Titel Logo
Blieskasteler Nachrichten
Ausgabe 50/2025
Amtliche Bekanntmachungen
Zurück zur vorigen Seite
Zurück zur ersten Seite der aktuellen Ausgabe

Bekanntmachung

Teiländerung des Flächennutzungsplanes im Bereich des Bebauungsplan LK.12.00 "PV-Freiflächenanlage" im Stadtteil Lautzkirchen

Bekanntmachung der Genehmigung gemäß § 6 Abs. 5 BauGB

Der Stadtrat der Stadt Blieskastel hat mit Beschluss vom 26.06.2025 die Teiländerung des Flächennutzungsplanes im Bereich des Bebauungsplanes LK.12.00 „PV-Freiflächenanlage“ beschlossen.

Diese Änderung wurde dem Ministerium für Inneres, Bauen und Sport, Saarbrücken, mit Schreiben der Stadt Blieskastel, Az.: III-61-63/LK.12.00 vom 28.07.2025 gemäß § 6 Abs. 1 BauGB zur Genehmigung vorgelegt.

Mit Erlass des Ministeriums für Inneres, Bauen und Sport, Az.: OBB 11–182-10/24 No vom 25.11.2025 wurde die Teiländerung des Flächennutzungsplanes im Bereich des Bebauungsplanes LK.12.00 „PV-Freiflächenanlage“ gemäß § 6 Abs. 1 BauGB in der derzeit gültigen Fassung genehmigt.

Die Erteilung der Genehmigung wird hiermit gemäß der Vorschrift des § 6 Abs. 5 BauGB ortsüblich bekannt gemacht. Mit dieser Bekanntmachung wird die Teiländerung des Flächennutzungsplanes im Bereich des Bebauungsplanes LK.12.00 „PV-Freiflächenanlage“ wirksam.

Jedermann kann die Teiländerung des Flächennutzungsplanes, bestehend aus Planzeichnung, Begründung mit Umweltbericht und zusammenfassender Erklärung, im Rathaus II der Stadt Blieskastel, Zimmer 205 während der allgemeinen Dienststunden einsehen und über dessen Inhalt Auskunft verlangen.

Gemäß § 215 Abs. 1 BauGB werden

1.

eine nach § 214 Abs. 1 Satz 1 bis 3 BauGB beachtliche Verletzung der dort bezeichneten Verfahrens- und Formvorschriften,

2.

eine unter Berücksichtigung des § 214 Abs. 2 BauGB beachtliche Verletzung der Vorschriften über das Verhältnis des Bebauungsplanes und des Flächennutzungsplanes und

3.

nach § 214 Abs. 3 Satz 2 BauGB beachtliche Mängel des Abwägungsvorgangs,

unbeachtlich, wenn sie nicht innerhalb eines Jahres seit Bekanntmachung des Flächennutzungsplanes oder der Satzung schriftlich gegenüber der Gemeinde unter Darlegung des die Verletzung begründenden Sachverhalts geltend gemacht worden sind. Satz 1 gilt entsprechend, wenn Fehler nach § 214 Abs. 2a BauGB beachtlich sind.

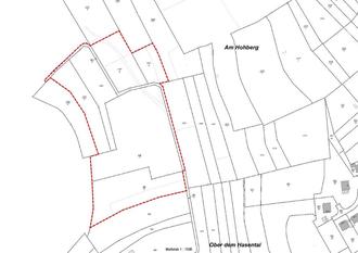
Der Bereich der Teiländerung des Flächennutzungsplanes ist auf dem dieser Bekanntmachung beigefügten Kartenauszug erkennbar.

Blieskastel, den 12.12.2025
i.V. Patrick Hüther
Erster Beigeordneter

Lageplan

Geltungsbereich der Teiländerung Flächennutzungsplan ohne Maßstab.