Titel Logo
Ohmtal-Bote
Ausgabe 40/2022
H-Bekanntmachungen
Zurück zur vorigen Seite
Zurück zur ersten Seite der aktuellen Ausgabe

Bauleitplanung der Stadt Homberg (Ohm), Stadtteil Schadenbach

Bebauungsplan „Am Bornweg“ sowie Änderung des Flächennutzungsplanes in diesem Bereich

Bekanntmachung der Beteiligung der Öffentlichkeit gemäß § 3 Abs. 2 BauGB - Entwurfsoffenlage

(1) Die Stadtverordnetenversammlung der Stadt Homberg (Ohm) hat am 17.02.2022 gemäß § 3 Abs. 2 BauGB die Entwurfsoffenlage zum Bebauungsplan „Am Bornweg“ sowie die Änderung des Flächennutzungsplans in diesem Bereich beschlossen.

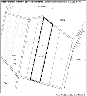
(2) Die Abgrenzung des Geltungsbereiches Plankarte 1 (Mischgebiet) beinhaltet die Flurstücke 101/2, 177/1tlw., 178/1tlw., 206/1tlw., 207tlw. und 208tlw. in der Flur 1, jeweils Gemarkung Schadenbach. Der Geltungsbereich befindet sich im Norden der Ortslage an den Straßen Am Bornweg und Zum Herrnberg und kann der nachfolgenden Übersichtskarte entnommen werden. Hinzu kommt eine externe Ausgleichsfläche in der Gemarkung Schadenbach Flur 2, Flst. 5/1tlw. (Plankarte 2).

(3) Mit der Aufstellung des Bebauungsplanes sollen die bauplanungsrechtlichen Voraussetzungen für eine bauliche Nachverdichtung der rückwärtigen und teilweise bebauten Grundstücke zwischen den Bereichen Am Bornweg und Zum Herrnberg geschaffen werden. Die Flächen sind im Bestand bereits teilweise durch bauliche Anlagen geprägt. Das Planziel des Bebauungsplanes ist analog den bestehenden angrenzenden Nutzungen die Ausweisung eines Mischgebietes i.S.d. § 6 BauNVO. Die Flächen werden über die Straßen Am Bornweg und Zum Herrnberg erschlossen.

Die Planziele gelten analog für die Änderung des Flächennutzungsplanes der Stadt, der die Fläche derzeit als Grünland darstellt. Die Änderung des Flächennutzungsplanes erfolgt im Parallelverfahren gemäß § 8 Abs.3 BauGB.

(4) Gemäß § 2 Abs. 4 und § 2a BauGB musste eine Umweltprüfung durchgeführt werden, in der die voraussichtlich erheblichen Umwelteinwirkungen ermittelt und in einem Umweltbericht beschrieben und bewertet wurden. Der Umweltbericht und die umweltrelevanten Informationen und Stellungnahmen werden mit öffentlich ausgelegt.

Folgende umweltrelevante Informationen sind verfügbar und liegen ebenfalls öffentlich aus: Umweltbericht mit integriertem Landschaftspflegerischem Fachbeitrag und Aussagen zu den umweltrelevanten Schutzgütern gemäß § 1 Abs. 6 Nr.7a-j BauGB u.a. die Schutzgüter Boden und Wasser, Klima und Luft, Tiere und Pflanzen, Biologische Vielfalt, Landschaft, Gebiete gemeinschaftlicher Bedeutung und Europäische Vogelschutzgebiete, Mensch, Gesundheit und Bevölkerung, Kultur- und sonstige Sachgüter sowie Gebiete zur Erhaltung der bestmöglichen Luftqualität.

Hinzu kommt eine Eingriffs- und Ausgleichsplanung zu dem durch den Bebauungsplan bauplanungsrechtlich vorbereiteten Eingriff in Boden, Natur und Landschaft und dessen möglichen Ausgleich. Diesbezüglich wird der naturschutzfachliche und biotopschutzrechtliche Ausgleich anhand einer Fläche für Maßnahmen zum Schutz, zur Pflege und zur Entwicklung von Boden, Natur und Landschaft erbracht (Plankarte 2).

