X
Blickpunkt Hofbieber - Amtliches Verkündungsorgan für die Gemeinde Hofbieber
Ausgabe 31/2022
Amtliche Bekanntmachungen
Zurück zur vorigen Seite
Zurück zur ersten Seite der aktuellen Ausgabe
Vorheriger Artikel: Stellenanzeige Ausbildung Kita
Nächster Artikel: Hinweis des Zweckverbandes Gruppenwasserwerk Vorderrhön
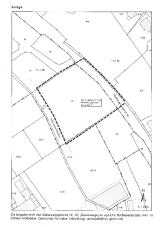
Amtliche Bekanntmachung