Titel Logo
Ohmtal-Bote
Ausgabe 32/2023
H-Bekanntmachungen
Zurück zur vorigen Seite
Zurück zur ersten Seite der aktuellen Ausgabe

Bekanntmachung der FNP-Genehmigung gemäß § 6 Abs. 5 Baugesetzbuch

Bauleitplanung der Stadt Homberg (Ohm), Stadtteil Schadenbach

Änderung des Flächennutzungsplanes im Bereich des Bebauungsplanes „Am Bornweg“

Gemäß § 6 BauGB (Baugesetzbuch) wurde dem Regierungspräsidium in Gießen die von der Stadtverordnetenversammlung der Stadt Homberg (Ohm) am 06.02.2023 festgestellte Änderung des Flächennutzungsplanes im Stadtteil Schadenbach im Bereich des Bebauungsplanes „Am Bornweg“ mit Schreiben vom 20.04.2023, eingegangen beim Regierungspräsidium Gießen am 24.04.2023, zur Genehmigung vorgelegt.

Das Regierungspräsidium Gießen hat die Änderung des Flächennutzungsplanes geprüft und mit Schreiben vom 22.06.2023, Az.: RPGI-31-61a0100/25-2014/10 genehmigt.

Der Geltungsbereich ist der nachfolgenden Übersichtskarte zu entnehmen.

Die Erteilung der Genehmigung wird hiermit gemäß § 6 Abs. 5 Satz 1 BauGB bekannt gemacht, die Änderung des Flächennutzungsplanes wird mit dieser Bekanntmachung wirksam.

Jedermann kann die genehmigte Änderung des Flächennutzungsplanes und die Begründung sowie den Umweltbericht dazu ab dem Tag der Bekanntmachung im Rathaus der Stadtverwaltung Homberg (Ohm), Marktstraße 29, 35315 Homberg (Ohm), Obergeschoss, Zimmer 1.3, während der allg. Dienststunden sowie nach Vereinbarung einsehen. Über den Inhalt wird auf Verlangen Auskunft erteilt (§ 6 Abs.5 Satz 2 BauGB).

Gemäß § 6a Abs.1 BauGB wird der Änderung des Flächennutzungsplanes eine zusammenfassende Erklärung beigefügt, aus der die Art und Weise hervorgeht, wie die Umweltbelange und die Ergebnisse der Öffentlichkeits- und Behördenbeteiligung in dem Flächennutzungsplan berücksichtigt wurden, und aus welchen Gründen der Plan in der Abwägung mit den geprüften, in Betracht kommenden anderweitigen Planungsmöglichkeiten gewählt wurde. Gemäß § 6a Abs. 2 BauGB kann die Änderung des Flächennutzungsplanes mit Begründung und zusammenfassender Erklärung ergänzend auf der Homepage der Stadt Homberg (Ohm) unter https://www.homberg.de/de/leben/bauen-wohnen/rechtskraeftige-flaechennutzungsplaene eingesehen und heruntergeladen werden.

Gemäß § 215 Abs. 2 BauGB wird darauf hingewiesen, dass eine nach § 214 Abs. 1 Satz 1 Nr. 1 bis 3 BauGB beachtliche Verletzung der dort bezeichneten Verfahrens- und Formvorschriften, eine unter Berücksichtigung des § 214 Abs. 2 BauGB beachtliche Verletzung der Vorschriften über das Verhältnis des Bebauungsplanes und des Flächennutzungsplanes und nach § 214 Abs.3 Satz 2 BauGB beachtliche Mängel des Abwägungsvorgangs gemäß § 215 Abs. 1 BauGB unbeachtlich werden, wenn sie nicht innerhalb von einem Jahr seit dieser Bekanntmachung schriftlich gegenüber der Stadt unter Darlegung des die Verletzung begründenden Sachverhalts geltend gemacht worden sind.

Bauleitplanung der Stadt Homberg (Ohm), Stadtteil Schadenbach

Änderung des Flächennutzungsplanes im Bereich des Bebauungsplanes „Am Bornweg“

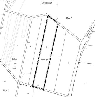
Übersichtskarte

Übersichtskarte Plankarte 1 (Mischgebiet)

Übersichtskarte Plankarte 2 (Ausgleichsfläche), Gemarkung Schadenbach, Flur 2, Flst. 5/1tlw.

