Titel Logo
Wochenzeitung für die Gemeinde Eschenburg
Ausgabe 45/2023
Amtliche Bekanntmachungen
Zurück zur vorigen Seite
Zurück zur ersten Seite der aktuellen Ausgabe

Bauleitplanung der Gemeinde Eschenburg in der Gemarkung Eibelshausen

  • Flächennutzungsplan-Änderung für den Bereich des Bebauungsplanes „Berliner Straße/Königsberger Straße“ und
  • Bebauungsplan „Berliner Straße/Königsberger Straße“

Aufstellungsbeschluss gemäß § 2 (1) Baugesetzbuch (BauGB)

Allgemeine Ziele und Zwecke

Beteiligung der Öffentlichkeit gemäß § 3 (1) BauGB

Aufstellungsbeschluss gemäß § 2 (1) BauGB

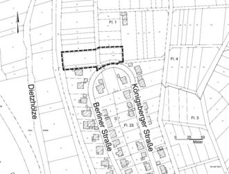
Die Gemeindevertretung hat die Aufstellung der o.g. Pläne beschlossen. Die Grenzen des Geltungsbereiches sind aus nachfolgender Abbildung ersichtlich. Sie sind bei beiden Projekten identisch.

Die Flächen des Geltungsbereiches liegen in der Gemarkung Eibelshausen. Südlich grenzen ein bebautes Wohngrundstück (Berliner Straße Nummer 35) sowie ein kleiner Abschnitt der Berliner Straße sowie der Königsberger Straße an.

Allgemeine Ziele und Zwecke

Durch Aufstellung des Bebauungsplanes können insgesamt 4 Baugrundstücke ausgewiesen werden. Im Bebauungsplan ist ein Allgemeines Wohngebiet festgesetzt.

Der Bebauungsplan dient vor allem der städtebaulichen Ordnung im Planbereich einschließlich der Erschließung und der erforderlichen grünordnerischen Maßnahmen.

Im rechtswirksamen Flächennutzungsplan ist der Geltungsbereich des Bebauungsplanes als landwirtschaftliche Fläche sowie als Wegeparzelle dargestellt.

Die Änderung des Flächennutzungsplanes ist erforderlich, damit der Bebauungsplan aus dem rechtswirksamen Flächennutzungsplan entwickelt ist.

Die Änderung des Flächennutzungsplanes beinhaltet die Darstellung einer Wohnbaufläche.

Beteiligung der Öffentlichkeit gemäß § 3 (1) BauGB

Die Unterlagen der Bauleitplanungen werden zur Unterrichtung über die allgemeinen Ziele und Zwecke der Planungen und der voraussichtlichen Auswirkungen in der Zeit

vom 13.11.2023 bis einschl. 15.12.2023

auf der Internetseite der Gemeinde Eschenburg unter https://www.gemeinde-eschenburg.de/leben-und-wohnen/bauleitplanung veröffentlicht und stehen unter dem Internetportal des Landes Hessen unter https://bauleitplanung.hessen.de/ zur Verfügung.

Sie können eingesehen bzw. im PDF-Format heruntergeladen werden.

Dies sind:

Auch diese Bekanntmachung kann eingesehen werden.

Zusätzlich zur Veröffentlichung im Internet werden die Unterlagen während der Dienststunden mit Publikumsverkehr im Rathaus, Nassauer Straße 11, 35713 Eschenburg, Raum E.05 öffentlich ausgelegt.

Ein Besuch im Rathaus ist zurzeit nur nach vorheriger Terminabsprache (Tel.: 02774-915108) während der Öffnungszeiten möglich.

Die Öffnungszeiten des Rathauses sind:

Montag bis Freitag:

8:30 Uhr - 12:00 Uhr

Montag:

14:00 Uhr - 16:30 Uhr

Dienstag und Donnerstag:

14:00 Uhr - 15:30 Uhr

Termine können auch außerhalb dieser Zeiten vereinbart werden.

Während des o.g. Zeitraumes hat die Öffentlichkeit auch Gelegenheit zur Äußerung und Erörterung.

Die Öffentlichkeit kann sich informieren und durch Wünsche und Anregungen die Planung beeinflussen.

Die Öffentlichkeit kann Stellungnahmen während des o.g. Zeitraumes abgeben.

Die Stellungnahmen sollten elektronisch an folgende Mail-Adresse abgegeben werden: stellungnahmen@buero-zillinger.de.

Bei Bedarf können sie aber auch auf anderem Wege abgegeben werden, zum Beispiel schriftlich, adressiert an die Gemeindeverwaltung der Gemeinde Eschenburg oder zur Niederschrift.

Stellungnahmen, die nicht fristgerecht abgegeben werden, können bei der Beschlussfassung über den Bauleitplan unberücksichtigt bleiben.

Die Stellungnahmen werden ausgewertet und in nicht-öffentlichen und öffentlichen Sitzungen beraten. Die Verarbeitung der personenbezogenen Daten erfolgt nur im Rahmen des Planungsprozesses und im Übrigen unter Beachtung der Datenschutzverordnung.

Es wird darauf hingewiesen, dass ein Planungsbüro mit der Durchführung des Verfahrens beauftragt wurde.

Eschenburg, 09.11.2023

Der Gemeindevorstand der Gemeinde Eschenburg
gez. Konrad, Bürgermeister