Titel Logo
Wochenzeitung für die Gemeinde Eschenburg
Ausgabe 42/2025
Amtliche Bekanntmachungen
Zurück zur vorigen Seite
Zurück zur ersten Seite der aktuellen Ausgabe

Bauleitplanung der Gemeinde Eschenburg

Bebauungsplan „Rommelsberg", Ortsteil Eibelshausen

Hier:

Beteiligung der Öffentlichkeit gemäß § 3 Abs. 2 BauGB

Die Beteiligung der Öffentlichkeit gemäß § 3 (1) BauGB und die Behördenbeteiligung gemäß § 4 (1) BauGB wurden vom 24.03.2025 - 09.05.2025 durchgeführt.

Die eingegangenen Stellungnahmen wurden ausgewertet und, soweit erforderlich, in die Bauleitplanung aufgenommen.

Die Unterlagen der Bauleitplanung werden nun in der Zeit

vom 20.10.2025 bis einschließlich 28.11.2025

(Dauer der Veröffentlichungsfrist)

auf der Internetseite der Gemeinde Eschenburg unter https://www.gemeinde-eschenburg.de/leben-und-wohnen/bauleitplanung veröffentlicht und stehen unter dem Internetportal des Landes Hessen unter https://bauleitplanung.hessen.de zur Verfügung.

Sie können eingesehen bzw. im PDF-Format heruntergeladen werden.

Dies gilt auch für diese Bekanntmachung.

Zusätzlich zur Veröffentlichung im Internet werden die Unterlagen während der Dienststunden mit Publikumsverkehr im Rathaus, Nassauer Straße 11, 35713 Eschenburg, Raum E.05, im oben genannten Zeitraum zu jedermanns Einsichtnahme öffentlich ausgelegt.

Die Einsicht in die Unterlagen kann auch außerhalb der Besuchszeiten nach vorheriger Terminvereinbarung erfolgen.

Folgende Unterlagen werden veröffentlicht: Planzeichnung des Bebauungsplanes, textliche Festsetzungen, Begründung mit der Anlage „Baugrunduntersuchung“, Umweltbericht mit den Anlagen Biotoptypenkartierung, faunistisch-floristische Planungsraumanalyse, Kartierungen und artenschutzrechtlichem Fachbeitrag einschl. „Tabelle zur Darstellung der Betroffenheit allgemein häufiger Vogelarten“, Bestands- und Konfliktplan sowie Bewertungsplan, Eingriffs- und Ausgleichsplan mit Bilanzierung, Fachgutachten Schutzgut Boden und die bereits vorliegenden umweltbezogenen Stellungnahmen.

Damit ausreichend Zeit zur Einsichtnahme und zur Abgabe von Anregungen besteht, wird der Bebauungsplan länger als einen Monat öffentlich ausgelegt.

Die Öffentlichkeit kann Stellungnahmen während der Dauer der Veröffentlichungsfrist abgeben.

Die Stellungnahmen sollten elektronisch an folgende Mail-Adresse abgegeben werden: stellungnahmen@buero-zillinger.de.

Bei Bedarf können sie aber auch auf anderem Wege abgegeben werden, zum Beispiel schriftlich, adressiert an die Gemeindeverwaltung Eschenburg, oder zur Niederschrift.

Stellungnahmen, die nicht fristgerecht abgegeben werden, können bei der Beschlussfassung über den Bauleitplan unberücksichtigt bleiben.

Die Stellungnahmen werden ausgewertet und in nicht-öffentlichen und öffentlichen Sitzungen beraten. Die Verarbeitung der personenbezogenen Daten erfolgt nur im Rahmen des Planungsprozesses und im Übrigen unter Beachtung der Datenschutzverordnung.

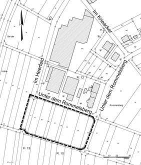
Der Bebauungsplan wird für den in nachfolgender Abbildung dargestellten Geltungsbereich aufgestellt:

Die Flächen des Geltungsbereiches liegen in der Gemarkung Eibelshausen, in den Fluren 12 (Gewerbegebiet) und 13 (Erschließungsstraße) und werden wie folgt abgegrenzt:

Im Nordosten:

Straße „Unter dem Rommelsberg“

Im Südosten:

Wirtschaftsweg, dahinter Gehölzbestand

Im Südwesten:

Wirtschaftsweg, dahinter landwirtschaftliche Flächen

Im Nordwesten:

landwirtschaftliche Flächen

Folgende umweltbezogene Informationen liegen vor:

1.

