Titel Logo
Amts- und Mitteilungsblatt für das Hadamarer Land
Ausgabe 16/2024
Amtliche Bekanntmachungen
Zurück zur vorigen Seite
Zurück zur ersten Seite der aktuellen Ausgabe

​​​​​​​Bauleitplanung der Stadt Hadamar, Kernstadt Bebauungsplan Wohnquartier „In den Pfeiffersgärten“ sowie Änderung des Flächennutzungsplans in diesem Bereich

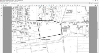
Abbildung genordet, ohne Maßstab

Bebauungsplan Wohnquartier „In den Pfeiffersgärten“ sowie Änderung des Flächennutzungsplans in diesem Bereich

Bekanntmachung der frühzeitigen Beteiligung der Öffentlichkeit gemäß § 3 Abs. 1 Baugesetzbuch (BauGB)

Die Stadtverordnetenversammlung der Stadt Hadamar hat in ihrer Sitzung am 07.11.2022 die Aufstellung des Bebauungsplanes Wohnquartier „In den Pfeiffersgärten“ sowie die Änderung des Flächennutzungsplanes in diesem Bereich beschlossen. Mit dem Bebauungsplan sollen im Bereich des aufgegebenen Sportplatzgeländes südlich der Faulbacher Straße (Kreisstraße K 459) die bauplanungsrechtlichen Voraussetzungen für die städtebauliche Entwicklung und Erschließung eines neuen Wohnquartiers entsprechend der erfolgten Konzeptvergabe geschaffen und somit das ehemalige Sportplatzgelände einer neuen Nutzung zugeführt werden.

Das Planziel des Bebauungsplanes ist die Ausweisung eines Allgemeinen Wohngebietes gemäß § 4 Baunutzungsverordnung (BauNVO) sowie die Sicherung der zugehörigen Erschließung und Freiflächen. Zur Wahrung einer geordneten städtebaulichen Entwicklung werden zudem Festsetzungen unter anderem zum Maß der baulichen Nutzung, zur Bauweise und zu den überbaubaren Grundstücksflächen getroffen sowie bauordnungsrechtliche Gestaltungsvorschriften formuliert. Der Flächennutzungsplan wird im Parallelverfahren zur Aufstellung des Bebauungsplanes für den Bereich des Plangebietes entsprechend geändert. Das Planziel der Flächennutzungsplan-Änderung ist die Darstellung von „Wohnbauflächen“ zulasten der bisherigen Darstellungen.

Der räumliche Geltungsbereich des Bebauungsplanes umfasst in der Gemarkung Hadamar, Flur 31, die Flurstücke 36 teilweise, 48/1, 49/1, 49/2 und 50/1. Die Abgrenzung des räumlichen Geltungsbereiches des Bebauungsplanes kann der nachfolgenden Übersichtskarte entnommen werden. Der räumliche Geltungsbereich der Flächennutzungsplan-Änderung entspricht dem räumlichen Geltungsbereich des Bebauungsplanes mit Ausnahme der Straßenparzelle der Faulbacher Straße (Flurstück 36 teilweise) sowie der gemeindlichen Wegeparzelle im Westen des Plangebietes (Flurstück 48/1).

Der Vorentwurf des Bebauungsplanes und der Flächennutzungsplan-Änderung mit zugehörigen Begründungen und Umweltbericht sowie eine Geruchsimmissionsprognose werden in der Zeit von

Montag, den 22.04.2024 bis einschließlich Freitag, den 24.05.2024

im Internet unter der Adresse www.hadamar.de/bauen/bebauungsplaene veröffentlicht. Zusätzlich zur Veröffentlichung im Internet erfolgt eine öffentliche Auslegung der oben genannten Unterlagen im Bauamt der Stadt Hadamar, Untermarkt 1, 65589 Hadamar, II. Stock im Rathaus, während der üblichen Dienststunden der Verwaltung:

montags bis freitags

08.00 bis 12.00 Uhr

donnerstagnachmittags

14.00 bis 17.00 Uhr

In Ausnahmefällen sind auch andere Termine nach vorheriger Vereinbarung möglich. Während der oben genannten Dauer der Veröffentlichungsfrist können Stellungnahmen abgegeben werden. Es wird darauf hingewiesen, dass Stellungnahmen elektronisch übermittelt werden sollen, bei Bedarf aber auch auf anderem Weg, zum Beispiel schriftlich, in Textform oder zur Niederschrift, abgegeben werden können. Die elektronische Abgabe von Stellungnahmen ist bevorzugt unter der E-Mail-Adresse bauamt@stadt-hadamar.de möglich.

Es wird darauf hingewiesen, dass nicht fristgerecht abgegebene Stellungnahmen bei der Beschlussfassung über den Bauleitplan unberücksichtigt bleiben können und dass gemäß § 4b BauGB ein Planungsbüro mit der Durchführung des Verfahrens beauftragt wurde.

Gemäß § 3 Abs. 3 BauGB wird hinsichtlich der Aufstellung der Flächennutzungsplan-Änderung darauf hingewiesen, dass eine Vereinigung i.S.d. § 4 Abs. 3 Satz 1 Nr. 2 des Umwelt-Rechtsbehelfsgesetzes in einem Rechtsbehelfsverfahren nach § 7 Abs. 2 des Umwelt-Rechtsbehelfsgesetzes gemäß § 7 Abs. 3 Satz 1 des Umwelt-Rechtsbehelfsgesetzes mit allen Einwendungen ausgeschlossen ist, die sie im Rahmen der Auslegungsfrist nicht oder nicht rechtzeitig geltend gemacht hat, aber hätte geltend machen können.

Hadamar, den 16.04.2024

Der Magistrat der Stadt Hadamar
Michael Ruoff, Bürgermeister

Räumlicher Geltungsbereich des Bebauungsplanes Wohnquartier „In den Pfeiffersgärten“