Titel Logo
Amts- und Mitteilungsblatt für das Hadamarer Land
Ausgabe 20/2024
Amtliche Bekanntmachungen
Zurück zur vorigen Seite
Zurück zur ersten Seite der aktuellen Ausgabe

Bekanntmachung des Satzungsbeschlusses gemäß § 10 Abs. 3 Baugesetzbuch

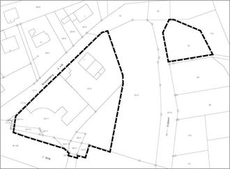
(Geltungsbereich Plankarte unmaßstäblich)

„Bebauungsplan zwischen L 3278 und K 479“ der Stadt Hadamar, Stadtteil Niederzeuzheim

Die Stadtverordnetenversammlung der Stadt Hadamar hat am 16.09.2022 den „Bebauungsplan zwischen L 3278 und K 479“ der Stadt Hadamar, Stadtteil Niederzeuzheim, bestehend aus der Planzeichnung einschließlich den textlichen und bauordnungsrechtlichen Festsetzungen, sowie die zum Bebauungsplan gehörende Begründung und Umweltbericht mit integriertem Grünordnungsplan, artenschutzrechtlichem Fachbeitrag gemäß § 10 Abs. 1 BauGB (Baugesetzbuch) sowie den §§ 9 Abs. 4 BauGB, 91 Abs. 3 HBO (Hessische Bauordnung) als Satzung beschlossen.

Der Geltungsbereich des Bebauungsplans ist aus der Übersichtskarte zu entnehmen. Die verbindliche Abgrenzung ergibt sich aus der zur Satzung gehörenden Planzeichnung.

Der Bebauungsplan ist gemäß § 8 Abs. 2 BauGB aus der am 14.12.2023 vom Regierungspräsidium Gießen genehmigten Änderung des Flächennutzungsplanes im Bereich des „Bebauungsplan zwischen L 3278 und K 479“ entwickelt.

Gemäß § 10 Abs. 3 BauGB tritt der „Bebauungsplan zwischen L 3278 und K 479“ mit dieser Bekanntmachung in Kraft.

Der „Bebauungsplan zwischen L 3278 und K 479“ sowie die dazugehörenden Begründung und Umweltbericht mit integriertem Grünordnungsplan sowie artenschutzrechtlichem Fachbeitrag und die zusammenfassender Erklärung können in der Stadtverwaltung Hadamar, Untermarkt 1 in 65589 Hadamar während der allgemeinen Dienststunden sowie nach Vereinbarung von jedermann eingesehen sowie unter https://www.hadamar.de/bauen/bebauungsplaene oder https://bauleitplanung.hessen.de/ abgerufen werden. Über den Inhalt wird auf Verlangen Auskunft erteilt (§ 10 Abs. 3 BauGB).

Gemäß § 10 a Abs.1 BauGB wird dem Bebauungsplan eine zusammenfassende Erklärung beigefügt, aus der die Art und Weise hervorgeht, wie die Umweltbelange und die Ergebnisse der Öffentlichkeits- und Behördenbeteiligung in dem Bebauungsplan berücksichtigt wurden und aus welchen Gründen der Plan in der Abwägung mit den geprüften, in Betracht kommenden anderweitigen Planungsmöglichkeiten gewählt wurde.

Auf die Vorschriften des § 44 Abs. 3 Satz 1 und 2 und Abs. 4 des Baugesetzbuches (BauGB) über die fristgemäße Geltendmachung etwaiger Entschädigungsansprüche von durch Festsetzungen des Bebauungsplanes oder seiner Durchführung eintretenden Vermögensnachteilen, die in den §§ 39 bis 42 BauGB bezeichnet sind, sowie über die Fälligkeit und das Erlöschen von Entschädigungsansprüchen bei nicht fristgemäßer Geltendmachung wird hingewiesen. Der Entschädigungsberechtigte kann die Fälligkeit des Anspruchs dadurch herbeiführen, dass er die Leistung der Entschädigung schriftlich bei dem Entschädigungspflichtigen (§ 44 Abs. 1 BauGB) beantragt.

Ein Entschädigungsanspruch erlischt, wenn nicht innerhalb von drei Jahren nach Ablauf des Kalenderjahres, in dem die in §§ 39 bis 42 BauGB bezeichneten Vermögensnachteile eingetreten sind, die Fälligkeit des Anspruchs herbeigeführt wird.

Gemäß § 215 Abs. 1 BauGB werden unbeachtlich,

  1. eine nach § 214 Abs. 1 Satz 1 Nr. 1 bis 3 BauGB beachtliche Verletzung der dort bezeichneten Verfahrens- und Formvorschriften,
  2. eine unter Berücksichtigung des § 214 Abs. 2 BauGB beachtliche Verletzung der Vorschriften über das Verhältnis des Bebauungsplanes und des Flächennutzungsplanes und
  3. nach § 214 Abs. 3 Satz 2 BauGB beachtliche Mängel des Abwägungsvorgangs,

wenn sie nicht innerhalb eines Jahres seit dieser Bekanntmachung des Bebauungsplanes schriftlich gegenüber der Stadt Hadamar unter Darlegung der die Verletzung begründenden Sachverhalts geltend gemacht worden sind.

Übersichtskarte mit dem Geltungsbereich des

„Bebauungsplan zwischen L 3278 und K 479“

Der Geltungsbereich des „Bebauungsplan zwischen L 3278 und K 479“umfasst folgende Flurstücke:

Flur 32:

Flurstücke 32/4, 32/5, 32/6, 32/7, 32/10, 32/11

Flur 34:

Flurstücke 56/2 teilweise, 55/3, 55/4 teilweise, 56/3, 56/4, 81/28 teilweise, 97

Hadamar, den 14.05.2024

Der Magistrat
Michael Ruoff, Bürgermeister