Titel Logo
Mitteilungsblatt Heringen
Ausgabe 50/2025
Amtliche Bekanntmachungen
Zurück zur vorigen Seite
Zurück zur ersten Seite der aktuellen Ausgabe

Bauleitplanung der Stadt Heringen, ST Wölfershausen

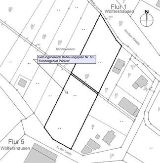
hier: räumlicher Geltungsbereich B-Plan Nr. 50 „Sondergebiet Parken“, ST Wölfershausen, Plan genordet, ohne Maßstab

Bebauungsplan Nr. 50 „Sondergebiet Parken“ im ST Wölfershausen

a)

Bekanntmachung des Aufstellungsbeschlusses nach § 2 Abs. 1 BauGB

b)

Durchführung der frühzeitigen Bürgerbeteiligung gemäß § 3 Abs. 1 BauGB

a)

Die Stadtverordnetenversammlung der Stadt Heringen hat am 12.12.2024 den Beschluss zur Aufstellung des Bebauungsplans Nr. 50 „Sondergebiet Parken“ im OT Wölfershausen gefasst. Der Aufstellungsbeschluss wird hiermit gemäß § 2 Abs.1 Baugesetzbuch (BauGB) bekannt gemacht.

Der Vorhabenträger, benötigt dringend für seinen Betrieb einen zusätzlichen Lager- bzw. Abstellplatz für Fahrzeuge sowie Parkplätze für seine Mitarbeiter und Kunden. Hierfür hat er das benachbarte Grundstück erworben, um dieses teilwiese als Parkplatzfläche herzurichten. Um planungsrechtliche Voraussetzungen zu schaffen, ist die Aufstellung des Bebauungsplans Nr. 50 „Sondergebiet Parken“ im Stadtteil Wölfershausen notwendig.

Der räumliche Geltungsbereich des Bebauungsplans Nr. 50 „Sondergebiet Parken“ im Stadtteil Wölfershausen befindet sich am südwestlichen Ortsrand von Wölfershausen. Der Geltungsbereich umfasst das Flurstück 263/95, Flur 1 der Gemarkung Wölfershausen mit einer Gesamtfläche von rd. 4.886 m² (rd. 0,5 ha). Der Geltungsbereich ist der anliegenden Karte zu entnehmen.

b)

Die Stadtverordnetenversammlung der Stadt Heringen hat dem Vorentwurf des Bebauungsplanes Nr. 50 „Sondergebiet Parken“ in Ihrer Sitzung am 06.11.2025 zugestimmt und die Durchführung der frühzeitigen Bürgerbeteiligung gemäß § 3 Abs. 1 BauGB und Beteiligung der Behörden und Träger öffentlicher Belange gemäß § 4 Abs.1 BauGB beschlossen.

Die Aufstellung des Bebauungsplanes Nr. 50 „Sondergebiet Parken“ erfolgt im Regelverfahren. Im Rahmen des Verfahrens ist eine Umweltprüfung gem. § 2 Abs. 4 BauGB durchzuführen.

Da Bebauungspläne aus dem Flächennutzungsplan zu entwickeln sind, wird hier im Parallelverfahren zur Aufstellung des Bebauungsplans Nr. 50 „Sondergebiet Parken“ auch die 17. Änderung des Flächennutzungsplans im Bereich des Geltungsbereichs des Bebauungsplans eingeleitet (§ 8 Abs. 3 BauGB).

Der Planentwurf einschließlich der zugehörigen Begründung wird öffentlich zu jedermanns Einsicht

vom 08.12.2025 bis einschließlich 14.01.2026

im Rathaus der Stadt Heringen (Werra), Raum 1.8, Obere Goethestraße 17 in 36266 Heringen (Werra) aus und werden während folgender Dienststunden bereitgehalten, sofern nicht auf einen der genannten Tage ein gesetzlicher oder ortsüblicher Feiertag fällt:

Mo - Fr

9.00 Uhr bis 12.00 Uhr

Di

14.00 Uhr bis 15.30 Uhr

Do

14.30 Uhr bis 17.30 Uhr

Der Bebauungsplan kann während der Auslegungsfrist auch über die lnternetportale:

Stadt Heringen (Werra):

www.heringen.de/stadtverwaltung/bauleitplanung/bauleitplanverfahren/bauleitplanungen_bebauungsplaene.html

Land Hessen:

www.bauleitplanung.hessen.de

Büro KH Planwerk GmbH

https://www.kh-planwerk.de/aktuelles

gemäß § 4a Absatz 4 BauGB eingesehen und heruntergeladen werden.

Stellungnahmen können innerhalb der Auslegungsfrist schriftlich oder zur Niederschrift beim Magistrat der Stadt Heringen (Werra), Fachbereich 3 – Bauen, Obere Goethestraße 17 in 36266 Heringen (Werra), innerhalb der Dienststunden der Gemeindeverwaltung oder dem Planungsbüro KH Planwerk GmbH, Bahnhofstraße 6 in 99084 Erfurt, vorgebracht werden.

Sollten während des Beteiligungszeitraums Zugangsbeschränkungen ganz oder zeitweise bestehen, gilt hier, dass eine Einsichtnahme nur nach telefonischer Vereinbarung möglich ist. Die Zugangsbeschränkungen und die Vereinbarung zur Einsichtnahme sind telefonisch unter folgender Nummer zu erfragen: 06624 / 933-302.

Gemäß § 4a Abs. 6 BauGB wird darauf hingewiesen, dass nicht innerhalb der Auslegungsfrist abgegebene Stellungnahmen bei der Beschlussfassung über den Bebauungsplan unberücksichtigt bleiben können, sofern die Gemeinde deren Inhalt nicht kannte und nicht hätte kennen müssen und deren Inhalt für die Rechtmäßigkeit des Bebauungsplanes nicht von Bedeutung ist.

Ein Antrag nach § 47 der Verwaltungsgerichtsordnung (VwGO) ist unzulässig, wenn mit ihm nur Einwendungen geltend gemacht werden, die im Rahmen der Auslegung nicht oder verspätet geltend gemacht wurden, aber hätten geltend gemacht werden können.

Es wird darauf hingewiesen, dass die Vorbereitung und Durchführung von Verfahrensschritten gemäß § 4b BauGB an ein Planungsbüro übertragen wurde.

Hinweis:

Die Bekanntmachung erfolgt am 05.12.2025 zusätzlich auf der Internetseite der Stadt Heringen (Werra) https://www.heringen.de/stadtverwaltung/bauleitplanung/bauleitplanverfahren.

Heringen (Werra), den 27.11.2025

Daniel Iliev
Bürgermeister