Umweltbericht zum Bebauungsplan und zur Flächennutzungsplan-Änderung

Im Umweltbericht werden die voraussichtlichen erheblichen Umweltauswirkungen beschrieben und bewertet. Der Inhalt und die wichtigsten Ziele der Bauleitplanung werden benannt sowie anderweitige Planungsmöglichkeiten geprüft.

Der Bestand wird beschrieben und bewertet sowie die Entwicklung des Umweltzustandes bei Planungsdurchführung prognostiziert. Maßnahmen zur Verminderung und Vermeidung des Eingriffes werden aufgezeigt. Hier wird auf folgende Schutzgüter eingegangen:

Boden:

Bodentypen, -eigenschaften, -funktionsbewertungen und -entwicklungsprognosen werden dargelegt.

Der Bebauungsplan betrifft überwiegend landwirtschaftlich genutzte Flächen. Die bodenfunktionale Gesamtbewertung der Böden wird als gering eingestuft.

Die Festsetzung der wasserdurchlässigen Bauweise der privaten Wege und privaten PKW-Stellplätze wirkt sich positiv auf die Bodenfunktionen aus.

Zur Reduzierung vermeidbarer Bodenbeeinträchtigungen ist bei Baumaßnahmen, bei denen in den Boden eingegriffen wird, eine bodenkundliche Baubegleitung einzusetzen.

Das Schutzgut „Boden“ wird durch die Befestigungen beeinträchtigt. Diese Beeinträchtigung wirkt sich ebenfalls nur innerhalb des Geltungsbereiches negativ aus.

Ein Fachgutachten für das Schutzgut Boden wurde erstellt und der erwartete Eingriff bilanziert.

Wasser:

Der Geltungsbereich liegt außerhalb festgesetzter Heilquellen- oder Trinkwas-serschutzgebiete. Die Schutzzone II des WSG TB Süd, Eschenburg-Eibelshausen, befindet sich nördlich in einer Entfernung von etwa 280 m. Aufgrund der Topographie und Lage sind Beeinflussungen nicht zu erwarten.

Das Plangebiet liegt außerhalb festgesetzter Überschwemmungsgebiete im Sinne des Hessischen Wassergesetzes (HWG) sowie außerhalb eines Risikoüberschwemmungsgebietes. Beeinträchtigungen zum nächstgelegenen Überschwemmungsgebiet (hier: Dietzhölze) können ausgeschlossen werden.

Das Schutzgut „Wasser“ wird durch die geplante Bebauung beeinträchtigt, da das Niederschlagswasser innerhalb der wasserundurchlässigen Flächen nicht mehr versickern kann. Diese Beeinträchtigung wirkt sich nur kleinflächig, daher innerhalb des Geltungsbereiches aus. Zur Reduzierung des Trinkwasserverbrauches ist die Brauchwassernutzung festgesetzt worden. Auch ist das Niederschlagswasser zu bewirtschaften: Das abfließende Niederschlagswassers darf durch die Bebauung nicht erhöht werden.

Klima und Luft: Die landwirtschaftlich genutzten Flächen (Acker und Grünland) stellen kaltluftproduzierende Flächen dar, die aufgrund der Topographie (von Ost nach West stark abfallender Hang) als Kaltluftentstehungs- und abflussgebiete einzustufen sind. Sie haben allerdings keine Bedeutung für Siedlungsflächen. Aufgrund der Vielzahl kaltluftproduzierender Flächen in der Umgebung ist von einer insgesamt guten Versorgung des Untersuchungsgebietes und seiner Umgebung mit Kalt- und Frischluft auszugehen.

Das Plangebiet gehört einem Vorbehaltsgebiet für besondere Klimafunktionen an. Diese Funktionen werden durch die vorgesehene Bebauung eingeschränkt. Es kann jedoch davon ausgegangen werden, dass die Auswirkungen nur gering sind.

