Titel Logo
Mitteilungsblatt Heringen
Ausgabe 25/2023
Amtliche Bekanntmachungen
Zurück zur vorigen Seite
Zurück zur ersten Seite der aktuellen Ausgabe

Bauleitplanung der Stadt Heringen (Werra)

Magistrat der Stadt Heringen (Werra) Obere Goethestraße 17 36266 Heringen (Werra)

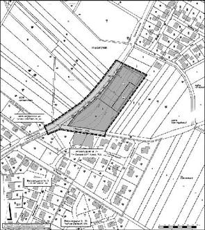
Übersichtskarte 2: Geltungsbereich

Bebauungsplan „Leimbacher Straße“ sowie Änderung des Flächennutzungsplanes in diesem Bereich

Bekanntmachung des Aufstellungsbeschlusses gemäß § 2 Abs. 1 Satz 2 BauGB sowie Bekanntmachung der frühzeitigen Beteiligung der Öffentlichkeit gemäß § 3 Abs.1 BauGB

Die Stadtverordnetenversammlung der Stadt Heringen (Werra) hat in ihrer Sitzung am 10.11.2022 gemäß § 2 Abs. 1 BauGB die Aufstellung des Bebauungsplans „Leimbacher Straße“ sowie die Änderung des Flächennutzungsplanes in diesem Bereich beschlossen. Mit der Planung sollen die Voraussetzungen für die Ansiedlung eines großflächigen Lebensmittelmarktes und ergänzenden Fachmarktangeboten geschaffen werden. Die Abgrenzung des räumlichen Geltungsbereiches ist den nachfolgenden Übersichtskarten zu entnehmen.

Gemäß § 2 Abs. 4 und § 2a BauGB wird eine Umweltprüfung für das Bauleitplanverfahren durchgeführt, in der die voraussichtlich erheblichen Umwelteinwirkungen ermittelt und in einem Umweltbericht beschrieben und bewertet werden.

In Ausführung des § 3 Abs. 1 BauGB (frühzeitige Beteiligung der Öffentlichkeit) liegen die Planunterlagen zu den Vorentwürfen des Bebauungsplanes und der Änderung des Flächennutzungsplanes in der Zeit vom

10.07.2023 bis zum 11.08.2023 einschließlich

in der Stadtverwaltung Heringen (Rathaus), Bauamt, Zimmer 1.8, Obere Goethestraße 17, 36266 Heringen (Werra) zu jedermanns Einsicht öffentlich aus, sofern nicht auf den Tag ein gesetzlicher oder ortsüblicher Feiertag fällt. Die ausgelegten Unterlagen können montags, mittwochs und freitags von 09.00 bis 12.00 Uhr, dienstags von 09.00 bis 12.00 Uhr und von 14.00 bis 15.30 Uhr und donnerstags von 09.00 bis 12.00 Uhr und von 14.30 bis 17.30 Uhr eingesehen werden.

Während der Auslegungsfrist kann sich die Öffentlichkeit über die allgemeinen Ziele und Zwecke der Planung unterrichten und es besteht Gelegenheit zur Äußerung und Erörterung. Es können Stellungnahmen abgegeben werden.

Die Planunterlagen werden zusätzlich im Internet eingestellt und können unter der Adresse https://www.heringen.de unter der Rubrik Stadtverwaltung / Bauleitplanung / Bauleitplanverfahren und über das Bauleitplanungsportal des Landes Hessen unter https://bauleitplanung.hessen.de/bebauungsplaene-in-hessen-a-z/g-i unter dem Verweis Zum Bebauungsplan im Verfahren eingesehen und heruntergeladen werden. Elektronische Stellungnahmen können an fischer@fischer-plan.de oder info@heringen.de gesendet werden.

Die Stadt Heringen (Werra) hat gemäß § 4b BauGB ein Planungsbüro mit der Vorbereitung und Durchführung von Verfahrensschritten nach den §§ 2a bis 4a BauGB beauftragt.

Es wird darauf hingewiesen, dass nicht fristgerecht abgegebene Stellungnahmen bei der Beschlussfassung über die Bauleitplanung unberücksichtigt bleiben können.

Für die Flächennutzungsplanänderung gilt, dass eine Vereinigung im Sinne des § 4 Abs. 3 Satz 1 Nummer 2 des Umwelt-Rechtsbehelfsgesetzes in einem Rechtsbehelfsverfahren nach § 7 Abs. 2 des Umwelt-Rechtsbehelfsgesetzes gemäß § 7 Abs. 3 Satz 1 des Umwelt-Rechtsbehelfsgesetzes mit allen Einwendungen ausgeschlossen ist, die sie im Rahmen der Auslegungsfrist nicht oder nicht rechtzeitig geltend gemacht hat, aber hätte geltend machen können.

Magistrat der Stadt Heringen (Werra)

Obere Goethestraße 17

36266 Heringen (Werra)