs, wenn sie nicht innerhalb eines Jahres seit der Bekanntmachung der Satzung schriftlich gegenüber der Marktgemeinde Eiterfeld unter Darlegung des die Verletzung begründenden Sachverhalts geltend gemacht worden sind.

Auf die Vorschriften des § 44 Abs. 3 Satz 1 und 2 sowie Abs. 4 BauGB über die fristgemäße Geltendmachung etwaiger Entschädigungsansprüche für Eingriffe in eine bisher zulässige Nutzung durch diesen Bebauungsplan und über das Erlöschen von Entschädigungsansprüchen wird hingewiesen.

Der 2. Bauabschnitt zum Bebauungsplan Nr. 3 OT Leibolz tritt mit dieser Bekanntmachung in Kraft.

Eiterfeld, 02.12.2022

Gez. Scheich
Bürgermeister (Dienstsiegel)