Titel Logo
Amtliches Bekanntmachungsorgan der Gemeinde Flieden
Ausgabe 41/2024
Amtliche Bekanntmachungen
Zurück zur vorigen Seite
Zurück zur ersten Seite der aktuellen Ausgabe

BAULEITPLANUNG DER GEMEINDE FLIEDEN

Bebauungsplanes Nr. 41 „Schlüchterner Straße“ im Ortsteil Flieden, Gemeinde Flieden Inkrafttreten des Bebauungsplanes

Die Gemeinde Flieden hat am 12.06.2024 beschlossen, den Bebauungsplan Nr. 41 „Schlüchterner Straße“, als vorhabenbezogenen Bebauungsplan aufzustellen und Offenzulegen. Das Bauleitplanverfahren wurde nach § 13a Abs. 2 BauGB im sog. beschleunigten Verfahren durchgeführt.

Der vorhabenbezogene Bebauungsplan der Gemeinde Flieden Nr. 41 „Schlüchterner Straße “hat in der Zeit vom 15.07.2023 bis einschließlich 16.08.2023 gemäß § 3 Abs. 2 BauGB öffentlich ausgelegen. Parallel wurden die Behörden und sonstigen Träger öffentlicher Belange i. S. des § 4 Abs. 2 BauGB beteiligt.

Die Gemeindevertretung der Gemeinde Flieden hat in Ihrer Sitzung am 18.09.2024 den Bebauungsplanes Nr. 41 „Schlüchterner Straße“: als vorhabenbezogenen Bebauungsplan gem. den §§ 5 und 51 der Hess. Gemeindeordnung (in der derzeit gültigen Fassung) und des § 10 (1) Baugesetzbuch (in der derzeit gültigen Fassung) als Satzung beschlossen. Die Begründung hierzu wird gebilligt.

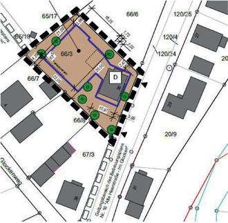
Der Geltungsbereich des vorhabenbezogenen Bebauungsplans umfasst das Flurstück 66/3, Flur 11 in der Gemarkung Flieden mit einer Fläche von 1.400 m².und kann der nachfolgenden Übersichtskarte entnommen werden.

Da eine bauliche Sanierung des Gebäudes im Rahmen einer Beurteilung als im Zusammenhang bebauter Ortsteil keine planungsrechtlich belastbare Ausnutzung ermöglicht, hat die Gemeinde Flieden sich dazu entschlossen, einen vorhabenbezogenen Bebauungsplan aufzustellen und so die Voraussetzungen für eine Nachverdichtung der in fußläufiger Entfernung zur Ortslage gelegenen Grundstücke zu schaffen. Auf diese Weise können zusätzliche Wohnungen in zentraler Lage entstehen und die finanziellen Voraussetzungen für eine denkmalgerechte Sanierung des denkmalgeschützten Gebäudes geschaffen werden. Diese Maßnahmen tragen insgesamt zu einer städtebaulichen Aufwertung des gesamten Umfeldes bei.

Der Bebauungsplan tritt mit dieser Bekanntmachung in Kraft.

Der Bebauungsplan und die Begründung hierzu werden im Rathaus Flieden, Hauptstraße 36, 36103 Flieden, Bauabteilung, 2. Obergeschoss, zu den allgemeinen Dienststunden der Verwaltung zu jedermanns Einsicht bereitgehalten. Über den Inhalt wird auf Verlangen Auskunft erteilt.

Gemäß § 215 BauGB wird darauf hingewiesen, dass eine nach § 214 Abs. 1 Satz 1 Nr. 1 bis 3 BauGB beachtliche Verletzung der dort bezeichneten Verfahrens- und Formvorschriften, eine unter Berücksichtigung des § 214 Abs. 2 BauGB beachtliche Verletzung der Vorschriften über das Verhältnis des Bebauungsplans beachtliche Mängel des Abwägevorgangs gemäß § 215 Abs. 1 BauGB unbeachtlich werden, wenn sie nicht innerhalb eines Jahres seit dieser Bekanntmachung schriftlich gegenüber der Gemeinde unter Darlegung des die Verletzung begründenden Sachverhalts geltend gemacht worden sind. Dies gilt entsprechend, wenn Fehler nach § 214 Abs. 2a BauGB beachtlich sind.

Gemäß § 44 Abs. 5 BauGB wird darauf hingewiesen, dass der Entschädigungsberechtigte nach § 44 Abs. 3 BauGB Entschädigung verlangen kann, wenn die in den §§ 39 bis 42 BauGB bezeichneten Vermögensnachteile eingetreten sind. Er kann die Fälligkeit des Anspruchs dadurch herbeiführen, dass er die Leistung der Entschädigung schriftlich bei dem Entschädigungspflichtigen beantragt. Nach § 44 Abs. 4 BauGB erlischt der Entschädigungsanspruch, wenn nicht innerhalb von drei Jahren nach Ablauf des Kalenderjahres, in dem die o.g. Vermögensnachteile eingetreten sind, die Fälligkeit des Anspruchs herbeigeführt wird.

Flieden, 11.10.2024

Der Gemeindevorstand der Gemeinde Flieden
gez. Christopher Gärtner, Bürgermeister