Titel Logo
Blickpunkt Hofbieber - Amtliches Verkündungsorgan für die Gemeinde Hofbieber
Ausgabe 13/2025
Amtliche Bekanntmachungen
Zurück zur vorigen Seite
Zurück zur ersten Seite der aktuellen Ausgabe

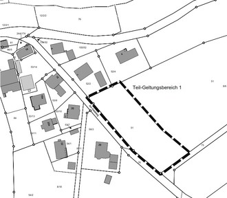
Ergänzungssatzung gem. § 34 Abs. 4 Satz 1 Nr. 3 BauGB "Am Kiesberg“,  Gemeinde Hofbieber im Ortsteil Hofbieber

Die Gemeindevertretung der Gemeinde Hofbieber hat am 13.03.2025 die Ergänzungssatzung gem. § 34 Abs. 4 Satz 1 Nr. 3 BauGB "Am Kiesberg“, in der Gemarkung Hofbieber, Flur 5, bestehend aus der Plankarte mit Textteil als Satzung gemäß § 34 (6) BauGB beschlossen. Die Begründung zur Ergänzungssatzung „Am Kiesberg“ wurde gebilligt. Dies wird hiermit gemäß § 10 Abs. 3 BauGB bekannt gemacht.

Mit dieser Bekanntmachung tritt die Ergänzungssatzung „Am Kiesberg“ in der Gemarkung Hofbieber, Flur 5, in Kraft.

Das Planungsgebiet erstreckt sich auf einen Teil des in der Plankarte dargestellten Flurstücks Nr. 51.

Die Ergänzungssatzung „Am Kiesberg“ kann nebst Begründung in der Gemeindeverwaltung Hofbieber, Bauamt, Schulweg 5, 36145 Hofbieber, während der allgemeinen Dienststunden von Jedermann von diesem Tag ab eingesehen werden. Über den Inhalt wird auf Verlangen jedermann Auskunft erteilt. Einsichts- und Auskunftsmöglichkeiten sind zu folgenden Zeiten gegeben:

Öffnungszeiten Verwaltung: Mo., Mi., Do., Fr. - von 8.30 bis 12.00 Uhr sowie dienstags von 8.30 bis 12.00 Uhr und von 16.30 bis 17.30 Uhr, sofern nicht auf die genannten Tage ein gesetzlicher oder kirchlicher Feiertag fällt, und nach telefonischer Vereinbarung.

Ferner ist die Ergänzungssatzung auf der Internetseite der Gemeinde Hofbieber unter https://www.hofbieber.de/bauen-wohnen/bauangelegenheiten/bauleitplanung einsehbar.

Gemäß § 215 BauGB wird darauf hingewiesen, dass die Verletzung der in § 214 Abs. 1 Satz 1 Nr. 1 bis 3 BauGB bezeichneten Verfahrens- und Formvorschriften, eine unter Berücksichtigung des § 214 Abs. 2 BauGB beachtliche Verletzung der Vorschriften über das Verhältnis der Satzung und nach § 214 Abs. 3 Satz 2 BauGB beachtliche Mängel des Abwägungsvorgangs nur beachtlich sind, wenn sie innerhalb eines Jahres seit dieser Bekanntmachung schriftlich gegenüber der Gemeinde Hofbieber geltend gemacht worden sind. Der Sachverhalt, der die Verletzung begründet, ist darzulegen.

Auf die Vorschriften des § 44 Abs. 3 Satz 1 und 2 sowie Abs. 4 BauGB über die fristgemäße Geltendmachung etwaiger Entschädigungsansprüche für Eingriffe in eine bisher zulässige Nutzung durch die Satzung und über das Erlöschen von Entschädigungsansprüchen wird hingewiesen.

Hofbieber, den 28.03.2025

Der Gemeindevorstand
der Gemeinde Hofbieber
Markus Röder
Bürgermeister