Übersichtskarte: Lage im Raum Plankarte 1 und Plankarte 2

Ausschnitt genordet, ohne Maßstab

Homberg (Ohm), 04.08.2023

Der Magistrat der Stadt Homberg (Ohm)
Michael Rotter
1. Stadtrat

Inkrafttreten des Bebauungsplanes gemäß § 10 Abs. 3 Baugesetzbuch

Bauleitplanung der Stadt Homberg (Ohm), Stadtteil Schadenbach

Bebauungsplan „Am Bornweg“

Die Stadtverordnetenversammlung der Stadt Homberg (Ohm) hat am 06.02.2023 den Bebauungsplan „Am Bornweg“ im Stadtteil Schadenbach gemäß § 10 Abs. 1 BauGB (Baugesetzbuch) i.V.m. § 5 HGO (Hessische Gemeindeordnung) und i.V.m. § 9 Abs. 4 BauGB i.V.m. § 91 HBO (Hessische Bauordnung) sowie § 37 Abs. 4 HWG (Hessisches Wassergesetz) als Satzung beschlossen und die Begründung hierzu gebilligt.

Der Geltungsbereich ist der nachfolgenden Übersichtskarte zu entnehmen.

Der Bebauungsplan ist gemäß § 8 Abs. 2 BauGB aus der am 22.06.2023 vom Regierungspräsidium Gießen genehmigten Flächennutzungsplanänderung entwickelt.

Gemäß § 10 Abs. 3 Satz 4 BauGB tritt der Bebauungsplan mit integrierter Orts- und Gestaltungssatzung und wasserrechtlichen Festsetzungen mit dieser Bekanntmachung in Kraft.

Der Bebauungsplan und die Begründung inkl. Umweltbericht hierzu kann im Rathaus der Stadt Homberg (Ohm), Marktstraße 29, 35315 Homberg (Ohm), Obergeschoss, Zimmer 1.3, während der allgemeinen Dienststunden sowie nach Vereinbarung eingesehen werden (§ 10 Abs. 3 Satz 3 BauGB). Über den Inhalt wird auf Verlangen Auskunft erteilt (§ 10 Abs.3 Satz 2 BauGB).

Gemäß § 10a Abs. 2 BauGB kann der rechtskräftige Bebauungsplan mit Begründung, Umweltbericht und zusammenfassender Erklärung ergänzend auf der Homepage der Stadt Homberg (Ohm) unter https://www.homberg.de/de/leben/bauen-wohnen/rechtskraeftige-bebauungsplaene eingesehen und heruntergeladen werden.

Gemäß § 10a Abs. 1 BauGB wird dem Bebauungsplan eine zusammenfassende Erklärung beigefügt, aus der die Art und Weise hervorgeht, wie die Umweltbelange und die Ergebnisse der Öffentlichkeits- und Behördenbeteiligung in dem Bebauungsplan berücksichtigt wurden, und aus welchen Gründen der Plan nach Abwägung mit den geprüften in Betracht kommenden anderweitigen Planungsmöglichkeiten gewählt wurde.

Gemäß § 215 Abs. 2 BauGB wird darauf hingewiesen, dass eine nach § 214 Abs. 1 Satz 1 Nr. 1 bis 3 BauGB beachtliche Verletzung der dort bezeichneten Verfahrens- und Formvorschriften, eine unter Berücksichtigung des § 214 Abs. 2 BauGB beachtliche Verletzung der Vorschriften über das Verhältnis des Bebauungsplanes und des Flächennutzungsplanes und nach § 214 Abs. 3 Satz 2 BauGB beachtliche Mängel des Abwägungsvorgangs gemäß § 215 Abs. 1 BauGB unbeachtlich werden, wenn sie nicht innerhalb von einem Jahr seit dieser Bekanntmachung schriftlich gegenüber der Stadt unter Darlegung des die Verletzung begründenden Sachverhalts geltend gemacht worden sind.

Auf die Vorschriften der §§ 44 Abs. 3 Satz 1 und 2 sowie Abs. 4 BauGB über die fristgemäße Geltend-machung etwaiger Entschädigungsansprüche für Eingriffe in eine bisher zulässige Nutzung durch diesen Bebauungsplan und über das Erlöschen von Entschädigungsansprüchen wird hingewiesen.

Bauleitplanung der Stadt Homberg (Ohm), Stadtteil Schadenbach

Bebauungsplan „Am Bornweg“

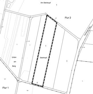
Übersichtskarten

Übersichtskarte Plankarte 1 (Mischgebiet)

Übersichtskarte Plankarte 2 (Ausgleichsfläche), Gemarkung Schadenbach, Flur 2, Flst. 5/1tlw.

Übersichtskarte: Lage im Raum Plankarte 1 und Plankarte 2

Ausschnitt genordet, ohne Maßstab

Homberg (Ohm), 04.08.2023

Der Magistrat der Stadt Homberg (Ohm)
Michael Rotter
1. Stadtrat