Titel Logo
Amts- und Mitteilungsblatt für das Hadamarer Land
Ausgabe 20/2024
Amtliche Bekanntmachungen
Zurück zur vorigen Seite
Zurück zur ersten Seite der aktuellen Ausgabe

Bekanntmachung der FNP-Genehmigung gemäß § 6 Abs. 5 Baugesetzbuch

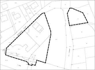
(Geltungsbereich Plankarte unmaßstäblich)

Flächennutzungsplanänderung im Bereich des „Bebauungsplan zwischen L 3278 und K 479“ der Stadt Hadamar, Stadtteil Niederzeuzheim

Das Regierungspräsidium Gießen hat die Änderung des Flächennutzungsplanes im Bereich des „Bebauungsplan zwischen L 3278 und K 479“ geprüft und mit Schreiben vom 14.12.2023, RPGI-31-61a0100/59-2014/6 genehmigt.

Der Geltungsbereich der FNP-Änderung ist aus der Übersichtskarte zu entnehmen. Die verbindliche Abgrenzung ergibt sich aus der zur Feststellung gehörenden Planzeichnung.

Die Erteilung der Genehmigung wird hiermit gemäß § 6 Abs. 5 BauGB bekannt gemacht, die

Änderung des Flächennutzungsplanes wird mit dieser Bekanntmachung wirksam.

Die genehmigte Flächennutzungsplanänderung im Bereich des „Bebauungsplan zwischen L 3278 und K 479“ sowie die dazugehörenden Begründung und Umweltbericht mit integriertem Grünordnungsplan sowie artenschutzrechtlichem Fachbeitrag und die zusammenfassender Erklärung können in der Stadtverwaltung Hadamar, Untermarkt 1 in 65589 Hadamar während der allgemeinen Dienststunden sowie nach Vereinbarung von jedermann eingesehen sowie unter https://www.hadamar.de/bauen/bebauungsplaene oder https://bauleitplanung.hessen.de/ abgerufen werden. Über den Inhalt wird auf Verlangen Auskunft erteilt (§ 6 Abs. 5 BauGB).

Gemäß § 6a Abs.1 BauGB wird der Änderung des Flächennutzungsplanes eine zusammenfassende Erklärung beigefügt, aus der die Art und Weise hervorgeht, wie die Umweltbelange und die Ergebnisse der Öffentlichkeits- und Behördenbeteiligung in dem Flächennutzungsplan berücksichtigt wurden und aus welchen Gründen der Plan in der Abwägung mit den geprüften, in Betracht kommenden anderweitigen Planungsmöglichkeiten gewählt wurde.

Gemäß § 215 Abs. 1 BauGB werden unbeachtlich,

  1. eine nach § 214 Abs. 1 Satz 1 Nr. 1 bis 3 BauGB beachtliche Verletzung der dort bezeichneten Verfahrens- und Formvorschriften,
  2. eine unter Berücksichtigung des § 214 Abs. 2 BauGB beachtliche Verletzung der Vorschriften über das Verhältnis des Bebauungsplanes und des Flächennutzungsplanes und
  3. nach § 214 Abs. 3 Satz 2 BauGB beachtliche Mängel des Abwägungsvorgangs,

wenn sie nicht innerhalb eines Jahres seit dieser Bekanntmachung des Flächennutzungsplanes schriftlich gegenüber der Stadt Hadamar unter Darlegung der die Verletzung begründenden Sachverhalts geltend gemacht worden sind.

Übersichtskarte mit dem Geltungsbereich der Flächennutzungsplanänderung

im Bereich des „Bebauungsplan zwischen L 3278 und K 479“

Der Geltungsbereich der Flächennutzungsplanänderung im Bereich des „Bebauungsplan zwischen L 3278 und K 479“umfasst folgende Flurstücke:

Flur 32:

Flurstücke 32/4, 32/5, 32/6, 32/7, 32/10, 32/11

Flur 34:

Flurstücke 56/2 teilweise, 55/3, 55/4 teilweise, 56/3, 56/4, 81/28 teilweise, 97

Hadamar, den 14.05.2024

Der Magistrat
Michael Ruoff
Bürgermeister