Titel Logo
Ohmtal-Bote
Ausgabe 24/2023
H-Bekanntmachungen
Zurück zur vorigen Seite
Zurück zur ersten Seite der aktuellen Ausgabe

Nur noch ein Bauplatz zu Verkaufen im Baugebiet „Im Breithecker Feld“ in Nieder-Ofleiden

Der Bauplatz liegt am Ortsrand mit herrlichem Blick auf die Amöneburg und ist vollerschlossen. Der Verkauf des städtischen Bauplatzes erfolgt über die Hessische Landgesellschaft. Weitere Informationen zum Bauplatz können auf der nachfolgenden Webseite eingesehen werden:

https://www.hlg.org/bauplatzsuche#objekt,BG7139

Wohngebiet „Breithecker Feld“ im Stadtteil Nieder-Ofleiden:

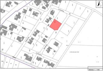
Plan des Ortsteils Nieder-Ofleiden mit der Lage des Baugebietes:

Städtische Bauplätze im Baugebiet „Breithecker Feld“

Nr.

Stadtteil

Lage

Fläche in qm

Preis in € / m2

Flur

Flurstück

1

Nieder-Ofleiden

Märzwiesenweg

560

110

3

6/8

Kontakt zu dem Verkauf des städtischen Bauplatzes:

Stadt Homberg (Ohm)

Christian Kratz

Marktstraße 26

35315 Homberg (Ohm)

Tel.: 06633 184-46

E-Mail: ckratz@homberg.de