Tiere und Pflanzen: Der Bestand der Biotop- und Nutzungstypen wird beschrieben sowie bewertet. Ein artenschutzrechtlicher Fachbeitrag wurde erstellt, siehe unten.

Biologische Vielfalt: Erhebliche Beeinträchtigungen der biologischen Vielfalt sind nicht zu erwarten.

Landschaftsbild und Erholung: Fernsichtbeziehungen bestehen, bedingt durch die Hanglage des Plangebietes, genau wie für das bestehende Gewerbegebiet. Das Gebiet hat keine Erholungs- und Freizeitfunktion.

Natura-2000-Gebiete: Das Plangebiet befindet sich im Naturpark „Lahn-Dill-Bergland“. Es liegt außerhalb von Natura 2000-Gebieten, d.h. Fauna-Flora-Habitat Gebiete (FFH-Gebiete) und Vogelschutzgebiete (VSG) sind nicht unmittelbar betroffen. Das nächstgelegene FFH-Gebiet liegt etwa 220 m südwestlich vom Plangebiet entfernt. Ein Vogelschutzgebiet befindet sich in nordwestlicher Richtung in einer Entfernung von etwa 740 m. Auswirkungen auf diese Schutzgebiete sind nicht zu erwarten.

Sonstige Schutzgebiete: Gesetzlich geschützte Biotope nach § 30 BNatSchG befinden sich nicht im Geltungsbereich bzw. in der unmittelbaren Umgebung. Ein gesetzlich geschütztes Biotop befindet sich südwestlich des Plangebietes in einer Entfernung von etwa 200 m. Auswirkungen sind nicht zu erwarten.

Mensch, Gesundheit und Bevölkerung: Wohnbebauung grenzt nicht an. Negative Auswirkungen sind nicht zu erwarten.

Kultur- und sonstige Sachgüter, kulturelles Erbe: Vorsorglich wird nachrichtlich auf die gesetzliche Regelung beim Antreffen von Bodendenkmälern und Einzelkulturdenkmälern hingewiesen.

Eine Eingriffs- und Ausgleichsplanung nach der Hessischen Kompensationsverordnung wurde vorgenommen. Das berechnete Defizit wird durch Entnahme von Ökopunkten aus einem Ökopunktekonto ausgeglichen. Hierüber wird auch der Eingriff in das Schutzgut Boden ausgeglichen.

Als Grundlage für die Ermittlung des Eingriffes und für die Berücksichtigung des Artenschutzes wurden ökologische Erhebungen vorgenommen und Gutachten erstellt.

Die Vögel wurden bei 5-maliger Begehung flächendeckend kartiert. Das Gebiet hat als Fortpflanzungs- und Ruhestätte keine Bedeutung für die Vögel. Brutvögel gibt es im Geltungsbereich nicht.

Auch wurden die Tagfalter und Widderchen sowie die Biotop- und Lebensraumtypen ermittelt.

Es konnten nur zwei ungefährdete Arten der Lebensgemeinschaft der Tagfalter und Widderchen nachgewiesen werden. Auch für diese Artengruppe hat das Gebiet daher nur eine geringe Bedeutung.

Gefährdete bzw. geschützte Pflanzen wurden nicht nachgewiesen. Nach § 30 BNatSchG geschützte Biotoptypen sind ebenfalls nicht vorhanden.

Das Grünland ist insgesamt inhomogen und gestört. Magerkeitszeiger sind zwar vorhanden, die Einstufung als geschützter Lebensraum wäre aber nicht korrekt.

Damit es zu keinen Tötungen zur Brut- und Setzzeit von Amsel und Rotkehlchen kommt, wurde eine Bauzeitenregelung festgesetzt.

Weitere umweltbezogene Informationen liegen aus der Beteiligung der Behörden vor:

  1. Der Geltungsbereich liegt im Vorbehaltsgebiet für besondere Klimafunktionen, siehe Regionalplan Mittelhessen 2010.

  2. Wenn eine Grundwasserhaltung erforderlich wird oder durch die Tiefbauarbeiten ein Aufstauen, Absenken und/oder Umleiten des Grundwassers bewirkt wird, ist eine wasserrechtliche Erlaubnis durch die zuständige Wasserbehörde erforderlich. Dies gilt auch für Tiefeneingriffe.