Ferner umfasst der Umweltbericht Angaben zu Maßnahmen zur Vermeidung, Verringerung und zum Ausgleich der nachteiligen Auswirkungen der Planung, zur Entwicklung des Umweltzustandes bei Durchführung bzw. Nichtdurchführung der Planung, zu den in Betracht kommenden anderweitigen Planungsmöglichkeiten sowie zur Überwachung der Umweltauswirkungen, die aufgrund des Bebauungsplans auftreten können.

Weitere umweltbezogene Informationen liegen nicht vor.

Im Rahmen der Beteiligungsverfahren gemäß § 3 Abs.1 und § 4 Abs.1 BauGB sind umweltrelevante Stellungnahmen von Behörden und sonstigen Trägern öffentlicher Belange eingegangen. Wesentliche Sachverhalte werden zusammenfassend aufgeführt:

Zum Schutzgut Boden und Wasser:

Hinweise zum Baugrund und Bodenschutz, zum Bodenaushubmaterial, zur Entwässerung des Plangebietes, zur Schmutzwasserableitung, zum anfallenden Niederschlagswasser und zu Oberflächenwasser, zur geplanten Regenrückhaltung, zum Abwasser, Hinweise zu Altlastenverdachtsflächen (keine Eintragungen), zum Vorsorgenden Bodenschutz, zum Bodenschutz allgemein, Hinweise zur Betroffenheit von oberirdischen Gewässern, Einhaltung des Gewässerrandstreifens, und Betroffenheit der Lage außerhalb eines Trinkwasserschutzgebietes und außerhalb von Überschwemmungsgebieten. Bewertung der Planung im Hinblick auf den Eingriff in den Boden- und Wasserhaushalt, zu Starkregenereignissen, zu den landwirtschaftlich genutzten Flächen, zu Berücksichtigung des Bodenschutzes bei der Eingriffs- und Ausgleichsbilanzierung. (LK VB Amt für den ländlichen Raum, LK VB Wasser- und Bodenschutz, RP Gießen Dez. Obere Landesplanungsbehörde, Grundwasserschutz und Oberirdische Gewässer, Altlasten, Bodenschutz).

Zum Schutzgut Klima und Luft:

Zu diesem Schutzgut liegen keine Stellungnahmen vor.

Zum Schutzgut Tiere und Pflanzen:

Zusätzliche Inanspruchnahme von lw. Flächen und externe Ausgleichsflächen sind mit dem Amt für den ländlichen Raum abzustimmen. Hinweise auf ältere Nachweise geschützte Arten im Plangebiet, Verweis auf die Verbote gemäß § 44 Bundesnaturschutzgesetz, (LK VB Amt für den ländlichen Raum, Untere Naturschutzbehörde, RP Gießen Dez. Landwirtschaft)

Zum Schutzgut Biologische Vielfalt:

Zu diesem Schutzgut liegen keine Stellungnahmen vor.

Zum Schutzgut Landschaft:

Zu diesem Schutzgut liegen keine Stellungnahmen vor.

Zum Schutzgut Natura-2000-Gebiete:

Zu diesem Schutzgut liegen keine Stellungnahmen vor.

Zum Schutzgut Sonstige Schutzgebiete:

Zu diesem Schutzgut liegen keine Stellungnahmen vor.

Zum Schutzgut Mensch, Gesundheit und Bevölkerung:

Hinweise auf die Entsorgung von Abfällen, Hinweise zu Immissionen angrenzender Nutzungen (lw. Betrieb), Zu Spuren ehemaligen Bergbaus, zum Abfall, zum Grünschnitt, keine Hinweise zu Kampfmitteln, (LK VB Amt für den ländlichen Raum, RP Darmstadt KMRD, RP Gießen Dez. Altlasten, Bodenschutz, Abfallwirtschaft, Bergaufsicht, Immissionsschutz, Landwirtschaft).

