Titel Logo
Nachrichten- und Anzeigenblatt für die Gemeinde Hohenahr
Ausgabe 37/2022
Amtliche Bekanntmachungen
Zurück zur vorigen Seite
Zurück zur ersten Seite der aktuellen Ausgabe

Bauleitplanung der Gemeinde Hohenahr

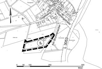
Flächennutzungsplan-Änderung „Freizeitanlage“, Gemarkung Ahrdt

Hier:

Bekanntmachung der Genehmigung gemäß § 6 Abs. 5 BauGB (Rechtswirksamkeit der Flächennutzungsplan-Änderung)

Die Gemeindevertretung der Gemeinde hat die o. g. Flächennutzungsplan-Änderung festgestellt und dem Regierungspräsidium gemäß § 6 BauGB zur Genehmigung vorgelegt.

Die Flächennutzungsplan-Änderung wurde mit Verfügung vom 02.09.2022. mit dem in nachfolgender Abbildung dargestellten Geltungsbereich genehmigt.

Die Flächennutzungsplan-Änderung wird mit dieser Bekanntmachung rechtswirksam.

Gemäß § 215 Abs. 1 BauGB wird darauf hingewiesen, dass

  • eine nach § 214 Abs. 1 Satz 1 Nr. 1 bis 3 BauGB beachtliche Verletzung der dort bezeichneten Verfahrens- und Formvorschriften und

  • nach § 214 Abs. 3 Satz 2 BauGB beachtliche Mängel des Abwägungsvorgangs

gemäß § 215 Abs. 1 BauGB unbeachtlich werden, wenn sie nicht innerhalb eines Jahres seit dieser Bekanntmachung schriftlich gegenüber dem Gemeindevorstand der Gemeinde Hohenahr, Rathausplatz 6, 35644 Hohenahr, unter Darlegung des die Verletzung begründenden Sachverhalts geltend gemacht worden sind.

Der Flächennutzungsplan-Änderung ist eine zusammenfassende Erklärung über die Art und Weise beigefügt, wie die Umweltbelange und die Ergebnisse der Öffentlichkeits- und Behördenbeteiligung in der Flächennutzungsplan-Änderung berücksichtigt wurden, und aus welchen Gründen der Plan nach Abwägung mit den geprüften in Betracht kommenden anderweitigen Planungsmöglichkeiten gewählt wurde.

Die Flächennutzungsplan-Änderung, die Begründung und die zusammenfassende Erklärung werden gemäß § 6 (5) BauGB während der Dienststunden im Rathaus der Gemeinde Hohenahr, Rathausplatz 6, 35644 Hohenahr, Zimmer 32, zu jedermanns Einsicht bereitgehalten.

Jedermann kann dieses Planwerk einsehen und über seinen Inhalt Auskunft verlangen.

Diese Unterlagen können auch auf der Internetseite der Gemeinde Hohenahr eingesehen und heruntergeladen werden.

Der Gemeindevorstand der Gemeinde Hohenahr
gez. Markus Ebertz
Bürgermeister