  3. Die Arbeitshilfe zur Berücksichtigung von wasserwirtschaftlichen Belangen ist bei zukünftigen Planungen allumfassend anzuwenden. Es ist der Bedarf zu ermitteln, sowie Nachweise für Wassersparen und für die ausreichende Deckung usw. aufzuzeigen.

  4. Eventuelle Starkregen sind planerisch zu berücksichtigen.

  5. Die Entwässerung sollte im Trennsystem vorgenommen werden. Wenn die Entwässerung im Mischsystem erfolgen soll, ist dies zu begründen.

  6. Die Einleitung von Misch- oder Niederschlagswasser in ein Gewässer bedarf einer wasserrechtlichen Erlaubnis.

  7. Das anfallende Niederschlagswasser ist bevorzugt zu versickern bzw. zu verwerten.

  8. Wenn schädliche Bodenveränderungen oder Altlasten bei den Bauarbeiten wahrgenommen werden, ist dies dem Regierungspräsidium Gießen anzuzeigen.

  9. Die Eingriffe in den Boden sind zu beschreiben, zu bewerten und auszugleichen.

  10. Für Ausgleichsmaßnahmen sollten keine landwirtschaftlichen nutzbaren Flächen vorgesehen werden.

  11. Wenn bei den Erdarbeiten Bodendenkmäler entdeckt werden, sind diese unverzüglich dem Landesamt für Denkmalpflege zu melden.

Zu 1.:

Da der Geltungsbereich relativ schmal ist und zwischen vorhandenem Gewerbegebiet und geplantem Gewerbegebiet eine Erschließungsstraße liegt, ist der Abfluss der Kalt- und Frischluft talwärts weiterhin möglich. Durch die geplante Bebauung wird der Abfluss allerdings eingeschränkt.

Zu 2.:

Die Anregungen betreffen die Fachplanung und sind ohnehin gesetzlich geregelt. Unabhängig davon wird hierauf nachrichtlich in den textlichen Festsetzungen hingewiesen.

Zu 3.:

Die Anregungen werden für künftige Bauleitplanungen vorgebracht.

Ungeachtet dessen:

In der Begründung wird auf den Wasserverbrauch der vergangenen 7 Jahre, den erwarteten Wasserverbrauch am neuen Standort und auf die beabsichtigte Reduzierung des Trinkwasserverbrauches eingegangen. Auch wird deutlich aufgezeigt, dass die Wasserversorgung in Eschenburg sichergestellt ist.

Zu 4.:

Die Starkregengefährdung ist für den Planbereich erhöht. Entsprechende Ausführungen wurden in die Begründung aufgenommen.

Im Rahmen der Architektenplanung kann die Gefährdung stark reduziert werden, da die Bebauung in nordsüdlicher Richtung und daher in Richtung Hangneigung vorgesehen ist und daher die östlichen und die westlichen unbebauten Flächen so modelliert werden können, dass im Extremfalle das Wasser seitlich vorbeifließen kann.

Zu 5.:

Die Anregungen betreffen die nachfolgenden Planungen. Grundsätzlich ist die Entwässerung im Trennsystem möglich, welches auch favorisiert wird. Ein Hinweis auf die Favorisierung wird in die Begründung aufgenommen.

Zu 6.:

Die jeweils erforderlichen Genehmigungen werden unabhängig von der Bauleitplanung eingeholt.

Zu 7. und 8.:

Hierauf wird in den textlichen Festsetzungen nachrichtlich hingewiesen. Der Gemeinde sind keine Bodenbelastungen bekannt.

Zu 9.:

Ein Fachgutachten Schutzgut Boden wurde erstellt und die Eingriffe in den Boden bilanziert. Der Ausgleich ist vorgesehen.

Zu 10.:

Der Ausgleich soll durch Entnahme von Ökopunkten aus dem Ökopunktekonto vorgenommen werden.

Zu 11.:

Hierauf wird in den textlichen Festsetzungen nachrichtlich hingewiesen.

Es wird darauf hingewiesen, dass ein Planungsbüro mit der Durchführung des Verfahrens beauftragt wurde.

Eschenburg, den 16.10.2025

Der Gemeindevorstand der Gemeinde Eschenburg
gez. Götz Konrad, Bürgermeister