Titel Logo
Blieskasteler Nachrichten
Ausgabe 50/2025
Amtliche Bekanntmachungen
Zurück zur vorigen Seite
Zurück zur ersten Seite der aktuellen Ausgabe

Bekanntmachung

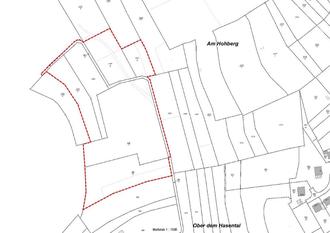
Bebauungsplan LK.12.00 "PV-Freiflächenanlage" im Stadtteil Lautzkirchen

Bekanntmachung des Satzungsbeschlusses gemäß § 10 Abs. 3 BauGB

Der Stadtrat der Stadt Blieskastel hat mit Beschluss vom 26.06.2025 den Bebauungsplan LK.12.00 „PV-Freiflächenanlage“ gem. § 10 Abs. 1 BauGB als Satzung beschlossen. Dieser Beschluss wird hiermit gem. § 10 Abs. 3 BauGB bekanntgemacht. Mit dieser Bekanntmachung tritt der Bebauungsplan LK.12.00 „PV-Freiflächenanlage“ in Kraft.

Jedermann kann den Bebauungsplan LK.12.00 „PV-Freiflächenanlage“ bestehend aus Planzeichnung, textlichen Festsetzungen, Begründung mit Umweltbericht und zusammenfassender Erklärung, im Rathaus II der Stadt Blieskastel, Zimmer 205 während der allgemeinen Dienststunden einsehen und über dessen Inhalt Auskunft verlangen.

Hinweis gemäß §§ 214, 215 BauGB:

Auf die Voraussetzungen für die Geltendmachung der Verletzung von Verfahrens- und Formvorschriften und von Mängeln in der Abwägung sowie die Rechtfolgen der §§ 214, 215 BauGB wird hingewiesen.

Unbeachtlich werden demnach:

1.

eine nach § 214 Abs. 1 Satz 1 Nr. 1 bis 3 BauGB beachtliche Verletzung der dort bezeichneten Verfahrens- und Formvorschriften,

2.

eine unter Berücksichtigung des § 214 Abs. 2 BauGB beachtliche Verletzung der Vorschriften über das Verhalten des Bebauungsplanes und des Flächennutzungsplanes und

3.

nach § 214 Abs. 3 Satz 2 BauGB beachtliche Mängel des Abwägungsvorgangs,

wenn sie nicht innerhalb eines Jahres seit der Bekanntmachung des Bebauungsplanes LK.12.00 „PV-Freiflächenanlage“ schriftlich gegenüber der Gemeinde unter Darlegung des die Verletzung begründenden Sachverhalts geltend gemacht worden sind. Dies gilt entsprechend, wenn Fehler nach § 214 Abs. 2a BauGB beachtlich sind.

Hinweis gemäß § 44 BauGB:

Auf die Vorschriften des § 44 Abs. 3 Satz 1 und 2 sowie Abs. 4 BauGB wird hingewiesen. Danach erlöschen Entschädigungsansprüche für die in §§ 39 bis 42 BauGB bezeichneten eingetretenen Vermögensnachteile, wenn nicht innerhalb von 3 Jahren nach Ablauf des Kalenderjahres, in dem die Vermögensnachteile eingetreten sind, die Fälligkeit des Anspruchs herbeigeführt wird.

Hinweis gemäß § 12 Abs. 6 KSVG:

Satzungen, die unter Verletzung von Verfahrens- und Formvorschriften des Kommunalselbstverwaltungsgesetzes (KSVG) oder aufgrund dieses Gesetzes zustande gekommen sind, gelten ein Jahr nach der öffentlichen Bekanntmachung als von Anfang an gültig zustande gekommen. Dies gilt nicht, wenn

1.

die Vorschriften über die Genehmigung oder die öffentliche Bekanntmachung der Satzung verletzt worden sind,

2.

vor Ablauf der vorbezeichneten Frist (Satz 1 des § 12 Abs. 6 KSVG) der Bürgermeister dem Beschluss widersprochen hat oder die Kommunalaufsichtsbehörde den Beschluss beanstandet hat oder der Verfahrens- und Formmangel gegenüber der Kommune unter Bezeichnung der Tatsache, die den Mangel ergibt, schriftlich gerügt worden ist.

Blieskastel, den 12.12.2025
i.V. Patrick Hüther
Erster Beigeordneter

Lageplan

Geltungsbereich des Bebauungsplanes LK.12.00 „PV-Freiflächenanlage“ ohne Maßstab.