Zum Schutzgut Kultur- und sonstige Sachgüter, kulturelles Erbe:

Zu diesem Schutzgut liegen keine Stellungnahmen vor.

Zum Schutzgut Gebiete zur Erhaltung der bestmöglichen Luftqualität:

Zu diesem Schutzgut liegen keine Stellungnahmen vor.

Sonstige Hinweise:

Informationen zu Glasfaser und Ladeinfrastruktur, zu den Belangen des Fußgängerverkehrs, zum allg. Brandschutz, zur Innenbereichsverdichtung (IHK, Kreisausschuss Brandschutz, Polizeipräsidium Osthessen, RP Gießen Obere Landesplanungsbehörde und Bauleitplanung).

Die Stellungnahmen werden zusammen mit der Umweltprüfung (Umweltbericht), in der die Aspekte der Kompensation und Regelungen nach Bundesnaturschutzgesetz (BNatSchG) und dem Hess. Ausführungsgesetz zum Bundesnaturschutzgesetz (HAGBNatSchG) behandelt sind, und den o.a. Umweltinformationen öffentlich ausgelegt.

(5) Gemäß § 3 Abs.2 BauGB (Beteiligung der Öffentlichkeit) liegen die Planunterlagen des Bebauungsplanes und der FNP-Änderung (Plankarte, Begründung, Umweltbericht) sowie alle vorliegenden umweltbezogenen Stellungnahmen und umweltbezogenen Informationen in der Zeit vom

13.10.2022 - 14.11.2022 einschließlich

in der Stadtverwaltung Homberg (Ohm), Marktstraße 26, 35315 Homberg (Ohm), Erdgeschoss, Zimmer 0.1. öffentlich aus. Während dieser Auslegungsfrist können von jedermann Anregungen und Hinweise zu den nachfolgend aufgeführten Änderungen während der Dienststunden oder nach Vereinbarung z.B. schriftlich, elektronisch (per Email) oder zu Protokoll vorgebracht werden.

Die Stellungnahmen können auch per E-Mail (fischer@fischer-plan.de) beim Planungsbüro Fischer abgegeben werden.

(6) Gemäß § 4a Abs. 4 BauGB werden die Planunterlagen zusätzlich in das Internet eingestellt und können auf der Homepage der Stadt (www.Homberg.de) unter www.homberg.de/de/rathaus/aktuelles/bekanntmachung-bauleitplaene-4a-abs-4-baugb/ eingesehen und heruntergeladen werden.

(7) Gemäß § 3 Abs. 2 Satz 2 BauGB wird darauf hingewiesen, dass Stellungnahmen zu den Bauleitplanverfahren während der Auslegungsfrist abgebeben werden können, und dass nicht fristgerecht abgegebene Stellungnahmen bei der Beschlussfassung über die Bauleitpläne unberücksichtigt bleiben können.

(8) Für die Flächennutzungsplanänderung gilt, dass eine Vereinigung im Sinne des § 4 Abs. 3 Satz 1 Nummer 2 des Umwelt-Rechtsbehelfsgesetzes in einem Rechtsbehelfsverfahren nach § 7 Abs. 2 des Umwelt-Rechtsbehelfsgesetzes gemäß § 7 Abs. 3 Satz 1 des Umwelt-Rechtsbehelfsgesetzes mit allen Einwendungen ausgeschlossen ist, die sie im Rahmen der Auslegungsfrist nicht oder nicht rechtzeitig geltend gemacht hat, aber hätte geltend machen können.

(9) Die Stadt Homberg (Ohm) hat gemäß § 4b BauGB das Planungsbüro Fischer aus 35435 Wettenberg mit der Durchführung des Bauleitplanverfahrens beauftragt.

Homberg (Ohm), 30.09.2022

Der Magistrat der Stadt Homberg (Ohm)
Simke Ried
Bürgermeisterin