Titel Logo
Wochenzeitung für die Gemeinde Eschenburg
Ausgabe 12/2025
Amtliche Bekanntmachungen
Zurück zur vorigen Seite
Zurück zur ersten Seite der aktuellen Ausgabe

Bauleitplanung der Gemeinde Eschenburg

Bebauungsplan „Rommelsberg", Ortsteil Eibelshausen

Aufstellungsbeschluss gemäß § 2 (1) Baugesetzbuch (BauGB)

Allgemeine Ziele und Zwecke

Beteiligung der Öffentlichkeit gemäß § 3 (1) BauGB

Aufstellungsbeschluss gemäß § 2 (1) BauGB

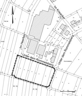
Die Gemeindevertretung hat die Aufstellung des o.g. Planes beschlossen. Die Grenzen des Geltungsbereiches sind aus nachfolgender Abbildung ersichtlich.

Die Flächen des Geltungsbereiches liegen in der Gemarkung Eibelshausen, in den Fluren 12 (Gewerbegebiet) und 13 (Erschließungsstraße) und werden wie folgt abgegrenzt:

Im Nordosten:

Straße „Unter dem Rommelsberg“

Im Südosten:

Wirtschaftsweg, dahinter Gehölzbestand

Im Südwesten:

Wirtschaftsweg, dahinter landwirtschaftliche Flächen

Im Nordwesten:

landwirtschaftliche Flächen

Allgemeine Ziele und Zwecke

Eine im Gewerbegebiet Eibelshausen bereits ansässige Firma beabsichtigt den Umzug in das Gewerbegebiet dieses Bebauungsplanes, da am heutigen Standort die verfügbaren Flächen zu klein sind.

Wegen der beengten Verhältnisse am heutigen Standort wurden bereits zusätzliche Hallen außerhalb des Grundstückes angemietet.

Am heutigen Standort der Firma ist innerhalb der genutzten Gebäude eine zweite Firma ansässig. Durch die geplante Verlagerung kann auch die 2. Firma expandieren.

Der Bebauungsplan schafft daher die planungsrechtlichen Voraussetzungen für die wirtschaftliche Weiterentwicklung für zwei Firmen und damit auch für die Gemeinde.

Der Bebauungsplan dient vor allem der städtebaulichen Ordnung im Planbereich einschließlich der Erschließung. Die Standortbedingungen werden für die Firmen verbessert und ein Abwandern der Betriebe wird verhindert.

Der Bebauungsplan weist im Wesentlichen ein Gewerbegebiet aus.

Beteiligung der Öffentlichkeit gemäß § 3 (1) BauGB

Die Unterlagen der Bauleitplanung (Planzeichnung des Bebauungsplanes, die textlichen Festsetzungen, die Begründung mit deren Anlagen „Biotoptypenkartierung, faunistisch-floristische Planungsraumanalyse, Kartierungen und artenschutzrechtlicher Fachbeitrag“) werden zur Unterrichtung über die allgemeinen Ziele und Zwecke der Planung und der voraussichtlichen Auswirkungen in der Zeit

vom 24.03.2025 bis einschl. 09.05.2025

auf der Internetseite der Gemeinde Eschenburg unter https://www.gemeinde-eschenburg.de/leben-und-wohnen/bauleitplanung veröffentlicht.

Sie können eingesehen bzw. im PDF-Format heruntergeladen werden.

Zusätzlich zur Veröffentlichung im Internet werden die Unterlagen während der Dienststunden mit Publikumsverkehr im Rathaus, Nassauer Straße 11, 35713 Eschenburg, Raum E.05, ausgelegt.

Während des oben genannten Zeitraumes hat die Öffentlichkeit auch Gelegenheit zur Äußerung und Erörterung, auch im Hinblick auf den erforderlichen Umfang und Detaillierungsgrad der Umweltprüfung nach § 2 Absatz 4 BauGB.

Die Öffentlichkeit kann sich informieren und durch Wünsche und Anregungen die Planung beeinflussen.

Die Stellungnahmen sollten elektronisch an folgende Mail-Adresse abgegeben werden: stellungnahmen@buero-zillinger.de.

Bei Bedarf können sie aber auch auf anderem Wege abgegeben werden, zum Beispiel schriftlich, adressiert an die Gemeindeverwaltung der Gemeinde Eschenburg oder zur Niederschrift.

Stellungnahmen, die nicht fristgerecht abgegeben werden, können bei der Beschlussfassung über den Bauleitplan unberücksichtigt bleiben.

Die Anregungen werden ausgewertet und in nicht-öffentlichen und öffentlichen Sitzungen beraten. Die Verarbeitung der personenbezogenen Daten erfolgt nur im Rahmen des Planungsprozesses und im Übrigen unter Beachtung der Datenschutzverordnung.

Es wird darauf hingewiesen, dass ein Planungsbüro mit der Durchführung des Verfahrens beauftragt wurde.

Eschenburg, 20.03.2025

Der Gemeindevorstand der Gemeinde Eschenburg
gez. Konrad, Bürgermeister